香南市香我美町徳王子(高知県)の土地・宅地・分譲地の購入情報

香南市香我美町徳王子(高知県)の土地・宅地・分譲地の購入情報をご覧いただけます。

23

↓ チェックした物件をまとめてお問い合わせ

外観:339000034189 土地
区画図:339000034189
  • 480万円
  • 高知県香南市香我美町徳王子
  • 土佐くろしおなはり 香我美駅/徒歩40分
  • 151.10㎡/45.7坪
  • 60%(建ぺい率)
  • 120%(容積率)

●自然豊かな閑静な住環境●解体後更地渡し●お好きな工務店さんで建築可能◎

  • 建築条件なし
  • 更地
  • 角地
  • 南道路
  • 古家付き
  • 所有権あり
ハウスドゥ 高知葛島 株式会社give

高知市東エリア・南国市・香南市・香美市を中心に、お客様1人1人の想いに全力で答えられるよう、情報を迅速に提供しサポートさせてもらいます。お家に関することすべてハウスドゥ 高知葛島にお任せください。

その他の情報

外観:339000046898 土地
区画図:339000046898
  • 465.2万円
  • 高知県香南市香我美町徳王子
  • 土佐くろしおなはり 香我美駅/徒歩30分
  • 154.16㎡/46.63坪
  • 60%(建ぺい率)
  • 200%(容積率)

●約46.52坪の角地!●静かな住環境です♪●お悩みに寄り添った資金計画をご提案させていただきます!

  • 建築条件なし
  • 更地
  • 角地
  • 南道路
  • 古家付き
  • 所有権あり
ハウスドゥ 高知葛島 株式会社give

高知市東エリア・南国市・香南市・香美市を中心に、お客様1人1人の想いに全力で答えられるよう、情報を迅速に提供しサポートさせてもらいます。お家に関することすべてハウスドゥ 高知葛島にお任せください。

その他の情報

外観:339000050921 土地
NO IMAGE
  • 480万円
  • 高知県香南市香我美町徳王子
  • バス新店停 徒歩5分
  • 151.10㎡/45.7坪
  • 60%(建ぺい率)
  • 120%(容積率)

閑静な住宅街です。近くに人気のカフェや唐揚げやさんがあります。

  • 建築条件なし
  • 更地
  • 角地
  • 南道路
  • 古家付き
  • 所有権あり
株式会社福重設計 イシンホーム高知東

売土地・売建物探し・賃貸お部屋探し・設計・施工・新築・リフォームは当社へお任せ下さい。「住まうこころでおつきあい」をモットーに、お客様のニーズに合った住宅提案を目指しています。

その他の情報

外観:339000049927 土地
区画図:339000049927
  • 863.4万円
  • 高知県香南市香我美町徳王子2345-19
  • 土佐くろしおなはり 香我美駅/徒歩28分
  • 237.88㎡/71.95坪
  • 60%(建ぺい率)
  • 200%(容積率)

香南かがみインターチェンジ近く 香我美町徳王子に新しい造成地が完成(全23区画)

  • 建築条件なし
  • 更地
  • 角地
  • 南道路
  • 古家付き
  • 所有権あり
不動産マーケット株式会社

当社は土地分譲をはじめ一戸建て、マンションの買取および販売を行っています。土地分譲では仲介手数料不要の売主物件も複数ございますので、ぜひお気軽に問い合わせください。

その他の情報

外観:339000049924 土地
区画図:339000049924
  • 849.39万円
  • 高知県香南市香我美町徳王子2345-16
  • 土佐くろしおなはり 香我美駅/徒歩28分
  • 244.18㎡/73.86坪
  • 60%(建ぺい率)
  • 200%(容積率)

香南かがみインターチェンジ近く 香我美町徳王子に新しい造成地が完成(全23区画)

  • 建築条件なし
  • 更地
  • 角地
  • 南道路
  • 古家付き
  • 所有権あり
不動産マーケット株式会社

当社は土地分譲をはじめ一戸建て、マンションの買取および販売を行っています。土地分譲では仲介手数料不要の売主物件も複数ございますので、ぜひお気軽に問い合わせください。

その他の情報

外観:339000049928 土地
区画図:339000049928
  • 842.145万円
  • 高知県香南市香我美町徳王子2345-20
  • 土佐くろしおなはり 香我美駅/徒歩28分
  • 242.10㎡/73.23坪
  • 60%(建ぺい率)
  • 200%(容積率)

香南かがみインターチェンジ近く 香我美町徳王子に新しい造成地が完成(全23区画)

  • 建築条件なし
  • 更地
  • 角地
  • 南道路
  • 古家付き
  • 所有権あり
不動産マーケット株式会社

当社は土地分譲をはじめ一戸建て、マンションの買取および販売を行っています。土地分譲では仲介手数料不要の売主物件も複数ございますので、ぜひお気軽に問い合わせください。

