第4保育所(春日部市)近くの土地・宅地・分譲地の購入情報

第4保育所(春日部市)近くの土地・宅地・分譲地の購入情報をご覧いただけます。

159

↓ チェックした物件をまとめてお問い合わせ

外観:311002377910 土地

第4保育所まで約1960m

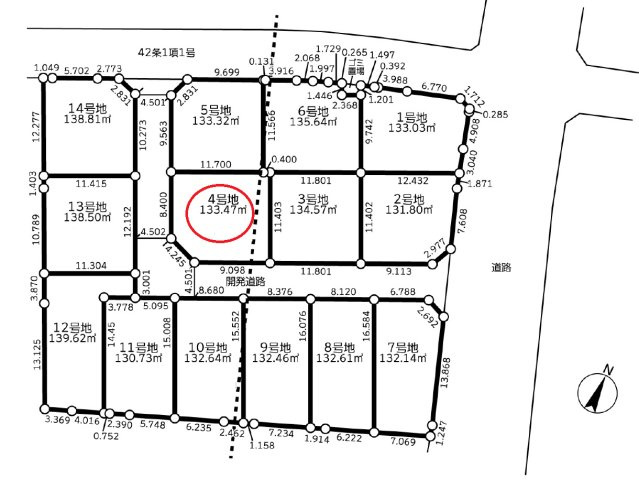
区画図:311002377910
  • 2,480万円
  • 埼玉県春日部市藤塚
  • 東武鉄道野田線 藤の牛島駅/徒歩13分
  • 133.47㎡/40.37坪
  • 50%(建ぺい率)
  • 80%(容積率)

■4号地 土地面積約40坪! ■お好きなハウスメーカーで建築可能です! ■東武アーバンパークライン「藤の牛島」駅徒歩13分! ■藤塚小学校徒歩15分(1200m)・豊野中学校徒歩17分(1300m)

  • 建築条件なし
  • 更地
  • 角地
  • 南道路
  • 古家付き
  • 所有権あり
埼玉相互住宅株式会社 越谷店 

2023年12月8日に店内リニューアルオープンを致しました。越谷市を中心に草加市・松伏町・春日部市・川口市・さいたま市・吉川市の不動産のご購入やご売却のことなら埼玉相互住宅(株)越谷店にお任せ下さい!

その他の情報

外観:311002362267 土地

第4保育所まで約1960m

区画図:311002362267
  • 2,480万円
  • 埼玉県春日部市藤塚
  • 東武鉄道野田線 藤の牛島駅/徒歩13分
  • 133.47㎡/40.37坪
  • 50%(建ぺい率)
  • 80%(容積率)

開放感あふれる南西角地で陽当たり良好!土地面積約40坪! 自由設計で夢のマイホーム・お好きなハウスメーカーで建築可能です! 当社建築士による無料の間取り作成承ります!カスミまで徒歩約6分(472m)!

  • 建築条件なし
  • 更地
  • 角地
  • 南道路
  • 古家付き
  • 所有権あり
埼玉相互住宅株式会社 春日部店

★【仲介手数料無料!】★ 当社が取り扱いできる新築住宅は本来お客様が負担する仲介手数料が不要になります。取り扱いする仲介会社によって諸費用が変わります。ぜひ当社へご相談下さい!!

その他の情報

外観:311001916568 土地

第4保育所まで約1662m

区画図:311001916568
  • 2,450万円
  • 埼玉県春日部市緑町3丁目
  • 東武伊勢崎・大師線 一ノ割駅/徒歩19分
  • 249.20㎡/75.38坪
  • 60%(建ぺい率)
  • 200%(容積率)

選べるe-GIFT15000円分>店舗初来場&アンケート回答でプレゼント

  • 建築条件なし
  • 更地
  • 角地
  • 南道路
  • 古家付き
  • 所有権あり
住宅情報館株式会社 春日部店

春日部エリア、近隣エリアの新築・中古一戸建・マンション・土地の購入・売却~注文建築・リフォームまで、住まいの事なら「住宅情報館」にお任せ下さい。

その他の情報

外観:311002366286 土地

第4保育所まで約1516m

区画図:311002366286
  • 3,000万円
  • 埼玉県春日部市本田町1丁目
  • 東武伊勢崎・大師線 一ノ割駅/徒歩19分
  • 210.00㎡/63.52坪
  • 60%(建ぺい率)
  • 200%(容積率)

土地面積約63坪・東南道路に面して陽当たり良好! 建築条件なし・お好きなハウスメーカーで建築可能! 希望の間取りが叶いやすい整形地!幹線道路に面しており、店舗にも最適です! カスミまで徒歩約6分!

