鹿沼市(栃木県)の土地・宅地・分譲地の購入情報

鹿沼市(栃木県)の土地・宅地・分譲地の購入情報をご覧いただけます。

20

↓ チェックした物件をまとめてお問い合わせ

外観:309000079370 土地
区画図:309000079370
  • 980万円
  • 栃木県鹿沼市御成橋町2丁目
  • 日光線 鹿沼駅/徒歩19分
  • 694.51㎡/210.08坪
  • 60%(建ぺい率)
  • 200%(容積率)

♯見晴らし良好♯プライバシー配慮♯解放感♯住宅密集地では叶わない建築計画

  • 建築条件なし
  • 更地
  • 角地
  • 南道路
  • 古家付き
  • 所有権あり
LIXIL不動産ショップ 小金井不動産株式会社 鶴田店

LIXIL不動産ショップグループ契約件数全国NO.1。1963年創業。61年以上の実績。売買営業スタッフ全員が宅地建物取引士。安心安全を重視。県内6店舗のネットワーク。

その他の情報

外観:309000080964 土地
区画図:309000080964
  • 200万円
  • 栃木県鹿沼市白桑田
  • 日光線 鹿沼駅/徒歩56分
  • 216.00㎡/65.33坪
  • 60%(建ぺい率)
  • 200%(容積率)

\建築条件なし☆/ご来店予約で3000円のQUOカードプレゼント♪未公開物件も店舗に多数♪地域密着の担当スタッフにお気軽にお問合せください♪

  • 建築条件なし
  • 更地
  • 角地
  • 南道路
  • 古家付き
  • 所有権あり
ビューハウス株式会社 宇都宮東店

当社は宇都宮市を中心に、土地・中古・新築住宅・マンション・事業用物件と不動産物件をトータル的に取扱っております。豊富な情報量を持ち、常に最新の物件を提供させて頂きます。まずはビューハウスにお越し下さい

その他の情報

外観:309000084590 土地
NO IMAGE
  • 690万円
  • 栃木県鹿沼市東町2丁目
  • 日光線 鹿沼駅/徒歩18分
  • 155.30㎡/46.97坪
  • 60%(建ぺい率)
  • 200%(容積率)

◆売地面積46.97坪(155.30平米) ◆整形地 ◆大変静かな住環境 ◆建築条件ありません

  • 建築条件なし
  • 更地
  • 角地
  • 南道路
  • 古家付き
  • 所有権あり
ポラスグループ 株式会社中央住宅 ポラス住まいの情報館 柏営業所

不動産の売却(売りたい)購入(買いたい)新築一戸建て、注文住宅、建て替え、仲介、リフォーム、など住まいの情報ならポラスの仲介柏営業所にお任せください。地域密着50年以上、地域の情報には自信があります!

その他の情報

外観:309000077923 土地
NO IMAGE
  • 500万円
  • 栃木県鹿沼市南上野町
  • 東武鉄道日光線 楡木駅/徒歩43分
  • 686.00㎡/207.51坪
  • 60%(建ぺい率)
  • 200%(容積率)

*200坪超えの広大な敷地!家庭菜園や資材置場に♪♪ご来店予約で3000円のQUOカードプレゼント♪*

  • 建築条件なし
  • 更地
  • 角地
  • 南道路
  • 古家付き
  • 所有権あり
ビューハウス株式会社 宇都宮東店

当社は宇都宮市を中心に、土地・中古・新築住宅・マンション・事業用物件と不動産物件をトータル的に取扱っております。豊富な情報量を持ち、常に最新の物件を提供させて頂きます。まずはビューハウスにお越し下さい

その他の情報

外観:309000078007 土地
区画図:309000078007
  • 100万円
  • 栃木県鹿沼市板荷
  • 東武鉄道日光線 板荷駅/徒歩14分
  • 307.00㎡/92.86坪
  • 0%(建ぺい率)
  • 0%(容積率)
  • 建築条件なし
  • 更地
  • 角地
  • 南道路
  • 古家付き
  • 所有権あり
株式会社たまには

たのしい まいにち にこにこ はっぴー をモットーに仕事をしています! 不動産の売買の仲介業、M&A、業者オークション等を行っていますのでご興味のある方、心よりお待ちしております