その他の情報

外観:339000049930 土地
区画図:339000049930
  • 746.02万円
  • 高知県香南市香我美町徳王子2345-22
  • 土佐くろしおなはり 香我美駅/徒歩28分
  • 224.20㎡/67.82坪
  • 60%(建ぺい率)
  • 200%(容積率)

香南かがみインターチェンジ近く 香我美町徳王子に新しい造成地が完成(全23区画)

  • 建築条件なし
  • 更地
  • 角地
  • 南道路
  • 古家付き
  • 所有権あり
不動産マーケット株式会社

当社は土地分譲をはじめ一戸建て、マンションの買取および販売を行っています。土地分譲では仲介手数料不要の売主物件も複数ございますので、ぜひお気軽に問い合わせください。

その他の情報

外観:339000049934 土地
区画図:339000049934
  • 840.24万円
  • 高知県香南市香我美町徳王子2345-28
  • 土佐くろしおなはり 香我美駅/徒歩28分
  • 231.49㎡/70.02坪
  • 60%(建ぺい率)
  • 200%(容積率)

香南かがみインターチェンジ近く 香我美町徳王子に新しい造成地が完成(全23区画)

  • 建築条件なし
  • 更地
  • 角地
  • 南道路
  • 古家付き
  • 所有権あり
不動産マーケット株式会社

当社は土地分譲をはじめ一戸建て、マンションの買取および販売を行っています。土地分譲では仲介手数料不要の売主物件も複数ございますので、ぜひお気軽に問い合わせください。

その他の情報

外観:339000049932 土地
区画図:339000049932
  • 831.9万円
  • 高知県香南市香我美町徳王子2345-24
  • 土佐くろしおなはり 香我美駅/徒歩28分
  • 275.01㎡/83.19坪
  • 60%(建ぺい率)
  • 200%(容積率)

香南かがみインターチェンジ近く 香我美町徳王子に新しい造成地が完成(全23区画)

  • 建築条件なし
  • 更地
  • 角地
  • 南道路
  • 古家付き
  • 所有権あり
不動産マーケット株式会社

当社は土地分譲をはじめ一戸建て、マンションの買取および販売を行っています。土地分譲では仲介手数料不要の売主物件も複数ございますので、ぜひお気軽に問い合わせください。

その他の情報

外観:339000049921 土地
区画図:339000049921
  • 760.76万円
  • 高知県香南市香我美町徳王子2345-13
  • 土佐くろしおなはり 香我美駅/徒歩28分
  • 228.64㎡/69.16坪
  • 60%(建ぺい率)
  • 200%(容積率)

香南かがみインターチェンジ近く 香我美町徳王子に新しい造成地が完成(全23区画)

  • 建築条件なし
  • 更地
  • 角地
  • 南道路
  • 古家付き
  • 所有権あり
不動産マーケット株式会社

当社は土地分譲をはじめ一戸建て、マンションの買取および販売を行っています。土地分譲では仲介手数料不要の売主物件も複数ございますので、ぜひお気軽に問い合わせください。

その他の情報

外観:339000049919 土地
区画図:339000049919
  • 751.74万円
  • 高知県香南市香我美町徳王子2345-11
  • 土佐くろしおなはり 香我美駅/徒歩28分
  • 225.94㎡/68.34坪
  • 60%(建ぺい率)
  • 200%(容積率)

香南かがみインターチェンジ近く 香我美町徳王子に新しい造成地が完成(全23区画)

  • 建築条件なし
  • 更地
  • 角地
  • 南道路
  • 古家付き
  • 所有権あり
不動産マーケット株式会社

当社は土地分譲をはじめ一戸建て、マンションの買取および販売を行っています。土地分譲では仲介手数料不要の売主物件も複数ございますので、ぜひお気軽に問い合わせください。

その他の情報

外観:339000049931 土地
区画図:339000049931
  • 718.62万円
  • 高知県香南市香我美町徳王子2345-23
  • 土佐くろしおなはり 香我美駅/徒歩28分
  • 226.25㎡/68.44坪
  • 60%(建ぺい率)
  • 200%(容積率)

香南かがみインターチェンジ近く 香我美町徳王子に新しい造成地が完成(全23区画)

  • 建築条件なし
  • 更地
  • 角地
  • 南道路
  • 古家付き
  • 所有権あり
不動産マーケット株式会社

当社は土地分譲をはじめ一戸建て、マンションの買取および販売を行っています。土地分譲では仲介手数料不要の売主物件も複数ございますので、ぜひお気軽に問い合わせください。