  • 建築条件なし
  • 更地
  • 角地
  • 南道路
  • 古家付き
  • 所有権あり
埼玉相互住宅株式会社 春日部店

★【仲介手数料無料!】★ 当社が取り扱いできる新築住宅は本来お客様が負担する仲介手数料が不要になります。取り扱いする仲介会社によって諸費用が変わります。ぜひ当社へご相談下さい!!

その他の情報

外観:311002377919 土地

第4保育所まで約1960m

区画図:311002377919
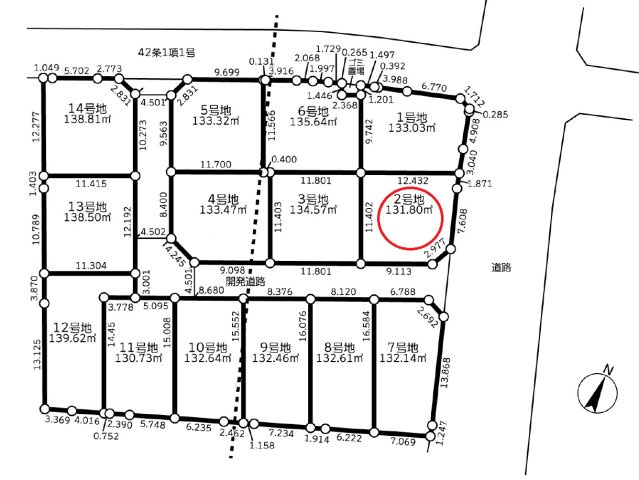
  • 2,380万円
  • 埼玉県春日部市藤塚
  • 東武鉄道野田線 藤の牛島駅/徒歩13分
  • 131.80㎡/39.86坪
  • 60%(建ぺい率)
  • 200%(容積率)

■2号地 土地面積約39坪! ■お好きなハウスメーカーで建築可能です! ■東武アーバンパークライン「藤の牛島」駅徒歩13分! ■藤塚小学校徒歩15分(1200m)・豊野中学校徒歩17分(1300m)

  • 建築条件なし
  • 更地
  • 角地
  • 南道路
  • 古家付き
  • 所有権あり
埼玉相互住宅株式会社 越谷店 

2023年12月8日に店内リニューアルオープンを致しました。越谷市を中心に草加市・松伏町・春日部市・川口市・さいたま市・吉川市の不動産のご購入やご売却のことなら埼玉相互住宅(株)越谷店にお任せ下さい!

その他の情報

外観:311002362269 土地

第4保育所まで約1960m

区画図:311002362269
  • 2,380万円
  • 埼玉県春日部市藤塚
  • 東武鉄道野田線 藤の牛島駅/徒歩13分
  • 131.80㎡/39.86坪
  • 60%(建ぺい率)
  • 200%(容積率)

開放感あふれる南東角地で陽当たり良好!土地面積約39坪! 自由設計で夢のマイホーム・お好きなハウスメーカーで建築可能です! 当社建築士による無料の間取り作成承ります!カスミまで徒歩約6分(472m)!

  • 建築条件なし
  • 更地
  • 角地
  • 南道路
  • 古家付き
  • 所有権あり
埼玉相互住宅株式会社 春日部店

★【仲介手数料無料!】★ 当社が取り扱いできる新築住宅は本来お客様が負担する仲介手数料が不要になります。取り扱いする仲介会社によって諸費用が変わります。ぜひ当社へご相談下さい!!