その他の情報

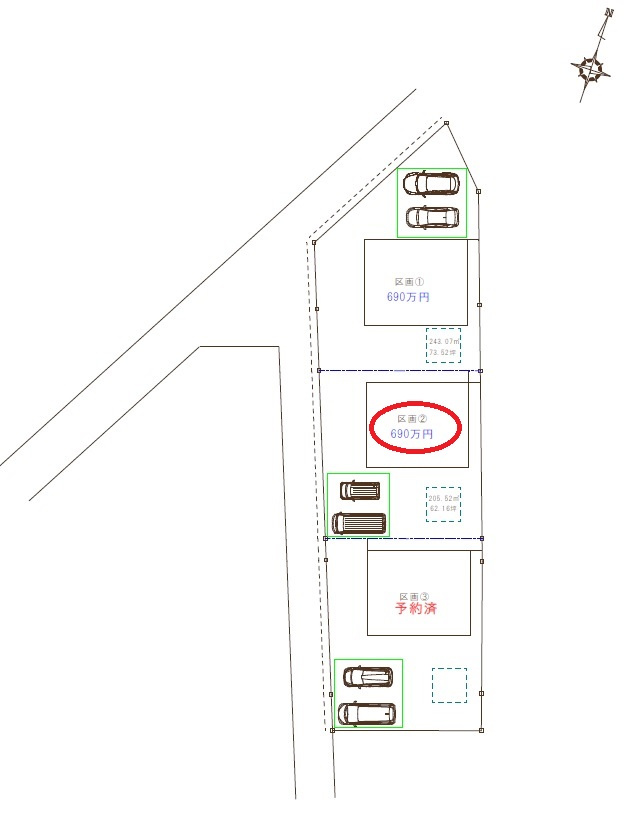
外観:309000079829 土地
区画図:309000079829
  • 690万円
  • 栃木県鹿沼市下武子町
  • 日光線 鹿沼駅/徒歩7分
  • 205.52㎡/62.16坪
  • 60%(建ぺい率)
  • 200%(容積率)

鹿沼市下武子町の分譲地、全3区画現在は2区画販売中です。JR鹿沼駅まで徒歩約7分程と利便性良好、建築条件ありませんのでお好きなハウスメーカーを選択可能。

  • 建築条件なし
  • 更地
  • 角地
  • 南道路
  • 古家付き
  • 所有権あり
株式会社ランドグラン 不動産売買事業部

不動産を通じて暮らしを創造し皆様の幸せづくりに貢献します。また、顧客満足度の向上の為に不動産を購入して頂いた後のアフターフォローを充実させる事にも取り組んで参ります。

その他の情報

外観:309000079782 土地
区画図:309000079782
  • 690万円
  • 栃木県鹿沼市下武子町
  • 日光線 鹿沼駅/徒歩7分
  • 243.07㎡/73.52坪
  • 60%(建ぺい率)
  • 200%(容積率)

鹿沼市下武子町の分譲地、全3区画現在は2区画販売中です。JR鹿沼駅まで徒歩約7分程と利便性良好、建築条件ありませんのでお好きなハウスメーカーを選択可能。

  • 建築条件なし
  • 更地
  • 角地
  • 南道路
  • 古家付き
  • 所有権あり
株式会社ランドグラン 不動産売買事業部

不動産を通じて暮らしを創造し皆様の幸せづくりに貢献します。また、顧客満足度の向上の為に不動産を購入して頂いた後のアフターフォローを充実させる事にも取り組んで参ります。

その他の情報

外観:309000081354 土地
区画図:309000081354
  • 1,300万円
  • 栃木県鹿沼市西茂呂4丁目
  • 東武鉄道日光線 新鹿沼駅/徒歩37分
  • 180.07㎡/54.47坪
  • 50%(建ぺい率)
  • 80%(容積率)

区画整理地内物件で閑静な住宅地ですが、近くにスーパー・金融機関・病院・学校等が点在して生活するのに便利なところです。

  • 建築条件なし
  • 更地
  • 角地
  • 南道路
  • 古家付き
  • 所有権あり
有限会社佐藤プロジェクト

その他の情報

外観:309000079506 土地
区画図:309000079506
  • 380万円
  • 栃木県鹿沼市上殿町
  • 東武鉄道日光線 新鹿沼駅/徒歩25分
  • 331.00㎡/100.12坪
  • 30%(建ぺい率)
  • 50%(容積率)

*100坪以上*建築条件無し*閑静な住宅街!*車通りが少なく、お子様も安心!

