春日部市(埼玉県)の2,000万円以下の土地・宅地・分譲地の購入情報

春日部市(埼玉県)の2,000万円以下の土地を集めました。土地面積や立地条件などと組み合わせて希望の物件を見つけましょう。

331

↓ チェックした物件をまとめてお問い合わせ

外観:311002341616 土地
区画図:311002341616
  • 1,890万円
  • 埼玉県春日部市藤塚
  • 東武伊勢崎・大師線 一ノ割駅/徒歩18分
  • 108.89㎡/32.93坪
  • 60%(建ぺい率)
  • 200%(容積率)

解放感あふれる北西角地!お好きなハウスメーカーで建築できます!当社では一級建築士による無料の間取り作成も承ります。お気軽にご相談下さい(*^_^*)

  • 建築条件なし
  • 更地
  • 角地
  • 南道路
  • 古家付き
  • 所有権あり
埼玉相互住宅株式会社 北越谷店

地域密着、創業後50年以上越谷市で営業し続けています。越谷市出身・在住のスタッフも多いので、不動産情報だけではなく、生活施設・買い物施設や娯楽施設など暮らしに関わる情報も豊富です。

その他の情報

外観:311002334175 土地
区画図:311002334175
  • 1,890万円
  • 埼玉県春日部市藤塚
  • 東武伊勢崎・大師線 一ノ割駅/徒歩18分
  • 108.89㎡/32.93坪
  • 60%(建ぺい率)
  • 200%(容積率)

北西角地で開放感ある立地!敷地約32坪・自由設計で夢のマイホームはいかがでしょうか!建築条件なし・お好きなハウスメーカーで建築可能です!藤塚小学校まで徒歩約5分(330m)、お子様の通学に安心です!

  • 建築条件なし
  • 更地
  • 角地
  • 南道路
  • 古家付き
  • 所有権あり
埼玉相互住宅株式会社 本社

創業1974年快適生活創造企業、地元密着企業。草加・越谷の売買物件は当社にお任せ!新築住宅・中古住宅・土地・マンション何でもOKです。

その他の情報

外観:311002360000 土地
区画図:311002360000
  • 1,999万円
  • 埼玉県春日部市緑町1丁目
  • 東武伊勢崎・大師線 一ノ割駅/徒歩15分
  • 103.47㎡/31.29坪
  • 60%(建ぺい率)
  • 200%(容積率)

■建築条件はありません。お好きな建築会社で建築可能です! ■緑小学校まで徒歩13分(約1000m)・緑中学校まで徒歩19分(約1500m)

  • 建築条件なし
  • 更地
  • 角地
  • 南道路
  • 古家付き
  • 所有権あり
埼玉相互住宅株式会社 越谷店 

2023年12月8日に店内リニューアルオープンを致しました。越谷市を中心に草加市・松伏町・春日部市・川口市・さいたま市・吉川市の不動産のご購入やご売却のことなら埼玉相互住宅(株)越谷店にお任せ下さい!

その他の情報

外観:311002288074 土地
区画図:311002288074
  • 1,999万円
  • 埼玉県春日部市緑町1丁目
  • 東武伊勢崎・大師線 一ノ割駅/徒歩15分
  • 103.47㎡/31.29坪
  • 60%(建ぺい率)
  • 200%(容積率)

解放感あふれる角地!周辺生活施設が充実しています。お気軽にお問合せ下さい(*^_^*)

  • 建築条件なし
  • 更地
  • 角地
  • 南道路
  • 古家付き
  • 所有権あり
埼玉相互住宅株式会社 北越谷店

地域密着、創業後50年以上越谷市で営業し続けています。越谷市出身・在住のスタッフも多いので、不動産情報だけではなく、生活施設・買い物施設や娯楽施設など暮らしに関わる情報も豊富です。

その他の情報

外観:311002280344 土地
区画図:311002280344
  • 1,999万円
  • 埼玉県春日部市緑町1丁目
  • 東武伊勢崎・大師線 一ノ割駅/徒歩15分
  • 103.47㎡/31.29坪
  • 60%(建ぺい率)
  • 200%(容積率)

北西角地!敷地約31坪・自由設計で夢のマイホームはいかがでしょうか!建築条件なし・お好きなハウスメーカーで建築可能です!当社無料の間取り作成も承ります。お気軽にお問い合わせください。