その他の情報

外観:311002377909 土地

第4保育所まで約1960m

区画図:311002377909
  • 2,480万円
  • 埼玉県春日部市藤塚
  • 東武鉄道野田線 藤の牛島駅/徒歩13分
  • 138.81㎡/41.98坪
  • 50%(建ぺい率)
  • 80%(容積率)

■14号地 土地面積約41坪! ■お好きなハウスメーカーで建築可能です! ■東武アーバンパークライン「藤の牛島」駅徒歩13分! ■藤塚小学校徒歩15分(1200m)・豊野中学校徒歩17分(1300m)

  • 建築条件なし
  • 更地
  • 角地
  • 南道路
  • 古家付き
  • 所有権あり
埼玉相互住宅株式会社 越谷店 

2023年12月8日に店内リニューアルオープンを致しました。越谷市を中心に草加市・松伏町・春日部市・川口市・さいたま市・吉川市の不動産のご購入やご売却のことなら埼玉相互住宅(株)越谷店にお任せ下さい!

その他の情報

外観:311002362265 土地

第4保育所まで約1960m

区画図:311002362265
  • 2,480万円
  • 埼玉県春日部市藤塚
  • 東武鉄道野田線 藤の牛島駅/徒歩13分
  • 138.81㎡/41.98坪
  • 50%(建ぺい率)
  • 80%(容積率)

開放感あふれる北東角地に立地!土地面積約41坪! 自由設計で夢のマイホーム・お好きなハウスメーカーで建築可能です! 当社建築士による無料の間取り作成承ります!カスミまで徒歩約6分(472m)!

  • 建築条件なし
  • 更地
  • 角地
  • 南道路
  • 古家付き
  • 所有権あり
埼玉相互住宅株式会社 春日部店

★【仲介手数料無料!】★ 当社が取り扱いできる新築住宅は本来お客様が負担する仲介手数料が不要になります。取り扱いする仲介会社によって諸費用が変わります。ぜひ当社へご相談下さい!!

その他の情報

外観:311002323332 土地

第4保育所まで約1662m

区画図:311002323332
  • 2,450万円
  • 埼玉県春日部市緑町3丁目
  • 東武伊勢崎・大師線 一ノ割駅/徒歩18分
  • 249.20㎡/75.38坪
  • 60%(建ぺい率)
  • 200%(容積率)

当店は、大袋駅の西口徒歩2分!駐車場完備!電車でもお車でもご来店しやすい店舗です。

  • 建築条件なし
  • 更地
  • 角地
  • 南道路
  • 古家付き
  • 所有権あり
株式会社エステート白馬 越谷店

売主様が不動産会社の場合、一般的に、不動産の知識の少ない買主様が交渉をしたりすることで、不利益となることもあります。 やはり、エージェントとして、自分の為に働く人が必要ですね。

その他の情報

外観:311002188984 土地

【近い!】 第4保育所まで約830m

区画図:311002188984
  • 2,950万円
  • 埼玉県春日部市武里中野
  • 東武伊勢崎・大師線 武里駅/徒歩19分
  • 323.76㎡/97.93坪
  • 60%(建ぺい率)
  • 200%(容積率)

倉庫はそのままご利用可能です!敷地面積約97坪超!市街化調整区域ですが、どなたでも建築可能です。

  • 建築条件なし
  • 更地
  • 角地
  • 南道路
  • 古家付き
  • 所有権あり
埼玉相互住宅株式会社 本社

創業1974年快適生活創造企業、地元密着企業。草加・越谷の売買物件は当社にお任せ!新築住宅・中古住宅・土地・マンション何でもOKです。

その他の情報

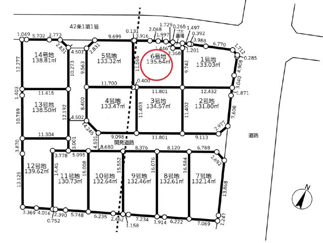
外観:311002378296 土地

第4保育所まで約1960m

区画図:311002378296
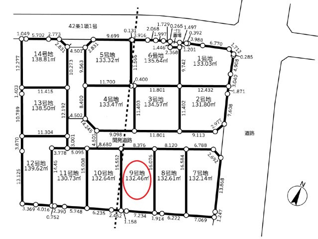
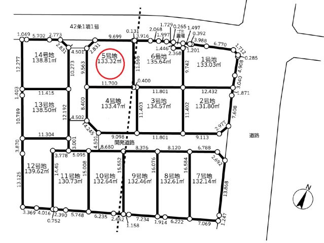
  • 2,380万円
  • 埼玉県春日部市藤塚
  • 東武鉄道野田線 藤の牛島駅/徒歩13分
  • 133.32㎡/40.32坪
  • 50%(建ぺい率)
  • 80%(容積率)

