富士見学習教室(東大和市)近くの土地・宅地・分譲地の購入情報

富士見学習教室(東大和市)近くの土地・宅地・分譲地の購入情報をご覧いただけます。

137

↓ チェックした物件をまとめてお問い合わせ

外観:313004676836 土地

富士見学習教室まで約1323m

区画図:313004676836
  • 4,880万円
  • 東京都立川市幸町5丁目
  • 西武鉄道拝島線 玉川上水駅/徒歩13分
  • 128.31㎡/38.81坪
  • 40%(建ぺい率)
  • 80%(容積率)

毎週、土・日・祝日の11:00~16:00に現地見学会を開催中。営業スタッフが現地でお客様のご来場をお待ちしております。お気軽にお問合せくださいませ。

  • 建築条件なし
  • 更地
  • 角地
  • 南道路
  • 古家付き
  • 所有権あり
株式会社藤和ハウス インターネットお問い合わせセンター

藤和ハウスは創業1975年の信頼と実績!東京・埼玉エリアを中心に全19店舗のネットワーク。不動産(一戸建て・土地・マンション)なら藤和ハウスインターネットお問合せセンターまでお気軽にお問合せください!

その他の情報

外観:313004676835 土地

富士見学習教室まで約1323m

区画図:313004676835
  • 4,780万円
  • 東京都立川市幸町5丁目
  • 西武鉄道拝島線 玉川上水駅/徒歩13分
  • 125.66㎡/38.01坪
  • 40%(建ぺい率)
  • 80%(容積率)

毎週、土・日・祝日の11:00~16:00に現地見学会を開催中。営業スタッフが現地でお客様のご来場をお待ちしております。お気軽にお問合せくださいませ。

  • 建築条件なし
  • 更地
  • 角地
  • 南道路
  • 古家付き
  • 所有権あり
株式会社藤和ハウス インターネットお問い合わせセンター

藤和ハウスは創業1975年の信頼と実績!東京・埼玉エリアを中心に全19店舗のネットワーク。不動産(一戸建て・土地・マンション)なら藤和ハウスインターネットお問合せセンターまでお気軽にお問合せください!

その他の情報

外観:313004668075 土地

富士見学習教室まで約1174m

区画図:313004668075
  • 4,580万円
  • 東京都小平市小川町1丁目
  • 西武鉄道拝島線 東大和市駅/徒歩10分
  • 162.68㎡/49.21坪
  • 40%(建ぺい率)
  • 80%(容積率)

■東大和市駅徒歩10分 ■建築条件なし■閑静な住宅街 ■住環境充実 ■スーパー徒歩10分圏内

  • 建築条件なし
  • 更地
  • 角地
  • 南道路
  • 古家付き
  • 所有権あり
朝日土地建物株式会社 所沢店 営業2課

所沢市を中心とした不動産探しは、西武新宿線・西武池袋線「所沢」駅から徒歩5分の朝日土地建物 所沢店にお任せください

その他の情報

外観:313004676274 土地

富士見学習教室まで約1707m

区画図:313004676274
  • 4,430万円
  • 東京都立川市幸町5丁目
  • 多摩モノレール 砂川七番駅/徒歩9分
  • 120.26㎡/36.37坪
  • 40%(建ぺい率)
  • 80%(容積率)

お好きな間取りで快適な住まいプランがご検討可能な宅地分譲の土地情報です。ご希望内容を反映したプランと御見積書のご提案もできます。現地と周辺環境をご覧になってみませんか!お問い合わせお待ちしています。

  • 建築条件なし
  • 更地
  • 角地
  • 南道路
  • 古家付き
  • 所有権あり
株式会社藤和ハウス インターネットお問い合わせセンター

藤和ハウスは創業1975年の信頼と実績!東京・埼玉エリアを中心に全19店舗のネットワーク。不動産(一戸建て・土地・マンション)なら藤和ハウスインターネットお問合せセンターまでお気軽にお問合せください!