  • 建築条件なし
  • 更地
  • 角地
  • 南道路
  • 古家付き
  • 所有権あり
埼玉相互住宅株式会社 本社

創業1974年快適生活創造企業、地元密着企業。草加・越谷の売買物件は当社にお任せ!新築住宅・中古住宅・土地・マンション何でもOKです。

その他の情報

外観:311002315860 土地
区画図:311002315860
  • 1,990万円
  • 埼玉県春日部市粕壁東4丁目
  • 東武伊勢崎・大師線 春日部駅/徒歩20分
  • 114.54㎡/34.64坪
  • 60%(建ぺい率)
  • 200%(容積率)

【B区画】 土地面積34坪!開放感あふれる両面道路に立地! 自由設計で夢のマイホーム! 建築条件なし・お好きなハウスメーカーで建築可能です!教育・商業施設が整った暮らしやすい住環境!

  • 建築条件なし
  • 更地
  • 角地
  • 南道路
  • 古家付き
  • 所有権あり
埼玉相互住宅株式会社 春日部店

★【仲介手数料無料!】★ 当社が取り扱いできる新築住宅は本来お客様が負担する仲介手数料が不要になります。取り扱いする仲介会社によって諸費用が変わります。ぜひ当社へご相談下さい!!

その他の情報

外観:311002189429 土地
区画図:311002189429
  • 1,990万円
  • 埼玉県春日部市一ノ割4丁目
  • 東武伊勢崎・大師線 一ノ割駅/徒歩13分
  • 105.00㎡/31.76坪
  • 60%(建ぺい率)
  • 200%(容積率)

東武スカイツリーライン「一ノ割」駅徒歩約13分!建築条件なし・お好きなハウスメーカーで建築可能です!お気軽にお問い合わせください!

  • 建築条件なし
  • 更地
  • 角地
  • 南道路
  • 古家付き
  • 所有権あり
埼玉相互住宅株式会社 本社

創業1974年快適生活創造企業、地元密着企業。草加・越谷の売買物件は当社にお任せ!新築住宅・中古住宅・土地・マンション何でもOKです。

その他の情報

外観:311002088440 土地
区画図:311002088440
  • 1,990万円
  • 埼玉県春日部市一ノ割4丁目
  • 東武伊勢崎・大師線 一ノ割駅/徒歩13分
  • 105.00㎡/31.76坪
  • 60%(建ぺい率)
  • 200%(容積率)

敷地面積31坪以上!自由設計で夢のマイホームはいかがでしょうか! 建築条件はありませんのでお好きなハウスメーカーで建築可能です!商業施設徒歩圏内!公園も近く子育て世帯に優しい住環境です!

  • 建築条件なし
  • 更地
  • 角地
  • 南道路
  • 古家付き
  • 所有権あり
埼玉相互住宅株式会社 春日部店

★【仲介手数料無料!】★ 当社が取り扱いできる新築住宅は本来お客様が負担する仲介手数料が不要になります。取り扱いする仲介会社によって諸費用が変わります。ぜひ当社へご相談下さい!!

その他の情報

外観:311002085136 土地
区画図:311002085136
  • 1,990万円
  • 埼玉県春日部市一ノ割4丁目
  • 東武伊勢崎・大師線 一ノ割駅/徒歩12分
  • 105.00㎡/31.76坪
  • 60%(建ぺい率)
  • 200%(容積率)

商業施設や教育施設も徒歩圏内で暮らしやすい住環境!お好きなハウスメーカーで建築できます!当社では一級建築士による無料の間取り作成も承ります。お気軽にご相談下さい(*^_^*)

  • 建築条件なし
  • 更地
  • 角地
  • 南道路
  • 古家付き
  • 所有権あり
埼玉相互住宅株式会社 北越谷店

地域密着、創業後50年以上越谷市で営業し続けています。越谷市出身・在住のスタッフも多いので、不動産情報だけではなく、生活施設・買い物施設や娯楽施設など暮らしに関わる情報も豊富です。

その他の情報

外観:311002363636 土地
区画図:311002363636
  • 1,980万円
  • 埼玉県春日部市増富
  • 東武鉄道野田線 豊春駅/徒歩19分
  • 195.32㎡/59.08坪
  • 60%(建ぺい率)
  • 200%(容積率)

敷地広々約59坪!自由設計で夢のマイホームはいかがでしょうか!当社では一級建築士による無料の間取り作成も承ります。お気軽にご相談下さい(*^_^*)