■5号地 土地面積約40坪! ■お好きなハウスメーカーで建築可能です! ■東武アーバンパークライン「藤の牛島」駅徒歩13分! ■藤塚小学校徒歩15分(1200m)・豊野中学校徒歩17分(1300m)

  • 建築条件なし
  • 更地
  • 角地
  • 南道路
  • 古家付き
  • 所有権あり
埼玉相互住宅株式会社 越谷店 

2023年12月8日に店内リニューアルオープンを致しました。越谷市を中心に草加市・松伏町・春日部市・川口市・さいたま市・吉川市の不動産のご購入やご売却のことなら埼玉相互住宅(株)越谷店にお任せ下さい!

その他の情報

外観:311002377843 土地

第4保育所まで約1960m

区画図:311002377843
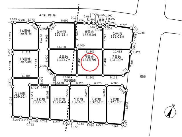
  • 2,380万円
  • 埼玉県春日部市藤塚
  • 東武鉄道野田線 藤の牛島駅/徒歩13分
  • 134.57㎡/40.7坪
  • 60%(建ぺい率)
  • 180%(容積率)

■3号地 土地面積約40坪! ■お好きなハウスメーカーで建築可能です! ■東武アーバンパークライン「藤の牛島」駅徒歩13分! ■藤塚小学校徒歩15分(1200m)・豊野中学校徒歩17分(1300m)

  • 建築条件なし
  • 更地
  • 角地
  • 南道路
  • 古家付き
  • 所有権あり
埼玉相互住宅株式会社 越谷店 

2023年12月8日に店内リニューアルオープンを致しました。越谷市を中心に草加市・松伏町・春日部市・川口市・さいたま市・吉川市の不動産のご購入やご売却のことなら埼玉相互住宅(株)越谷店にお任せ下さい!

その他の情報

外観:311002188737 土地

【近い!】 第4保育所まで約710m

区画図:311002188737
  • 2,090万円
  • 埼玉県春日部市一ノ割4丁目
  • 東武伊勢崎・大師線 一ノ割駅/徒歩13分
  • 114.00㎡/34.48坪
  • 60%(建ぺい率)
  • 200%(容積率)

東武スカイツリーライン「一ノ割」駅徒歩約13分!建築条件なし・お好きなハウスメーカーで建築可能です!お気軽にお問い合わせください!

  • 建築条件なし
  • 更地
  • 角地
  • 南道路
  • 古家付き
  • 所有権あり
埼玉相互住宅株式会社 本社

創業1974年快適生活創造企業、地元密着企業。草加・越谷の売買物件は当社にお任せ!新築住宅・中古住宅・土地・マンション何でもOKです。

その他の情報

外観:311001679108 土地

【近い!】 第4保育所まで約710m

区画図:311001679108
  • 2,090万円
  • 埼玉県春日部市一ノ割4丁目
  • 東武伊勢崎・大師線 一ノ割駅/徒歩12分
  • 114.00㎡/34.48坪
  • 60%(建ぺい率)
  • 200%(容積率)

商業施設や教育施設も徒歩圏内で暮らしやすい住環境!お好きなハウスメーカーで建築できます!当社では一級建築士による無料の間取り作成も承ります。お気軽にご相談下さい(*^_^*)

  • 建築条件なし
  • 更地
  • 角地
  • 南道路
  • 古家付き
  • 所有権あり
埼玉相互住宅株式会社 北越谷店

地域密着、創業後50年以上越谷市で営業し続けています。越谷市出身・在住のスタッフも多いので、不動産情報だけではなく、生活施設・買い物施設や娯楽施設など暮らしに関わる情報も豊富です。