その他の情報

外観:313004676273 土地

富士見学習教室まで約1707m

区画図:313004676273
  • 4,430万円
  • 東京都立川市幸町5丁目
  • 多摩モノレール 砂川七番駅/徒歩10分
  • 120.25㎡/36.37坪
  • 40%(建ぺい率)
  • 80%(容積率)

お好きな間取りで快適な住まいプランがご検討可能な宅地分譲の土地情報です。ご希望内容を反映したプランと御見積書のご提案もできます。現地と周辺環境をご覧になってみませんか!お問い合わせお待ちしています。

  • 建築条件なし
  • 更地
  • 角地
  • 南道路
  • 古家付き
  • 所有権あり
株式会社藤和ハウス インターネットお問い合わせセンター

藤和ハウスは創業1975年の信頼と実績!東京・埼玉エリアを中心に全19店舗のネットワーク。不動産(一戸建て・土地・マンション)なら藤和ハウスインターネットお問合せセンターまでお気軽にお問合せください!

その他の情報

外観:313004676272 土地

富士見学習教室まで約1707m

区画図:313004676272
  • 4,430万円
  • 東京都立川市幸町5丁目
  • 多摩モノレール 砂川七番駅/徒歩10分
  • 120.25㎡/36.37坪
  • 40%(建ぺい率)
  • 80%(容積率)

お好きな間取りで快適な住まいプランがご検討可能な宅地分譲の土地情報です。ご希望内容を反映したプランと御見積書のご提案もできます。現地と周辺環境をご覧になってみませんか!お問い合わせお待ちしています。

  • 建築条件なし
  • 更地
  • 角地
  • 南道路
  • 古家付き
  • 所有権あり
株式会社藤和ハウス インターネットお問い合わせセンター

藤和ハウスは創業1975年の信頼と実績!東京・埼玉エリアを中心に全19店舗のネットワーク。不動産(一戸建て・土地・マンション)なら藤和ハウスインターネットお問合せセンターまでお気軽にお問合せください!

その他の情報

外観:313004676271 土地

富士見学習教室まで約1707m

区画図:313004676271
  • 4,430万円
  • 東京都立川市幸町5丁目
  • 多摩モノレール 砂川七番駅/徒歩10分
  • 120.24㎡/36.37坪
  • 40%(建ぺい率)
  • 80%(容積率)

お好きな間取りで快適な住まいプランがご検討可能な宅地分譲の土地情報です。ご希望内容を反映したプランと御見積書のご提案もできます。現地と周辺環境をご覧になってみませんか!お問い合わせお待ちしています。

  • 建築条件なし
  • 更地
  • 角地
  • 南道路
  • 古家付き
  • 所有権あり
株式会社藤和ハウス インターネットお問い合わせセンター

藤和ハウスは創業1975年の信頼と実績!東京・埼玉エリアを中心に全19店舗のネットワーク。不動産(一戸建て・土地・マンション)なら藤和ハウスインターネットお問合せセンターまでお気軽にお問合せください!

その他の情報

外観:313004676270 土地

富士見学習教室まで約1707m

区画図:313004676270
  • 4,430万円
  • 東京都立川市幸町5丁目
  • 多摩モノレール 砂川七番駅/徒歩10分
  • 120.27㎡/36.38坪
  • 40%(建ぺい率)
  • 80%(容積率)

お好きな間取りで快適な住まいプランがご検討可能な宅地分譲の土地情報です。ご希望内容を反映したプランと御見積書のご提案もできます。現地と周辺環境をご覧になってみませんか!お問い合わせお待ちしています。

  • 建築条件なし
  • 更地
  • 角地
  • 南道路
  • 古家付き
  • 所有権あり
株式会社藤和ハウス インターネットお問い合わせセンター

藤和ハウスは創業1975年の信頼と実績!東京・埼玉エリアを中心に全19店舗のネットワーク。不動産(一戸建て・土地・マンション)なら藤和ハウスインターネットお問合せセンターまでお気軽にお問合せください!