その他の情報

外観:339000049920 土地
区画図:339000049920
  • 711.59万円
  • 高知県香南市香我美町徳王子2345-12
  • 土佐くろしおなはり 香我美駅/徒歩28分
  • 213.88㎡/64.69坪
  • 60%(建ぺい率)
  • 200%(容積率)

香南かがみインターチェンジ近く 香我美町徳王子に新しい造成地が完成(全23区画)

  • 建築条件なし
  • 更地
  • 角地
  • 南道路
  • 古家付き
  • 所有権あり
不動産マーケット株式会社

当社は土地分譲をはじめ一戸建て、マンションの買取および販売を行っています。土地分譲では仲介手数料不要の売主物件も複数ございますので、ぜひお気軽に問い合わせください。

その他の情報

外観:339000049923 土地
区画図:339000049923
  • 704.88万円
  • 高知県香南市香我美町徳王子2345-15
  • 土佐くろしおなはり 香我美駅/徒歩28分
  • 211.85㎡/64.08坪
  • 60%(建ぺい率)
  • 200%(容積率)

香南かがみインターチェンジ近く 香我美町徳王子に新しい造成地が完成(全23区画)

  • 建築条件なし
  • 更地
  • 角地
  • 南道路
  • 古家付き
  • 所有権あり
不動産マーケット株式会社

当社は土地分譲をはじめ一戸建て、マンションの買取および販売を行っています。土地分譲では仲介手数料不要の売主物件も複数ございますので、ぜひお気軽に問い合わせください。

その他の情報

外観:339000049922 土地
区画図:339000049922
  • 702.13万円
  • 高知県香南市香我美町徳王子2345-14
  • 土佐くろしおなはり 香我美駅/徒歩28分
  • 211.04㎡/63.83坪
  • 60%(建ぺい率)
  • 200%(容積率)

香南かがみインターチェンジ近く 香我美町徳王子に新しい造成地が完成(全23区画)

  • 建築条件なし
  • 更地
  • 角地
  • 南道路
  • 古家付き
  • 所有権あり
不動産マーケット株式会社

当社は土地分譲をはじめ一戸建て、マンションの買取および販売を行っています。土地分譲では仲介手数料不要の売主物件も複数ございますので、ぜひお気軽に問い合わせください。

その他の情報

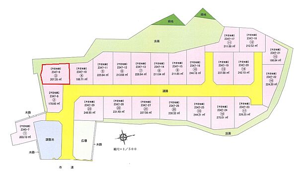
外観:339000049917 土地
区画図:339000049917
  • 658.5599万円
  • 高知県香南市香我美町徳王子2345-9
  • 土佐くろしおなはり 香我美駅/徒歩28分
  • 207.35㎡/62.72坪
  • 60%(建ぺい率)
  • 200%(容積率)

香南かがみインターチェンジ近く 香我美町徳王子に新しい造成地が完成(全23区画)

  • 建築条件なし
  • 更地
  • 角地
  • 南道路
  • 古家付き
  • 所有権あり
不動産マーケット株式会社

当社は土地分譲をはじめ一戸建て、マンションの買取および販売を行っています。土地分譲では仲介手数料不要の売主物件も複数ございますので、ぜひお気軽に問い合わせください。

その他の情報

外観:339000049916 土地
区画図:339000049916
  • 648.24万円
  • 高知県香南市香我美町徳王子2345-8
  • 土佐くろしおなはり 香我美駅/徒歩28分
  • 178.60㎡/54.02坪
  • 60%(建ぺい率)
  • 200%(容積率)

香南かがみインターチェンジ近く 香我美町徳王子に新しい造成地が完成(全23区画)

  • 建築条件なし
  • 更地
  • 角地
  • 南道路
  • 古家付き
  • 所有権あり
不動産マーケット株式会社

当社は土地分譲をはじめ一戸建て、マンションの買取および販売を行っています。土地分譲では仲介手数料不要の売主物件も複数ございますので、ぜひお気軽に問い合わせください。

その他の情報

外観:339000049926 土地
区画図:339000049926
  • 642.8万円
  • 高知県香南市香我美町徳王子2345-18
  • 土佐くろしおなはり 香我美駅/徒歩28分
  • 212.52㎡/64.28坪
  • 60%(建ぺい率)
  • 200%(容積率)

香南かがみインターチェンジ近く 香我美町徳王子に新しい造成地が完成(全23区画)

  • 建築条件なし
  • 更地
  • 角地
  • 南道路
  • 古家付き
  • 所有権あり
不動産マーケット株式会社

当社は土地分譲をはじめ一戸建て、マンションの買取および販売を行っています。土地分譲では仲介手数料不要の売主物件も複数ございますので、ぜひお気軽に問い合わせください。