その他の情報

外観:311002377946 土地

第4保育所まで約1187m

区画図:311002377946
  • 2,780万円
  • 埼玉県春日部市緑町5丁目
  • 東武伊勢崎・大師線 一ノ割駅/徒歩10分
  • 205.54㎡/62.17坪
  • 60%(建ぺい率)
  • 200%(容積率)

■土地面積62坪!■お好きな間取りで建築可能です!■緑小学校まで徒歩5分(約350m)・緑中学校まで徒歩5分(約350m)

  • 建築条件なし
  • 更地
  • 角地
  • 南道路
  • 古家付き
  • 所有権あり
埼玉相互住宅株式会社 越谷店 

2023年12月8日に店内リニューアルオープンを致しました。越谷市を中心に草加市・松伏町・春日部市・川口市・さいたま市・吉川市の不動産のご購入やご売却のことなら埼玉相互住宅(株)越谷店にお任せ下さい!

その他の情報

外観:311002189356 土地

第4保育所まで約1132m

区画図:311002189356
  • 2,780万円
  • 埼玉県春日部市緑町5丁目
  • 東武伊勢崎・大師線 一ノ割駅/徒歩10分
  • 205.54㎡/62.17坪
  • 60%(建ぺい率)
  • 200%(容積率)

東武スカイツリーライン「一ノ割」駅徒歩約10分!敷地約62坪!広々とした敷地に自由設計で夢のマイホームはいかがでしょうか!緑小学校・緑中学校まで徒歩約5分(350m)、お子様の通学に安心です!

  • 建築条件なし
  • 更地
  • 角地
  • 南道路
  • 古家付き
  • 所有権あり
埼玉相互住宅株式会社 本社

創業1974年快適生活創造企業、地元密着企業。草加・越谷の売買物件は当社にお任せ!新築住宅・中古住宅・土地・マンション何でもOKです。

その他の情報

外観:311002185654 土地

第4保育所まで約1132m

区画図:311002185654
  • 2,780万円
  • 埼玉県春日部市緑町5丁目
  • 東武伊勢崎・大師線 一ノ割駅/徒歩10分
  • 205.54㎡/62.17坪
  • 60%(建ぺい率)
  • 200%(容積率)

東武スカイツリーライン「一ノ割」駅徒歩約10分!敷地約62坪!広々とした敷地に自由設計で夢のマイホームはいかがでしょうか!緑小学校・緑中学校まで徒歩約5分(350m)、お子様の通学に安心です!

  • 建築条件なし
  • 更地
  • 角地
  • 南道路
  • 古家付き
  • 所有権あり
埼玉相互住宅株式会社 東越谷店

草加市・越谷市の売買物件(土地・新築住宅・中古住宅・マンション等)をお探しの方は、埼玉相互住宅(株)東越谷店にお任せください。まずはお気軽に、お住まいのことなんでもご相談ください!

その他の情報

外観:311002136160 土地

第4保育所まで約1132m

区画図:311002136160
  • 2,780万円
  • 埼玉県春日部市緑町5丁目
  • 東武伊勢崎・大師線 一ノ割駅/徒歩10分
  • 205.54㎡/62.17坪
  • 60%(建ぺい率)
  • 200%(容積率)

土地面積62坪超!自由設計で夢のマイホームはいかがでしょうか!建築士による無料の間取り作成承ります!教育・商業施設が徒歩10分圏内の便利な立地です!東武スカイツリーライン「一ノ割」駅徒歩10分!

  • 建築条件なし
  • 更地
  • 角地
  • 南道路
  • 古家付き
  • 所有権あり
埼玉相互住宅株式会社 春日部店

★【仲介手数料無料!】★ 当社が取り扱いできる新築住宅は本来お客様が負担する仲介手数料が不要になります。取り扱いする仲介会社によって諸費用が変わります。ぜひ当社へご相談下さい!!