その他の情報

外観:313004676269 土地

富士見学習教室まで約1707m

区画図:313004676269
  • 4,430万円
  • 東京都立川市幸町5丁目
  • 多摩モノレール 砂川七番駅/徒歩10分
  • 121.26㎡/36.68坪
  • 40%(建ぺい率)
  • 80%(容積率)

お好きな間取りで快適な住まいプランがご検討可能な宅地分譲の土地情報です。ご希望内容を反映したプランと御見積書のご提案もできます。現地と周辺環境をご覧になってみませんか!お問い合わせお待ちしています。

  • 建築条件なし
  • 更地
  • 角地
  • 南道路
  • 古家付き
  • 所有権あり
株式会社藤和ハウス インターネットお問い合わせセンター

藤和ハウスは創業1975年の信頼と実績!東京・埼玉エリアを中心に全19店舗のネットワーク。不動産(一戸建て・土地・マンション)なら藤和ハウスインターネットお問合せセンターまでお気軽にお問合せください!

その他の情報

外観:313004676268 土地

富士見学習教室まで約1707m

区画図:313004676268
  • 4,430万円
  • 東京都立川市幸町5丁目
  • 多摩モノレール 砂川七番駅/徒歩10分
  • 121.27㎡/36.68坪
  • 40%(建ぺい率)
  • 80%(容積率)

お好きな間取りで快適な住まいプランがご検討可能な宅地分譲の土地情報です。ご希望内容を反映したプランと御見積書のご提案もできます。現地と周辺環境をご覧になってみませんか!お問い合わせお待ちしています。

  • 建築条件なし
  • 更地
  • 角地
  • 南道路
  • 古家付き
  • 所有権あり
株式会社藤和ハウス インターネットお問い合わせセンター

藤和ハウスは創業1975年の信頼と実績!東京・埼玉エリアを中心に全19店舗のネットワーク。不動産(一戸建て・土地・マンション)なら藤和ハウスインターネットお問合せセンターまでお気軽にお問合せください!

その他の情報

外観:313004676267 土地

富士見学習教室まで約1707m

区画図:313004676267
  • 4,430万円
  • 東京都立川市幸町5丁目
  • 多摩モノレール 砂川七番駅/徒歩10分
  • 121.25㎡/36.67坪
  • 40%(建ぺい率)
  • 80%(容積率)

お好きな間取りで快適な住まいプランがご検討可能な宅地分譲の土地情報です。ご希望内容を反映したプランと御見積書のご提案もできます。現地と周辺環境をご覧になってみませんか!お問い合わせお待ちしています。

  • 建築条件なし
  • 更地
  • 角地
  • 南道路
  • 古家付き
  • 所有権あり
株式会社藤和ハウス インターネットお問い合わせセンター

藤和ハウスは創業1975年の信頼と実績!東京・埼玉エリアを中心に全19店舗のネットワーク。不動産(一戸建て・土地・マンション)なら藤和ハウスインターネットお問合せセンターまでお気軽にお問合せください!

その他の情報

外観:313004674466 土地

富士見学習教室まで約1707m

区画図:313004674466
  • 4,430万円
  • 東京都立川市幸町5丁目
  • 多摩モノレール 砂川七番駅/徒歩9分
  • 120.26㎡/36.37坪
  • 40%(建ぺい率)
  • 80%(容積率)

お好きな間取りで快適な住まいプランがご検討可能な宅地分譲の土地情報です。ご希望内容を反映したプランと御見積書のご提案もできます。現地と周辺環境をご覧になってみませんか!お問い合わせお待ちしています。

  • 建築条件なし
  • 更地
  • 角地
  • 南道路
  • 古家付き
  • 所有権あり
株式会社藤和ハウス インターネットお問い合わせセンター

藤和ハウスは創業1975年の信頼と実績!東京・埼玉エリアを中心に全19店舗のネットワーク。不動産(一戸建て・土地・マンション)なら藤和ハウスインターネットお問合せセンターまでお気軽にお問合せください!