  • 建築条件なし
  • 更地
  • 角地
  • 南道路
  • 古家付き
  • 所有権あり
埼玉相互住宅株式会社 北越谷店

地域密着、創業後50年以上越谷市で営業し続けています。越谷市出身・在住のスタッフも多いので、不動産情報だけではなく、生活施設・買い物施設や娯楽施設など暮らしに関わる情報も豊富です。

その他の情報

外観:311002323430 土地
区画図:311002323430
  • 1,980万円
  • 埼玉県春日部市武里中野
  • 東武伊勢崎・大師線 武里駅/徒歩16分
  • 441.14㎡/133.44坪
  • 60%(建ぺい率)
  • 200%(容積率)

ご見学にあわせて無料の外部FP相談をご利用頂けます。マイホーム購入だけでなく、老後の資金計画・お子様の教育資金等のライフシュミレーションを考慮した上で、無理のない返済計画をご提案いたします。

  • 建築条件なし
  • 更地
  • 角地
  • 南道路
  • 古家付き
  • 所有権あり
株式会社エステート白馬 越谷店

売主様が不動産会社の場合、一般的に、不動産の知識の少ない買主様が交渉をしたりすることで、不利益となることもあります。 やはり、エージェントとして、自分の為に働く人が必要ですね。

その他の情報

外観:311002039603 土地
区画図:311002039603
  • 1,880万円
  • 埼玉県春日部市薄谷
  • 東武伊勢崎・大師線 武里駅/徒歩22分
  • 1198.00㎡/362.39坪
  • 60%(建ぺい率)
  • 200%(容積率)
  • 建築条件なし
  • 更地
  • 角地
  • 南道路
  • 古家付き
  • 所有権あり
埼玉相互住宅株式会社 北越谷店

地域密着、創業後50年以上越谷市で営業し続けています。越谷市出身・在住のスタッフも多いので、不動産情報だけではなく、生活施設・買い物施設や娯楽施設など暮らしに関わる情報も豊富です。

その他の情報

外観:311002342863 土地
区画図:311002342863
  • 1,999万円
  • 埼玉県春日部市緑町1丁目
  • 東武伊勢崎・大師線 一ノ割駅/徒歩15分
  • 103.47㎡/31.29坪
  • 60%(建ぺい率)
  • 200%(容積率)

<選べるe-GIFT10000円分>初来場&アンケート回答でプレゼント!

  • 建築条件なし
  • 更地
  • 角地
  • 南道路
  • 古家付き
  • 所有権あり
住宅情報館株式会社 春日部店

春日部エリア、近隣エリアの新築・中古一戸建・マンション・土地の購入・売却~注文建築・リフォームまで、住まいの事なら「住宅情報館」にお任せ下さい。

その他の情報

外観:311002331370 土地
区画図:311002331370
  • 1,790万円
  • 埼玉県春日部市新宿新田
  • 東武鉄道野田線 南桜井駅/徒歩16分
  • 120.00㎡/36.29坪
  • 50%(建ぺい率)
  • 80%(容積率)

整形地、平坦地、開発分譲地内立地です。自由設計対応。

  • 建築条件なし
  • 更地
  • 角地
  • 南道路
  • 古家付き
  • 所有権あり
住宅情報館株式会社 春日部店

春日部エリア、近隣エリアの新築・中古一戸建・マンション・土地の購入・売却~注文建築・リフォームまで、住まいの事なら「住宅情報館」にお任せ下さい。

その他の情報

外観:311002323137 土地
区画図:311002323137
  • 1,999万円
  • 埼玉県春日部市緑町1丁目
  • 東武伊勢崎・大師線 一ノ割駅/徒歩15分
  • 103.47㎡/31.29坪
  • 60%(建ぺい率)
  • 200%(容積率)

ご見学にあわせて無料の外部FP相談をご利用頂けます。マイホーム購入だけでなく、老後の資金計画・お子様の教育資金等のライフシュミレーションを考慮した上で、無理のない返済計画をご提案いたします。

  • 建築条件なし
  • 更地
  • 角地
  • 南道路
  • 古家付き
  • 所有権あり
株式会社エステート白馬 越谷店

売主様が不動産会社の場合、一般的に、不動産の知識の少ない買主様が交渉をしたりすることで、不利益となることもあります。 やはり、エージェントとして、自分の為に働く人が必要ですね。

その他の情報

外観:311002337767 土地
区画図:311002337767
  • 1,990万円
  • 埼玉県春日部市新宿新田
  • 東武鉄道野田線 南桜井駅/徒歩16分
  • 144.12㎡/43.59坪
  • 50%(建ぺい率)
  • 80%(容積率)

