行田中学校(行田市)近くの土地・宅地・分譲地の購入情報

行田中学校(行田市)近くの土地・宅地・分譲地の購入情報をご覧いただけます。

10

↓ チェックした物件をまとめてお問い合わせ

NO IMAGE 土地

行田中学校まで約1202m

区画図:311002360725
  • 1,030万円
  • 埼玉県行田市佐間1丁目
  • 高崎線 行田駅/徒歩41分
  • 202.66㎡/61.3坪
  • 60%(建ぺい率)
  • 200%(容積率)

☆NEW☆佐間1丁目3号地 ~土地広60坪以上・コンビニ徒歩3分~ ≫POINT ◆毎日のお買い物便利な環境 ◆業務用スーパーの目の前! ◆経済的な都市ガス・本下水エリア ◆フルオーダー・セミオーダー可能

  • 建築条件なし
  • 更地
  • 角地
  • 南道路
  • 古家付き
  • 所有権あり
株式会社ファイブイズホーム

地域密着の信頼で埼玉県北エリア新築着工数No1の実績があります。

その他の情報

NO IMAGE 土地

行田中学校まで約1213m

区画図:311002360727
  • 1,080万円
  • 埼玉県行田市佐間1丁目
  • 高崎線 行田駅/徒歩41分
  • 191.37㎡/57.88坪
  • 60%(建ぺい率)
  • 200%(容積率)

☆NEW☆佐間1丁目1号地 ~土地57坪・バス停まで徒歩3分~ ≫POINT ◆毎日の通勤・お買い物便利な環境 ◆バス停「水城公園前」まで徒歩3分 ◆経済的な都市ガス・本下水エリア ◆フルオーダー・セミオ

  • 建築条件なし
  • 更地
  • 角地
  • 南道路
  • 古家付き
  • 所有権あり
株式会社ファイブイズホーム

地域密着の信頼で埼玉県北エリア新築着工数No1の実績があります。

その他の情報

NO IMAGE 土地

行田中学校まで約1207m

区画図:311002360726
  • 1,030万円
  • 埼玉県行田市佐間1丁目
  • 高崎線 行田駅/徒歩41分
  • 185.54㎡/56.12坪
  • 60%(建ぺい率)
  • 200%(容積率)

☆NEW☆佐間1丁目2号地 ~土地56坪・暮らしやすい立地~ ≫POINT ◆毎日の通勤・お買い物便利な環境 ◆バス停「水城公園前」まで徒歩3分 ◆経済的な都市ガス・本下水エリア ◆フルオーダー・セミオー

  • 建築条件なし
  • 更地
  • 角地
  • 南道路
  • 古家付き
  • 所有権あり
株式会社ファイブイズホーム

地域密着の信頼で埼玉県北エリア新築着工数No1の実績があります。

その他の情報

NO IMAGE 土地

行田中学校まで約1858m

区画図:311002332567
  • 780万円
  • 埼玉県行田市桜町3丁目
  • 秩父鉄道本線 東行田駅/徒歩6分
  • 160.81㎡/48.64坪
  • 60%(建ぺい率)
  • 200%(容積率)

【売主】☆買い物に便利な土地! ◆行田市桜町3丁目4号地◆ ≫物件のポイント ■土地48坪・車2台駐車可・角地 ■分譲地内にゴミ集積所あり ■都市ガス・本下水エリア ■スーパー・コンビニ徒歩2分♪ ◇資料

  • 建築条件なし
  • 更地
  • 角地
  • 南道路
  • 古家付き
  • 所有権あり
株式会社ファイブイズホーム

地域密着の信頼で埼玉県北エリア新築着工数No1の実績があります。

その他の情報

外観:311002285227 土地

行田中学校まで約1245m

区画図:311002285227
  • 450万円
  • 埼玉県行田市城南
  • 秩父鉄道本線 行田市駅/徒歩21分
  • 100.02㎡/30.25坪
  • 60%(建ぺい率)
  • 200%(容積率)

行田市城南 閑静な住宅街の売地 建築条件無しですのでお好きなハウスメーカーで建築可能でございます。

  • 建築条件なし
  • 更地
  • 角地
  • 南道路
  • 古家付き
  • 所有権あり
株式会社末広不動産

埼玉県熊谷市、行田市、鴻巣市、深谷市、その他県北エリアの不動産の事なら当店にお任せ下さい。夢の住まいのお探しをあなたの視点でお手伝い致します。皆様のお問合せ、ご来店心よりお待ち申し上げます。