その他の情報

外観:313004676266 土地

富士見学習教室まで約1707m

区画図:313004676266
  • 4,290万円
  • 東京都立川市幸町5丁目
  • 多摩モノレール 砂川七番駅/徒歩9分
  • 115.29㎡/34.87坪
  • 40%(建ぺい率)
  • 80%(容積率)

お好きな間取りで快適な住まいプランがご検討可能な宅地分譲の土地情報です。ご希望内容を反映したプランと御見積書のご提案もできます。現地と周辺環境をご覧になってみませんか!お問い合わせお待ちしています。

  • 建築条件なし
  • 更地
  • 角地
  • 南道路
  • 古家付き
  • 所有権あり
株式会社藤和ハウス インターネットお問い合わせセンター

藤和ハウスは創業1975年の信頼と実績!東京・埼玉エリアを中心に全19店舗のネットワーク。不動産(一戸建て・土地・マンション)なら藤和ハウスインターネットお問合せセンターまでお気軽にお問合せください!

その他の情報

外観:313004676265 土地

富士見学習教室まで約1707m

区画図:313004676265
  • 4,290万円
  • 東京都立川市幸町5丁目
  • 多摩モノレール 砂川七番駅/徒歩9分
  • 115.29㎡/34.87坪
  • 40%(建ぺい率)
  • 80%(容積率)

お好きな間取りで快適な住まいプランがご検討可能な宅地分譲の土地情報です。ご希望内容を反映したプランと御見積書のご提案もできます。現地と周辺環境をご覧になってみませんか!お問い合わせお待ちしています。

  • 建築条件なし
  • 更地
  • 角地
  • 南道路
  • 古家付き
  • 所有権あり
株式会社藤和ハウス インターネットお問い合わせセンター

藤和ハウスは創業1975年の信頼と実績!東京・埼玉エリアを中心に全19店舗のネットワーク。不動産(一戸建て・土地・マンション)なら藤和ハウスインターネットお問合せセンターまでお気軽にお問合せください!

その他の情報

外観:313004676264 土地

富士見学習教室まで約1707m

区画図:313004676264
  • 4,290万円
  • 東京都立川市幸町5丁目
  • 多摩モノレール 砂川七番駅/徒歩9分
  • 115.25㎡/34.86坪
  • 40%(建ぺい率)
  • 80%(容積率)

お好きな間取りで快適な住まいプランがご検討可能な宅地分譲の土地情報です。ご希望内容を反映したプランと御見積書のご提案もできます。現地と周辺環境をご覧になってみませんか!お問い合わせお待ちしています。

  • 建築条件なし
  • 更地
  • 角地
  • 南道路
  • 古家付き
  • 所有権あり
株式会社藤和ハウス インターネットお問い合わせセンター

藤和ハウスは創業1975年の信頼と実績!東京・埼玉エリアを中心に全19店舗のネットワーク。不動産(一戸建て・土地・マンション)なら藤和ハウスインターネットお問合せセンターまでお気軽にお問合せください!

その他の情報

外観:313004675509 土地

富士見学習教室まで約1707m

区画図:313004675509
  • 4,290万円
  • 東京都立川市幸町5丁目
  • 多摩モノレール 砂川七番駅/徒歩9分
  • 115.29㎡/34.87坪
  • 40%(建ぺい率)
  • 80%(容積率)

お好きな間取りで快適な住まいプランがご検討可能な宅地分譲の土地情報です。ご希望内容を反映したプランと御見積書のご提案もできます。現地と周辺環境をご覧になってみませんか!お問い合わせお待ちしています。

  • 建築条件なし
  • 更地
  • 角地
  • 南道路
  • 古家付き
  • 所有権あり
株式会社藤和ハウス インターネットお問い合わせセンター

藤和ハウスは創業1975年の信頼と実績!東京・埼玉エリアを中心に全19店舗のネットワーク。不動産(一戸建て・土地・マンション)なら藤和ハウスインターネットお問合せセンターまでお気軽にお問合せください!

その他の情報

外観:313004675508 土地

富士見学習教室まで約1707m

区画図:313004675508
  • 4,290万円
  • 東京都立川市幸町5丁目
  • 多摩モノレール 砂川七番駅/徒歩9分
  • 115.28㎡/34.87坪
  • 40%(建ぺい率)
  • 80%(容積率)

お好きな間取りで快適な住まいプランがご検討可能な宅地分譲の土地情報です。ご希望内容を反映したプランと御見積書のご提案もできます。現地と周辺環境をご覧になってみませんか!お問い合わせお待ちしています。

  • 建築条件なし
  • 更地
  • 角地
  • 南道路
  • 古家付き
  • 所有権あり
株式会社藤和ハウス インターネットお問い合わせセンター

藤和ハウスは創業1975年の信頼と実績!東京・埼玉エリアを中心に全19店舗のネットワーク。不動産(一戸建て・土地・マンション)なら藤和ハウスインターネットお問合せセンターまでお気軽にお問合せください!