  • 建築条件なし
  • 更地
  • 角地
  • 南道路
  • 古家付き
  • 所有権あり
ハウスドゥ 中戸祭 株式会社ケイズ・ネクスト

物件のご紹介からご契約まで丁寧にサポートいたします。お客様とのご縁を大切に、末永く信頼頂ける存在を目指しています。是非気軽にご相談ください♪

その他の情報

外観:309000070880 土地
区画図:309000070880
  • 4,100万円
  • 栃木県鹿沼市下武子町
  • 日光線 鹿沼駅/徒歩5分
  • 2713.69㎡/820.88坪
  • 60%(建ぺい率)
  • 200%(容積率)

鹿沼市下武子町の事業用地、約820坪の敷地面積。JR鹿沼駅まで徒歩約5分、293号線等にも出やすく利便性等良い立地です。

  • 建築条件なし
  • 更地
  • 角地
  • 南道路
  • 古家付き
  • 所有権あり
株式会社ランドグラン 不動産売買事業部

不動産を通じて暮らしを創造し皆様の幸せづくりに貢献します。また、顧客満足度の向上の為に不動産を購入して頂いた後のアフターフォローを充実させる事にも取り組んで参ります。

その他の情報

外観:309000084202 土地
区画図:309000084202
  • 97,373.5万円
  • 栃木県鹿沼市上石川
  • なし
  • 40236.00㎡/12171.37坪
  • 60%(建ぺい率)
  • 200%(容積率)

東北自動車道 鹿沼ICすぐの大型事業用地です。

  • 建築条件なし
  • 更地
  • 角地
  • 南道路
  • 古家付き
  • 所有権あり
シティ・デザイン株式会社

どこまでもお客様のために、徹底的に「質」にこだわった営業で、顧客満足を目指します。どこにこんな物件があったのだろう、という他には紹介されてない素敵な物件をご案内いたします。

その他の情報

NO IMAGE 土地
NO IMAGE
  • 4,500万円
  • 栃木県鹿沼市上殿町
  • 東武鉄道日光線 新鹿沼駅/徒歩18分
  • 1630.00㎡/493.07坪
  • 40%(建ぺい率)
  • 60%(容積率)
  • 建築条件なし
  • 更地
  • 角地
  • 南道路
  • 古家付き
  • 所有権あり
株式会社ベネリード

売主様直預り物件を数多くご紹介いたします。利益(Benefit)を導く(Lead)、株式会社ベネリードです。全国の投資用物件の売買仲介に特化しています。

その他の情報

外観:309000081956 土地
区画図:309000081956
  • 100万円
  • 栃木県鹿沼市板荷
  • 東武鉄道日光線 下小代駅/徒歩14分
  • 226.00㎡/68.36坪
  • 60%(建ぺい率)
  • 200%(容積率)

山々に囲まれた自然あふれる静かなエリア。春は里山に映える1本しだれ桜「観音桜」を楽しめます。

  • 建築条件なし
  • 更地
  • 角地
  • 南道路
  • 古家付き
  • 所有権あり
さくらグローバルアセット株式会社

日本全国の売買物件の取扱いを行っております。主に収益不動産の取扱いをしておりますが、実需(住居等)の売買も取り扱っております。都内近郊の賃貸物件につきましてもご相談ください。

その他の情報

1ページ目(1ページ中)
この条件で新着メールを受取る
この検索条件を保存する
追加が完了しました。

現在00件保存されています。(最大5件)

保存した条件一覧を見る

現在00件保存されています。

残り00件追加することができます。

お気に入り物件一覧を見る

間隔を空けてお試しください。

問合せが未完了の物件

エリアを変更 条件を変更
チェックした物件をまとめて 資料請求(無料) お気に入りに追加