その他の情報

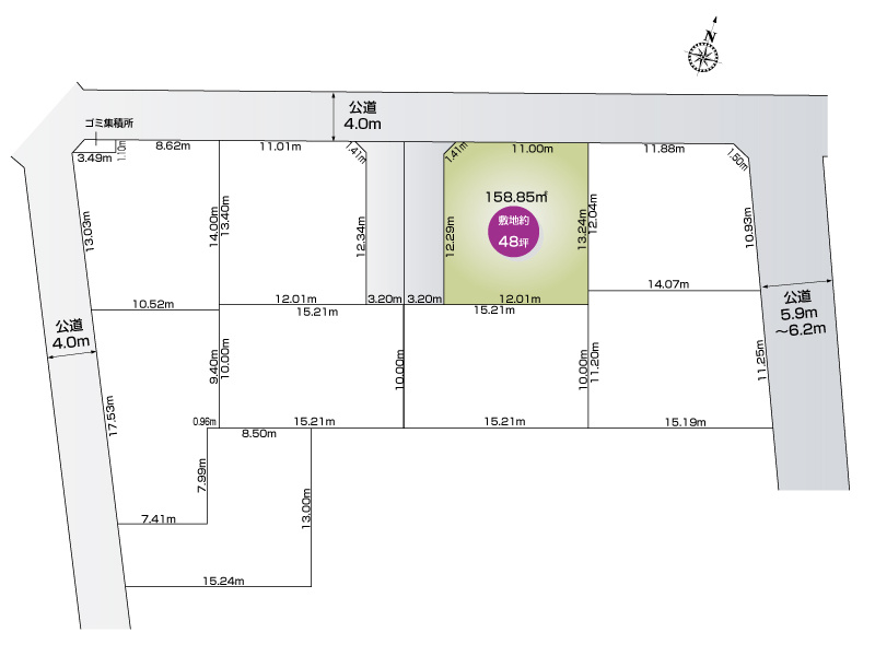
NO IMAGE 土地

行田中学校まで約1853m

区画図:311002311035
  • 530万円
  • 埼玉県行田市桜町3丁目
  • 秩父鉄道本線 東行田駅/徒歩6分
  • 158.85㎡/48.05坪
  • 60%(建ぺい率)
  • 200%(容積率)

【売主】☆通学に便利な立地! ◆行田市桜町3丁目3号地◆ ≫物件のポイント ■土地48坪・車2台駐車可 ■分譲地内にゴミ集積所あり ■都市ガス・本下水エリア ■小学校・中学校徒歩10分! 資料請求・ご見学

  • 建築条件なし
  • 更地
  • 角地
  • 南道路
  • 古家付き
  • 所有権あり
株式会社ファイブイズホーム

地域密着の信頼で埼玉県北エリア新築着工数No1の実績があります。

その他の情報

外観:311002388835 土地

【近い!】 行田中学校まで約859m

NO IMAGE
  • 100,500万円
  • 埼玉県行田市大字下忍
  • 東北自動車道 羽生IC 約15km
  • 22150.00㎡/6700.36坪
  • 0%(建ぺい率)
  • 0%(容積率)

国道17号線沿いの大きな土地です。

  • 建築条件なし
  • 更地
  • 角地
  • 南道路
  • 古家付き
  • 所有権あり
シティ・デザイン株式会社

どこまでもお客様のために、徹底的に「質」にこだわった営業で、顧客満足を目指します。どこにこんな物件があったのだろう、という他には紹介されてない素敵な物件をご案内いたします。

その他の情報

外観:311002391925 土地

行田中学校まで約1732m

区画図:311002391925
  • 490万円
  • 埼玉県行田市中央
  • 秩父鉄道本線 行田市駅/徒歩2分
  • 102.41㎡/30.97坪
  • 80%(建ぺい率)
  • 400%(容積率)

土地30.9坪!建築条件なしお好きなメーカで建築できます!秩父鉄道「行田市駅」徒歩2分!忍小学校・忍中学校エリア!歴史と自然に囲まれた町で住環境良好です!ぜひお問い合わせください。

  • 建築条件なし
  • 更地
  • 角地
  • 南道路
  • 古家付き
  • 所有権あり
株式会社スマイルエステート

籠原エリアの不動産売買及び関東県北収益物件売買を中心に取り組んでいます。

その他の情報

1ページ目(1ページ中)
この条件で新着メールを受取る
この検索条件を保存する

行田市の物件も見てみませんか?

現在のページで希望の物件が見つからなければエリアから探してみてもいいかもしれません。

行田市の物件を見る

※学校までの直線距離を表示しています。道路距離ではありませんのでご了承ください。
※学区の情報は、平成28年度/平成26年度の国土交通省の位置情報参照ダウンロードサービスをもとに利用しています。必ずしも正確ではございませんので、実際行田中学校の校区・通学区域については、掲載店舗にお問い合わせいただくか、各区・市役所等にご確認ください。

追加が完了しました。

現在00件保存されています。(最大5件)

保存した条件一覧を見る

現在00件保存されています。

残り00件追加することができます。

お気に入り物件一覧を見る

間隔を空けてお試しください。

問合せが未完了の物件

条件を変更
チェックした物件をまとめて 資料請求(無料) お気に入りに追加