その他の情報

外観:313004674194 土地

富士見学習教室まで約1207m

区画図:313004674194
  • 2,650万円
  • 東京都東大和市仲原3丁目
  • 西武鉄道多摩湖線 武蔵大和駅/徒歩18分
  • 149.36㎡/45.18坪
  • 50%(建ぺい率)
  • 100%(容積率)
  • 建築条件なし
  • 更地
  • 角地
  • 南道路
  • 古家付き
  • 所有権あり
株式会社藤和ハウス インターネットお問い合わせセンター

藤和ハウスは創業1975年の信頼と実績!東京・埼玉エリアを中心に全19店舗のネットワーク。不動産(一戸建て・土地・マンション)なら藤和ハウスインターネットお問合せセンターまでお気軽にお問合せください!

その他の情報

外観:313004679873 土地

【近い!】 富士見学習教室まで約193m

区画図:313004679873
  • 3,280万円
  • 東京都東大和市南街5丁目
  • 西武鉄道拝島線 東大和市駅/徒歩7分
  • 100.16㎡/30.29坪
  • 50%(建ぺい率)
  • 100%(容積率)

◎こころとカラダに、うれしい暮らし HAKUBAグループでは、土地や住まいの売買から設計、建築、 医療、介護そして保険や金融、税金対策、資産形成まで

  • 建築条件なし
  • 更地
  • 角地
  • 南道路
  • 古家付き
  • 所有権あり
株式会社エステート白馬 国分寺店

HAKUBAグループでは不動産だけでなく注文建築・リフォーム・保険・介護・医療など、暮らしにかかわる様々な事業を手掛けています。ご購入後もしっかりとサポートさせて頂きます。

その他の情報

外観:313004544983 土地

【近い!】 富士見学習教室まで約655m

区画図:313004544983
  • 3,680万円
  • 東京都東大和市中央4丁目
  • 多摩モノレール 上北台駅/徒歩18分
  • 175.40㎡/53.05坪
  • 40%(建ぺい率)
  • 80%(容積率)

・閑静な住宅地、広々約53坪・周辺に生活商業施設が充実・お好きなハウスメーカーで建築できます

  • 建築条件なし
  • 更地
  • 角地
  • 南道路
  • 古家付き
  • 所有権あり
株式会社リアルター・ワン

仲介手数料を「無料」でご紹介可能です(諸条件あり)。八王子・日野・多摩エリアの住まいのことなら弊社ににお任せください!

その他の情報

外観:313004680128 土地

富士見学習教室まで約1902m

区画図:313004680128
  • 2,180万円
  • 東京都東大和市狭山4丁目
  • 西武鉄道多摩湖線 武蔵大和駅/徒歩8分
  • 130.00㎡/39.32坪
  • 40%(建ぺい率)
  • 80%(容積率)

◎こころとカラダに、うれしい暮らし HAKUBAグループでは、土地や住まいの売買から設計、建築、 医療、介護そして保険や金融、税金対策、資産形成まで

  • 建築条件なし
  • 更地
  • 角地
  • 南道路
  • 古家付き
  • 所有権あり
株式会社エステート白馬 国分寺店

HAKUBAグループでは不動産だけでなく注文建築・リフォーム・保険・介護・医療など、暮らしにかかわる様々な事業を手掛けています。ご購入後もしっかりとサポートさせて頂きます。

その他の情報

外観:313004675812 土地

富士見学習教室まで約1901m

区画図:313004675812
  • 2,180万円
  • 東京都東大和市狭山4丁目
  • 西武鉄道多摩湖線 武蔵大和駅/徒歩8分
  • 130.00㎡/39.32坪
  • 40%(建ぺい率)
  • 80%(容積率)
  • 建築条件なし
  • 更地
  • 角地
  • 南道路
  • 古家付き
  • 所有権あり
株式会社藤和ハウス インターネットお問い合わせセンター

藤和ハウスは創業1975年の信頼と実績!東京・埼玉エリアを中心に全19店舗のネットワーク。不動産(一戸建て・土地・マンション)なら藤和ハウスインターネットお問合せセンターまでお気軽にお問合せください!