理想の住まいを、自由にカタチに♪

  • 建築条件なし
  • 更地
  • 角地
  • 南道路
  • 古家付き
  • 所有権あり
株式会社サンシティホーム 大宮店

皆様のマイホーム探しを納得いくまでお手伝いをさせて頂きます。不動産は人生で最も高額なものです。お客様一人一人にあった最良のご提案ができるよう、心掛けてまいります。

その他の情報

外観:311002327879 土地
区画図:311002327879
  • 1,990万円
  • 埼玉県春日部市新宿新田
  • 東武鉄道野田線 南桜井駅/徒歩16分
  • 144.00㎡/43.55坪
  • 50%(建ぺい率)
  • 80%(容積率)

当店は、大袋駅の西口徒歩2分!駐車場完備!電車でもお車でもご来店しやすい店舗です。

  • 建築条件なし
  • 更地
  • 角地
  • 南道路
  • 古家付き
  • 所有権あり
株式会社エステート白馬 越谷店

売主様が不動産会社の場合、一般的に、不動産の知識の少ない買主様が交渉をしたりすることで、不利益となることもあります。 やはり、エージェントとして、自分の為に働く人が必要ですね。

その他の情報

外観:311002323255 土地
区画図:311002323255
  • 1,990万円
  • 埼玉県春日部市一ノ割4丁目
  • 東武伊勢崎・大師線 一ノ割駅/徒歩12分
  • 102.92㎡/31.13坪
  • 60%(建ぺい率)
  • 200%(容積率)

東武伊勢崎線「一ノ割」駅徒歩13分の立地です。 商業施設や教育施設も徒歩圏内にあり、住みやすい住環境です。

  • 建築条件なし
  • 更地
  • 角地
  • 南道路
  • 古家付き
  • 所有権あり
株式会社エステート白馬 越谷店

売主様が不動産会社の場合、一般的に、不動産の知識の少ない買主様が交渉をしたりすることで、不利益となることもあります。 やはり、エージェントとして、自分の為に働く人が必要ですね。

その他の情報

外観:311002278100 土地
区画図:311002278100
  • 1,990万円
  • 埼玉県春日部市新宿新田
  • 東武鉄道野田線 南桜井駅/徒歩16分
  • 144.12㎡/43.59坪
  • 50%(建ぺい率)
  • 80%(容積率)

<選べるe-GIFT10000円分>初来場&アンケート回答でプレゼント!

  • 建築条件なし
  • 更地
  • 角地
  • 南道路
  • 古家付き
  • 所有権あり
住宅情報館株式会社 春日部店

春日部エリア、近隣エリアの新築・中古一戸建・マンション・土地の購入・売却~注文建築・リフォームまで、住まいの事なら「住宅情報館」にお任せ下さい。

その他の情報

外観:311002092225 土地
区画図:311002092225
  • 1,990万円
  • 埼玉県春日部市一ノ割4丁目
  • 東武伊勢崎・大師線 一ノ割駅/徒歩13分
  • 105.00㎡/31.76坪
  • 60%(建ぺい率)
  • 200%(容積率)

<選べるe-GIFT10000円分>初来場&アンケート回答でプレゼント!

  • 建築条件なし
  • 更地
  • 角地
  • 南道路
  • 古家付き
  • 所有権あり
住宅情報館株式会社 春日部店

春日部エリア、近隣エリアの新築・中古一戸建・マンション・土地の購入・売却~注文建築・リフォームまで、住まいの事なら「住宅情報館」にお任せ下さい。

その他の情報

外観:311002368421 土地
区画図:311002368421
  • 1,980万円
  • 埼玉県春日部市藤塚
  • 東武鉄道野田線 藤の牛島駅/徒歩13分
  • 135.64㎡/41.03坪
  • 60%(建ぺい率)
  • 200%(容積率)

■6号地 土地面積約41坪! ■お好きなハウスメーカーで建築可能です! ■東武アーバンパークライン「藤の牛島」駅徒歩13分! ■藤塚小学校徒歩15分(1200m)・豊野中学校徒歩17分(1300m)

  • 建築条件なし
  • 更地
  • 角地
  • 南道路
  • 古家付き
  • 所有権あり
埼玉相互住宅株式会社 越谷店 

2023年12月8日に店内リニューアルオープンを致しました。越谷市を中心に草加市・松伏町・春日部市・川口市・さいたま市・吉川市の不動産のご購入やご売却のことなら埼玉相互住宅(株)越谷店にお任せ下さい!