その他の情報

外観:311002323488 土地

第4保育所まで約1694m

区画図:311002323488
  • 2,800万円
  • 埼玉県春日部市大枝
  • 東武伊勢崎・大師線 武里駅/徒歩9分
  • 330.14㎡/99.86坪
  • 60%(建ぺい率)
  • 200%(容積率)

ご見学にあわせて無料の外部FP相談をご利用頂けます。マイホーム購入だけでなく、老後の資金計画・お子様の教育資金等のライフシュミレーションを考慮した上で、無理のない返済計画をご提案いたします。

  • 建築条件なし
  • 更地
  • 角地
  • 南道路
  • 古家付き
  • 所有権あり
株式会社エステート白馬 越谷店

売主様が不動産会社の場合、一般的に、不動産の知識の少ない買主様が交渉をしたりすることで、不利益となることもあります。 やはり、エージェントとして、自分の為に働く人が必要ですね。

その他の情報

外観:311002378157 土地

第4保育所まで約1908m

区画図:311002378157
  • 1,980万円
  • 埼玉県越谷市大字平方
  • 東武伊勢崎・大師線 武里駅/徒歩16分
  • 419.00㎡/126.74坪
  • 60%(建ぺい率)
  • 200%(容積率)

■土地面積約126坪! ■お好きなハウスメーカーで建築可能! ■無料でプラン作成いたします! ■平方小学校まで徒歩7分(約550m)・平方中学校まで徒歩14分(約1100m)

  • 建築条件なし
  • 更地
  • 角地
  • 南道路
  • 古家付き
  • 所有権あり
埼玉相互住宅株式会社 越谷店 

2023年12月8日に店内リニューアルオープンを致しました。越谷市を中心に草加市・松伏町・春日部市・川口市・さいたま市・吉川市の不動産のご購入やご売却のことなら埼玉相互住宅(株)越谷店にお任せ下さい!

その他の情報

外観:311002377908 土地

第4保育所まで約1960m

区画図:311002377908
  • 2,380万円
  • 埼玉県春日部市藤塚
  • 東武鉄道野田線 藤の牛島駅/徒歩13分
  • 138.50㎡/41.89坪
  • 50%(建ぺい率)
  • 80%(容積率)

■13号地 土地面積約41坪! ■お好きなハウスメーカーで建築可能です! ■東武アーバンパークライン「藤の牛島」駅徒歩13分! ■藤塚小学校徒歩15分(1200m)・豊野中学校徒歩17分(1300m)

  • 建築条件なし
  • 更地
  • 角地
  • 南道路
  • 古家付き
  • 所有権あり
埼玉相互住宅株式会社 越谷店 

2023年12月8日に店内リニューアルオープンを致しました。越谷市を中心に草加市・松伏町・春日部市・川口市・さいたま市・吉川市の不動産のご購入やご売却のことなら埼玉相互住宅(株)越谷店にお任せ下さい!

その他の情報

外観:311002362268 土地

第4保育所まで約1960m

区画図:311002362268
  • 2,380万円
  • 埼玉県春日部市藤塚
  • 東武鉄道野田線 藤の牛島駅/徒歩13分
  • 134.57㎡/40.7坪
  • 60%(建ぺい率)
  • 200%(容積率)

南道路に面して陽当たり良好!土地面積約40坪! 自由設計で夢のマイホーム・当社建築士による無料の間取り作成承ります! 希望の間取りが叶いやすい整形地!カスミまで徒歩約6分(472m)!

  • 建築条件なし
  • 更地
  • 角地
  • 南道路
  • 古家付き
  • 所有権あり
埼玉相互住宅株式会社 春日部店

★【仲介手数料無料!】★ 当社が取り扱いできる新築住宅は本来お客様が負担する仲介手数料が不要になります。取り扱いする仲介会社によって諸費用が変わります。ぜひ当社へご相談下さい!!

その他の情報

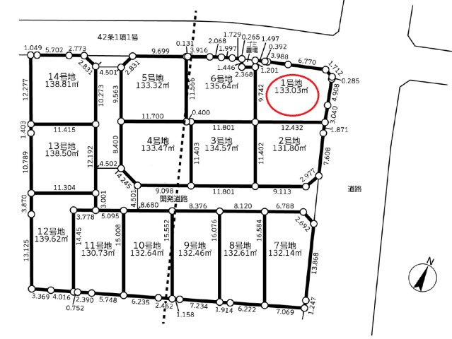
外観:311002377916 土地

第4保育所まで約1960m

区画図:311002377916
  • 2,080万円
  • 埼玉県春日部市藤塚
  • 東武鉄道野田線 藤の牛島駅/徒歩13分
  • 133.03㎡/40.24坪
  • 60%(建ぺい率)
  • 200%(容積率)

