岐阜市春近古市場北(岐阜県)の土地・宅地・分譲地の購入情報

岐阜市春近古市場北(岐阜県)の土地・宅地・分譲地の購入情報をご覧いただけます。

1

↓ チェックした物件をまとめてお問い合わせ

外観:321000078255 土地
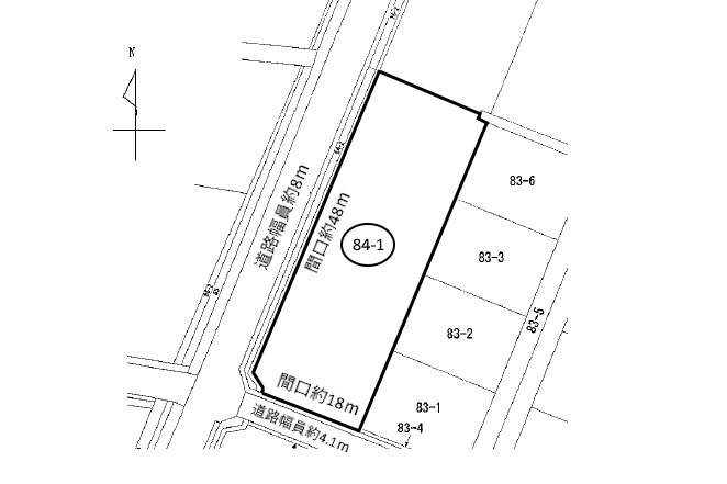
区画図:321000078255
  • 1,500万円
  • 岐阜県岐阜市春近古市場北
  • 東海道本線 岐阜駅/バス 60分/茂地 徒歩8分
  • 975.00㎡/294.93坪
  • 60%(建ぺい率)
  • 200%(容積率)

のどかな環境♪お問い合わせお待ちしています♪

  • 建築条件なし
  • 更地
  • 角地
  • 南道路
  • 古家付き
  • 所有権あり
鵜飼不動産株式会社

物件選びに大切なことは、できるだけ豊富な情報の中から選ぶこと。弊社不動産売買専門スタッフが、お客様目線でのアドバイスを心がけ、よきパートナーとして不動産探しのお手伝いをいたします。(^-^)

その他の情報

1ページ目(1ページ中)
この条件で新着メールを受取る
この検索条件を保存する
追加が完了しました。

現在00件保存されています。(最大5件)

保存した条件一覧を見る

現在00件保存されています。

残り00件追加することができます。

お気に入り物件一覧を見る

間隔を空けてお試しください。

問合せが未完了の物件

エリアを変更 条件を変更
チェックした物件をまとめて 資料請求(無料) お気に入りに追加