その他の情報

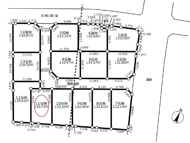
外観:311002368416 土地
区画図:311002368416
  • 1,980万円
  • 埼玉県春日部市藤塚
  • 東武鉄道野田線 藤の牛島駅/徒歩13分
  • 130.73㎡/39.54坪
  • 50%(建ぺい率)
  • 80%(容積率)

■11号地 土地面積約39坪! ■お好きなハウスメーカーで建築可能です! ■東武アーバンパークライン「藤の牛島」駅徒歩13分! ■藤塚小学校徒歩15分(1200m)・豊野中学校徒歩17分(1300m)

  • 建築条件なし
  • 更地
  • 角地
  • 南道路
  • 古家付き
  • 所有権あり
埼玉相互住宅株式会社 越谷店 

2023年12月8日に店内リニューアルオープンを致しました。越谷市を中心に草加市・松伏町・春日部市・川口市・さいたま市・吉川市の不動産のご購入やご売却のことなら埼玉相互住宅(株)越谷店にお任せ下さい!

その他の情報

外観:311002259311 土地
区画図:311002259311
  • 1,980万円
  • 埼玉県春日部市粕壁東6丁目
  • 東武鉄道野田線 藤の牛島駅/徒歩13分
  • 130.42㎡/39.45坪
  • 60%(建ぺい率)
  • 200%(容積率)

全10区画 建築条件なし・お好きなハウスメーカーで建築可能です!自由設計で夢のマイホームはいかがでしょうか!ベルクまで徒歩約10分(800m)、お買い物に便利です!当社無料の間取り作成も承ります。

  • 建築条件なし
  • 更地
  • 角地
  • 南道路
  • 古家付き
  • 所有権あり
埼玉相互住宅株式会社 本社

創業1974年快適生活創造企業、地元密着企業。草加・越谷の売買物件は当社にお任せ!新築住宅・中古住宅・土地・マンション何でもOKです。

その他の情報

外観:311002259309 土地
区画図:311002259309
  • 1,980万円
  • 埼玉県春日部市粕壁東6丁目
  • 東武鉄道野田線 藤の牛島駅/徒歩13分
  • 125.90㎡/38.08坪
  • 60%(建ぺい率)
  • 200%(容積率)

全10区画 建築条件なし・お好きなハウスメーカーで建築可能です!自由設計で夢のマイホームはいかがでしょうか!ベルクまで徒歩約10分(800m)、お買い物に便利です!当社無料の間取り作成も承ります。

  • 建築条件なし
  • 更地
  • 角地
  • 南道路
  • 古家付き
  • 所有権あり
埼玉相互住宅株式会社 本社

創業1974年快適生活創造企業、地元密着企業。草加・越谷の売買物件は当社にお任せ!新築住宅・中古住宅・土地・マンション何でもOKです。

その他の情報

外観:311002259306 土地
区画図:311002259306
  • 1,980万円
  • 埼玉県春日部市粕壁東6丁目
  • 東武鉄道野田線 藤の牛島駅/徒歩13分
  • 131.09㎡/39.65坪
  • 60%(建ぺい率)
  • 200%(容積率)

全10区画 建築条件なし・お好きなハウスメーカーで建築可能です!自由設計で夢のマイホームはいかがでしょうか!ベルクまで徒歩約10分(800m)、お買い物に便利です!当社無料の間取り作成も承ります。

  • 建築条件なし
  • 更地
  • 角地
  • 南道路
  • 古家付き
  • 所有権あり
埼玉相互住宅株式会社 本社

創業1974年快適生活創造企業、地元密着企業。草加・越谷の売買物件は当社にお任せ!新築住宅・中古住宅・土地・マンション何でもOKです。

その他の情報

外観:311002258847 土地
区画図:311002258847
  • 1,980万円
  • 埼玉県春日部市粕壁東6丁目
  • 東武鉄道野田線 藤の牛島駅/徒歩13分
  • 131.09㎡/39.65坪
  • 60%(建ぺい率)
  • 200%(容積率)

【6区画】土地面積約39.6坪!自由設計で夢のマイホームはいかがでしょうか! お好きなハウスメーカーで建築可能です!希望の間取りが叶いやすい整形地! 無料のプラン作成承ります!「藤の牛島」駅徒歩13分

  • 建築条件なし
  • 更地
  • 角地
  • 南道路
  • 古家付き
  • 所有権あり
埼玉相互住宅株式会社 春日部店

★【仲介手数料無料!】★ 当社が取り扱いできる新築住宅は本来お客様が負担する仲介手数料が不要になります。取り扱いする仲介会社によって諸費用が変わります。ぜひ当社へご相談下さい!!