その他の情報

外観:313004548963 土地

富士見学習教室まで約1901m

区画図:313004548963
  • 2,180万円
  • 東京都東大和市狭山4丁目
  • 西武鉄道多摩湖線 武蔵大和駅/徒歩8分
  • 130.00㎡/39.32坪
  • 40%(建ぺい率)
  • 80%(容積率)

<選べるe-GIFT10000円分>初来場&アンケート回答でプレゼント!

  • 建築条件なし
  • 更地
  • 角地
  • 南道路
  • 古家付き
  • 所有権あり
住宅情報館株式会社 武蔵村山店

武蔵村山エリア、近隣エリアの新築・中古一戸建・マンション・土地の購入・売却~注文建築・リフォームまで、住まいの事なら「住宅情報館」にお任せ下さい。

その他の情報

外観:313004454659 土地

富士見学習教室まで約1737m

区画図:313004454659
  • 2,150万円
  • 東京都東大和市新堀1丁目
  • 西武鉄道拝島線 東大和市駅/バス 6分/大和第三小学校 徒歩3分
  • 72.29㎡/21.86坪
  • 60%(建ぺい率)
  • 200%(容積率)

開放感のある北西角地、建築条件ございませんのでお好きなハウスメーカーで建築できます

  • 建築条件なし
  • 更地
  • 角地
  • 南道路
  • 古家付き
  • 所有権あり
株式会社エステート白馬 所沢店

ご見学に併せて、無料の外部FP相談をご利用頂けます。マイホーム購入だけでなく、老後の資金計画・お子様の教育資金等のライフシュミレーションを考慮し、無理のない返済計画をご提案させていただきます。

その他の情報

NO IMAGE 土地

富士見学習教室まで約1579m

区画図:313004685065
  • 4,480万円
  • 東京都立川市幸町5丁目
  • 多摩モノレール 砂川七番駅/徒歩10分
  • 100.01㎡/30.25坪
  • 40%(建ぺい率)
  • 80%(容積率)

立川市幸町5丁目 売地 全10区画 F号区 川越道緑地まで298mです。 前面道路6m以上は確保しているので車の出し入れもラクラクです。 こちらの住宅用地は周囲も環境も整っています!

  • 建築条件なし
  • 更地
  • 角地
  • 南道路
  • 古家付き
  • 所有権あり
センチュリー21成ハウジング

武蔵村山市をはじめとして、昭島市、立川市、東大和市、国立市、瑞穂町のなど不動産情報を多数取り扱っております!フラっと立ち寄れる、気軽に相談できる不動産会社を目指し頑張ります!

その他の情報

NO IMAGE 土地

富士見学習教室まで約1579m

区画図:313004684155
  • 4,480万円
  • 東京都立川市幸町5丁目
  • 多摩モノレール 砂川七番駅/徒歩10分
  • 100.03㎡/30.25坪
  • 40%(建ぺい率)
  • 80%(容積率)

立川市幸町5丁目 売地 全10区画 A号区 川越道緑地まで298mです。 前面道路6m以上は確保しているので車の出し入れもラクラクです。 こちらの住宅用地は周囲も環境も整っています!

  • 建築条件なし
  • 更地
  • 角地
  • 南道路
  • 古家付き
  • 所有権あり
センチュリー21成ハウジング

武蔵村山市をはじめとして、昭島市、立川市、東大和市、国立市、瑞穂町のなど不動産情報を多数取り扱っております!フラっと立ち寄れる、気軽に相談できる不動産会社を目指し頑張ります!