■1号地 土地面積約40坪! ■お好きなハウスメーカーで建築可能です! ■東武アーバンパークライン「藤の牛島」駅徒歩13分! ■藤塚小学校徒歩15分(1200m)・豊野中学校徒歩17分(1300m)

  • 建築条件なし
  • 更地
  • 角地
  • 南道路
  • 古家付き
  • 所有権あり
埼玉相互住宅株式会社 越谷店 

2023年12月8日に店内リニューアルオープンを致しました。越谷市を中心に草加市・松伏町・春日部市・川口市・さいたま市・吉川市の不動産のご購入やご売却のことなら埼玉相互住宅(株)越谷店にお任せ下さい!

その他の情報

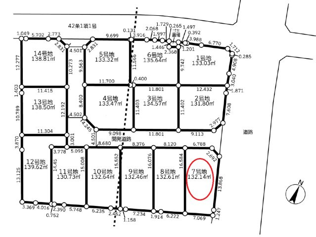
外観:311002377912 土地

第4保育所まで約1960m

区画図:311002377912
  • 2,080万円
  • 埼玉県春日部市藤塚
  • 東武鉄道野田線 藤の牛島駅/徒歩13分
  • 132.14㎡/39.97坪
  • 60%(建ぺい率)
  • 200%(容積率)

■7号地 土地面積約39坪! ■お好きなハウスメーカーで建築可能です! ■東武アーバンパークライン「藤の牛島」駅徒歩13分! ■藤塚小学校徒歩15分(1200m)・豊野中学校徒歩17分(1300m)

  • 建築条件なし
  • 更地
  • 角地
  • 南道路
  • 古家付き
  • 所有権あり
埼玉相互住宅株式会社 越谷店 

2023年12月8日に店内リニューアルオープンを致しました。越谷市を中心に草加市・松伏町・春日部市・川口市・さいたま市・吉川市の不動産のご購入やご売却のことなら埼玉相互住宅(株)越谷店にお任せ下さい!

その他の情報

外観:311002146483 土地

第4保育所まで約1132m

区画図:311002146483
  • 2,780万円
  • 埼玉県春日部市緑町5丁目
  • 東武伊勢崎・大師線 一ノ割駅/徒歩10分
  • 205.54㎡/62.17坪
  • 60%(建ぺい率)
  • 200%(容積率)

土地面積62坪超!自由設計で夢のマイホームはいかがでしょうか!建築士による無料の間取り作成承ります!教育・商業施設が徒歩10分圏内の便利な立地です!東武スカイツリーライン「一ノ割」駅徒歩10分!

  • 建築条件なし
  • 更地
  • 角地
  • 南道路
  • 古家付き
  • 所有権あり
埼玉相互住宅株式会社 北越谷店

地域密着、創業後50年以上越谷市で営業し続けています。越谷市出身・在住のスタッフも多いので、不動産情報だけではなく、生活施設・買い物施設や娯楽施設など暮らしに関わる情報も豊富です。

その他の情報

外観:311002189429 土地

【近い!】 第4保育所まで約710m

区画図:311002189429
  • 1,990万円
  • 埼玉県春日部市一ノ割4丁目
  • 東武伊勢崎・大師線 一ノ割駅/徒歩13分
  • 105.00㎡/31.76坪
  • 60%(建ぺい率)
  • 200%(容積率)

東武スカイツリーライン「一ノ割」駅徒歩約13分!建築条件なし・お好きなハウスメーカーで建築可能です!お気軽にお問い合わせください!

  • 建築条件なし
  • 更地
  • 角地
  • 南道路
  • 古家付き
  • 所有権あり
埼玉相互住宅株式会社 本社

創業1974年快適生活創造企業、地元密着企業。草加・越谷の売買物件は当社にお任せ!新築住宅・中古住宅・土地・マンション何でもOKです。

その他の情報

外観:311002088440 土地

【近い!】 第4保育所まで約710m

区画図:311002088440
  • 1,990万円
  • 埼玉県春日部市一ノ割4丁目
  • 東武伊勢崎・大師線 一ノ割駅/徒歩13分
  • 105.00㎡/31.76坪
  • 60%(建ぺい率)
  • 200%(容積率)

敷地面積31坪以上!自由設計で夢のマイホームはいかがでしょうか! 建築条件はありませんのでお好きなハウスメーカーで建築可能です!商業施設徒歩圏内!公園も近く子育て世帯に優しい住環境です!

