松戸市根本(千葉県)の土地・宅地・分譲地の購入情報

松戸市根本(千葉県)の土地・宅地・分譲地の購入情報をご覧いただけます。

1

↓ チェックした物件をまとめてお問い合わせ

外観:312001208120 土地
区画図:312001208120
  • 3,790万円
  • 千葉県松戸市根本
  • 常磐線 松戸駅/徒歩8分
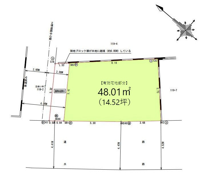
  • 48.01㎡/14.52坪
  • 80%(建ぺい率)
  • 300%(容積率)

松戸市で住まいをお探しのお客様は是非リバティーホームへ  当日や遅めの時間のご見学も調整可能です♪

  • 建築条件なし
  • 更地
  • 角地
  • 南道路
  • 古家付き
  • 所有権あり
株式会社Liberty

『自由で楽しい』不動産探しはリバティーホームにお任せ下さい♪

その他の情報

1ページ目(1ページ中)
この条件で新着メールを受取る
この検索条件を保存する
追加が完了しました。

現在00件保存されています。(最大5件)

保存した条件一覧を見る

現在00件保存されています。

残り00件追加することができます。

お気に入り物件一覧を見る

間隔を空けてお試しください。

問合せが未完了の物件

エリアを変更 条件を変更
チェックした物件をまとめて 資料請求(無料) お気に入りに追加