その他の情報

外観:313004679786 土地

【近い!】 富士見学習教室まで約885m

区画図:313004679786
  • 2,580万円
  • 東京都東大和市向原5丁目
  • 西武鉄道拝島線 東大和市駅/徒歩7分
  • 119.21㎡/36.06坪
  • 50%(建ぺい率)
  • 100%(容積率)

◎こころとカラダに、うれしい暮らし HAKUBAグループでは、土地や住まいの売買から設計、建築、 医療、介護そして保険や金融、税金対策、資産形成まで

  • 建築条件なし
  • 更地
  • 角地
  • 南道路
  • 古家付き
  • 所有権あり
株式会社エステート白馬 国分寺店

HAKUBAグループでは不動産だけでなく注文建築・リフォーム・保険・介護・医療など、暮らしにかかわる様々な事業を手掛けています。ご購入後もしっかりとサポートさせて頂きます。

その他の情報

外観:313004586662 土地
NO IMAGE
  • 3,780万円
  • 東京都東大和市清水4丁目
  • 西武鉄道多摩湖線 武蔵大和駅/徒歩12分
  • 199.19㎡/60.25坪
  • 50%(建ぺい率)
  • 100%(容積率)

約60坪の整形地/開放感のある角地/建築条件なし、お好きなハウスメーカで建築可能/前面道路は5m以上

  • 建築条件なし
  • 更地
  • 角地
  • 南道路
  • 古家付き
  • 所有権あり
株式会社西武開発 久米川店

地元のために、お客様のために。私たちの情熱が、地元の皆様の夢をかたちにします。

その他の情報

外観:313004675596 土地

富士見学習教室まで約1707m

区画図:313004675596
  • 2,490万円
  • 東京都東大和市高木2丁目
  • 西武鉄道多摩湖線 武蔵大和駅/徒歩14分
  • 110.01㎡/33.27坪
  • 40%(建ぺい率)
  • 80%(容積率)

【フリープラン対応分譲住宅】 ・お好きな間取りやお色を実現できます。 ・現地、モデルルーム併せてご案内可能! ・土地売りも可能です! お気軽にご連絡ください!

  • 建築条件なし
  • 更地
  • 角地
  • 南道路
  • 古家付き
  • 所有権あり
株式会社藤和ハウス インターネットお問い合わせセンター

藤和ハウスは創業1975年の信頼と実績!東京・埼玉エリアを中心に全19店舗のネットワーク。不動産(一戸建て・土地・マンション)なら藤和ハウスインターネットお問合せセンターまでお気軽にお問合せください!

その他の情報

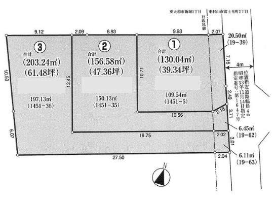
外観:313004685311 土地

富士見学習教室まで約1780m

区画図:313004685311
  • 2,780万円
  • 東京都東大和市新堀1丁目
  • 西武鉄道国分寺線 小川駅/徒歩19分
  • 203.24㎡/61.48坪
  • 40%(建ぺい率)
  • 80%(容積率)

東大和市新堀1丁目 売地 全3区画 3号区 家計に優しい都市ガスです(^-^) 売地をお探しの方に、こちらの土地はイチオシです♪ 建築についてじっくり考えられるというメリットのある建築条件なし♪

  • 建築条件なし
  • 更地
  • 角地
  • 南道路
  • 古家付き
  • 所有権あり
センチュリー21成ハウジング

武蔵村山市をはじめとして、昭島市、立川市、東大和市、国立市、瑞穂町のなど不動産情報を多数取り扱っております!フラっと立ち寄れる、気軽に相談できる不動産会社を目指し頑張ります!

その他の情報

1ページ目(5ページ中) 次へ
この条件で新着メールを受取る
この検索条件を保存する

東大和市の物件も見てみませんか?

現在のページで希望の物件が見つからなければエリアから探してみてもいいかもしれません。

東大和市の物件を見る

※富士見学習教室までの直線距離を表示しています。道路距離ではありませんのでご了承ください。

追加が完了しました。

現在00件保存されています。(最大5件)

保存した条件一覧を見る

現在00件保存されています。

残り00件追加することができます。

お気に入り物件一覧を見る

間隔を空けてお試しください。

問合せが未完了の物件

条件を変更
チェックした物件をまとめて 資料請求(無料) お気に入りに追加