その他の情報

外観:311002258846 土地
区画図:311002258846
  • 1,980万円
  • 埼玉県春日部市粕壁東6丁目
  • 東武鉄道野田線 藤の牛島駅/徒歩13分
  • 125.90㎡/38.08坪
  • 60%(建ぺい率)
  • 200%(容積率)

【8区画】土地面積約38坪!自由設計で夢のマイホームはいかがでしょうか! お好きなハウスメーカーで建築可能です!希望の間取りが叶いやすい整形地! 無料のプラン作成承ります!「藤の牛島」駅徒歩13分!

  • 建築条件なし
  • 更地
  • 角地
  • 南道路
  • 古家付き
  • 所有権あり
埼玉相互住宅株式会社 春日部店

★【仲介手数料無料!】★ 当社が取り扱いできる新築住宅は本来お客様が負担する仲介手数料が不要になります。取り扱いする仲介会社によって諸費用が変わります。ぜひ当社へご相談下さい!!

その他の情報

外観:311002258845 土地
区画図:311002258845
  • 1,980万円
  • 埼玉県春日部市粕壁東6丁目
  • 東武鉄道野田線 藤の牛島駅/徒歩13分
  • 130.42㎡/39.45坪
  • 60%(建ぺい率)
  • 200%(容積率)

【10区画】土地面積約39坪!自由設計で夢のマイホームはいかがでしょうか! お好きなハウスメーカーで建築可能です!希望の間取りが叶いやすい整形地! 無料のプラン作成承ります!「藤の牛島」駅徒歩13分!

  • 建築条件なし
  • 更地
  • 角地
  • 南道路
  • 古家付き
  • 所有権あり
埼玉相互住宅株式会社 春日部店

★【仲介手数料無料!】★ 当社が取り扱いできる新築住宅は本来お客様が負担する仲介手数料が不要になります。取り扱いする仲介会社によって諸費用が変わります。ぜひ当社へご相談下さい!!

その他の情報

外観:311002327745 土地
区画図:311002327745
  • 1,480万円
  • 埼玉県春日部市藤塚
  • 東武伊勢崎・大師線 一ノ割駅/徒歩16分
  • 112.46㎡/34.01坪
  • 60%(建ぺい率)
  • 200%(容積率)

約34坪の東南角の売地です。見学予約受付中!(株)エステート白馬 越谷店 当日のご見学もご相談ください。

  • 建築条件なし
  • 更地
  • 角地
  • 南道路
  • 古家付き
  • 所有権あり
株式会社エステート白馬 越谷店

売主様が不動産会社の場合、一般的に、不動産の知識の少ない買主様が交渉をしたりすることで、不利益となることもあります。 やはり、エージェントとして、自分の為に働く人が必要ですね。

その他の情報

外観:311002320154 土地
区画図:311002320154
  • 1,480万円
  • 埼玉県春日部市藤塚
  • 東武伊勢崎・大師線 一ノ割駅/徒歩16分
  • 112.46㎡/34.01坪
  • 60%(建ぺい率)
  • 200%(容積率)

理想の住まいを、自由にカタチに♪子育てに優しい環境、教育施設が徒歩圏内で安心の暮らし!

  • 建築条件なし
  • 更地
  • 角地
  • 南道路
  • 古家付き
  • 所有権あり
株式会社サンシティホーム 大宮店

皆様のマイホーム探しを納得いくまでお手伝いをさせて頂きます。不動産は人生で最も高額なものです。お客様一人一人にあった最良のご提案ができるよう、心掛けてまいります。

その他の情報

1ページ目(12ページ中) 次へ
この条件で新着メールを受取る
この検索条件を保存する
追加が完了しました。

現在00件保存されています。(最大5件)

保存した条件一覧を見る

現在00件保存されています。

残り00件追加することができます。

お気に入り物件一覧を見る

間隔を空けてお試しください。

問合せが未完了の物件

エリアを変更 条件を変更
チェックした物件をまとめて 資料請求(無料) お気に入りに追加