その他の情報

外観:339000049925 土地
区画図:339000049925
  • 640.9万円
  • 高知県香南市香我美町徳王子2345-17
  • 土佐くろしおなはり 香我美駅/徒歩28分
  • 211.88㎡/64.09坪
  • 60%(建ぺい率)
  • 200%(容積率)

香南かがみインターチェンジ近く 香我美町徳王子に新しい造成地が完成(全23区画)

  • 建築条件なし
  • 更地
  • 角地
  • 南道路
  • 古家付き
  • 所有権あり
不動産マーケット株式会社

当社は土地分譲をはじめ一戸建て、マンションの買取および販売を行っています。土地分譲では仲介手数料不要の売主物件も複数ございますので、ぜひお気軽に問い合わせください。

その他の情報

外観:339000049915 土地
区画図:339000049915
  • 614.3万円
  • 高知県香南市香我美町徳王子2345-7
  • 土佐くろしおなはり 香我美駅/徒歩28分
  • 203.10㎡/61.43坪
  • 60%(建ぺい率)
  • 200%(容積率)

香南かがみインターチェンジ近く 香我美町徳王子に新しい造成地が完成(全23区画)

  • 建築条件なし
  • 更地
  • 角地
  • 南道路
  • 古家付き
  • 所有権あり
不動産マーケット株式会社

当社は土地分譲をはじめ一戸建て、マンションの買取および販売を行っています。土地分譲では仲介手数料不要の売主物件も複数ございますので、ぜひお気軽に問い合わせください。

その他の情報

外観:339000049929 土地
区画図:339000049929
  • 593.355万円
  • 高知県香南市香我美町徳王子2345-21
  • 土佐くろしおなはり 香我美駅/徒歩28分
  • 186.84㎡/56.51坪
  • 60%(建ぺい率)
  • 200%(容積率)

香南かがみインターチェンジ近く 香我美町徳王子に新しい造成地が完成(全23区画)

  • 建築条件なし
  • 更地
  • 角地
  • 南道路
  • 古家付き
  • 所有権あり
不動産マーケット株式会社

当社は土地分譲をはじめ一戸建て、マンションの買取および販売を行っています。土地分譲では仲介手数料不要の売主物件も複数ございますので、ぜひお気軽に問い合わせください。

その他の情報

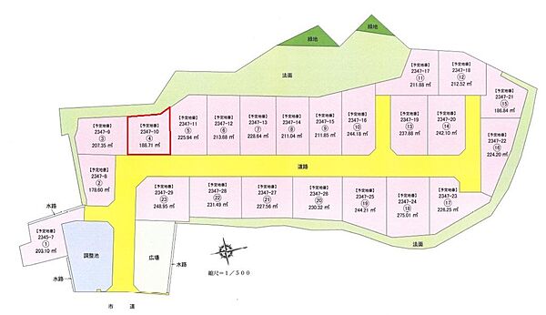
外観:339000049918 土地
区画図:339000049918
  • 627.88万円
  • 高知県香南市香我美町徳王子2345-10
  • 土佐くろしおなはり 香我美駅/徒歩28分
  • 188.71㎡/57.08坪
  • 60%(建ぺい率)
  • 200%(容積率)

香南かがみインターチェンジ近く 香我美町徳王子に新しい造成地が完成(全23区画)

  • 建築条件なし
  • 更地
  • 角地
  • 南道路
  • 古家付き
  • 所有権あり
不動産マーケット株式会社

当社は土地分譲をはじめ一戸建て、マンションの買取および販売を行っています。土地分譲では仲介手数料不要の売主物件も複数ございますので、ぜひお気軽に問い合わせください。

その他の情報

外観:339000032930 土地
区画図:339000032930
  • 4,930万円
  • 高知県香南市香我美町徳王子1882-2
  • バス 駅/バス 香我美市民館入口 徒歩12分
  • 3081.34㎡/932.1坪
  • 60%(建ぺい率)
  • 200%(容積率)

日当り良好、環境、地形良。広い敷地をお探しのお客さまにオススメの物件です。

  • 建築条件なし
  • 更地
  • 角地
  • 南道路
  • 古家付き
  • 所有権あり
有限会社東邦ハウジング

当社では、新築物件、中古物件、売土地、売り家、分譲マンション、収益マンション等を取り扱っております。高知の不動産情報の事なら、(有)東邦ハウジングにお任せ下さい! お気軽にお問い合わせ下さい!!

その他の情報

1ページ目(1ページ中)
この条件で新着メールを受取る
この検索条件を保存する
追加が完了しました。

現在00件保存されています。(最大5件)

保存した条件一覧を見る

現在00件保存されています。

残り00件追加することができます。

お気に入り物件一覧を見る

間隔を空けてお試しください。

問合せが未完了の物件

エリアを変更 条件を変更
チェックした物件をまとめて 資料請求(無料) お気に入りに追加