  • 建築条件なし
  • 更地
  • 角地
  • 南道路
  • 古家付き
  • 所有権あり
埼玉相互住宅株式会社 春日部店

★【仲介手数料無料!】★ 当社が取り扱いできる新築住宅は本来お客様が負担する仲介手数料が不要になります。取り扱いする仲介会社によって諸費用が変わります。ぜひ当社へご相談下さい!!

その他の情報

外観:311002085136 土地

【近い!】 第4保育所まで約710m

区画図:311002085136
  • 1,990万円
  • 埼玉県春日部市一ノ割4丁目
  • 東武伊勢崎・大師線 一ノ割駅/徒歩12分
  • 105.00㎡/31.76坪
  • 60%(建ぺい率)
  • 200%(容積率)

商業施設や教育施設も徒歩圏内で暮らしやすい住環境!お好きなハウスメーカーで建築できます!当社では一級建築士による無料の間取り作成も承ります。お気軽にご相談下さい(*^_^*)

  • 建築条件なし
  • 更地
  • 角地
  • 南道路
  • 古家付き
  • 所有権あり
埼玉相互住宅株式会社 北越谷店

地域密着、創業後50年以上越谷市で営業し続けています。越谷市出身・在住のスタッフも多いので、不動産情報だけではなく、生活施設・買い物施設や娯楽施設など暮らしに関わる情報も豊富です。

その他の情報

外観:311002323430 土地

【近い!】 第4保育所まで約923m

区画図:311002323430
  • 1,980万円
  • 埼玉県春日部市武里中野
  • 東武伊勢崎・大師線 武里駅/徒歩16分
  • 441.14㎡/133.44坪
  • 60%(建ぺい率)
  • 200%(容積率)

ご見学にあわせて無料の外部FP相談をご利用頂けます。マイホーム購入だけでなく、老後の資金計画・お子様の教育資金等のライフシュミレーションを考慮した上で、無理のない返済計画をご提案いたします。

  • 建築条件なし
  • 更地
  • 角地
  • 南道路
  • 古家付き
  • 所有権あり
株式会社エステート白馬 越谷店

売主様が不動産会社の場合、一般的に、不動産の知識の少ない買主様が交渉をしたりすることで、不利益となることもあります。 やはり、エージェントとして、自分の為に働く人が必要ですね。

その他の情報

外観:311002375920 土地

第4保育所まで約1316m

区画図:311002375920
  • 2,199万円
  • 埼玉県春日部市南5丁目
  • 東武伊勢崎・大師線 一ノ割駅/徒歩12分
  • 115.45㎡/34.92坪
  • 60%(建ぺい率)
  • 160%(容積率)

選べるe-GIFT15000円分>店舗初来場&アンケート回答でプレゼント

  • 建築条件なし
  • 更地
  • 角地
  • 南道路
  • 古家付き
  • 所有権あり
住宅情報館株式会社 春日部店

春日部エリア、近隣エリアの新築・中古一戸建・マンション・土地の購入・売却~注文建築・リフォームまで、住まいの事なら「住宅情報館」にお任せ下さい。

その他の情報

1ページ目(6ページ中) 次へ
この条件で新着メールを受取る
この検索条件を保存する

春日部市の物件も見てみませんか?

現在のページで希望の物件が見つからなければエリアから探してみてもいいかもしれません。

春日部市の物件を見る

※第4保育所までの直線距離を表示しています。道路距離ではありませんのでご了承ください。

追加が完了しました。

現在00件保存されています。(最大5件)

保存した条件一覧を見る

現在00件保存されています。

残り00件追加することができます。

お気に入り物件一覧を見る

間隔を空けてお試しください。

問合せが未完了の物件

条件を変更
チェックした物件をまとめて 資料請求(無料) お気に入りに追加