FUTSAL POINT マリノス 大和(大和市)近くの土地・宅地・分譲地の購入情報

FUTSAL POINT マリノス 大和(大和市)近くの土地・宅地・分譲地の購入情報をご覧いただけます。

51

↓ チェックした物件をまとめてお問い合わせ

外観:314002593278 土地

FUTSAL POINT マリノス 大和まで約1428m

区画図:314002593278
  • 3,590万円
  • 神奈川県大和市上草柳8丁目
  • 小田急電鉄江ノ島線 鶴間駅/徒歩15分
  • 99.89㎡/30.21坪
  • 50%(建ぺい率)
  • 100%(容積率)

約30坪の解放感ある東南角地です 建築条件なしなので、お好きなハウスメーカーで建築できます。

  • 建築条件なし
  • 更地
  • 角地
  • 南道路
  • 古家付き
  • 所有権あり
株式会社スタイリッシュホーム

その他の情報

外観:314002577208 土地

FUTSAL POINT マリノス 大和まで約1472m

区画図:314002577208
  • 2,880万円
  • 神奈川県大和市上草柳8丁目
  • 小田急電鉄江ノ島線 鶴間駅/徒歩16分
  • 103.01㎡/31.16坪
  • 50%(建ぺい率)
  • 100%(容積率)

3方角地 建築条件なし売地 高台のため、日当たり 風通し良好 開放感あります

  • 建築条件なし
  • 更地
  • 角地
  • 南道路
  • 古家付き
  • 所有権あり
株式会社スタイリッシュホーム

その他の情報

外観:314002669941 土地
区画図:314002669941
  • 2,250万円
  • 神奈川県座間市小松原2丁目
  • 小田急電鉄江ノ島線 南林間駅/バス 8分/小松原二丁目 徒歩3分
  • 121.14㎡/36.64坪
  • 60%(建ぺい率)
  • 200%(容積率)

南西角地で開放感あります。陽当り良好。「南林間駅」行きのバス便多数あり。建築条件無し。

  • 建築条件なし
  • 更地
  • 角地
  • 南道路
  • 古家付き
  • 所有権あり
センチュリー21日栄産商天台店

その他の情報

外観:314002668622 土地

FUTSAL POINT マリノス 大和まで約1957m

区画図:314002668622
  • 2,250万円
  • 神奈川県座間市小松原2丁目
  • 小田急電鉄江ノ島線 南林間駅/徒歩26分
  • 121.14㎡/36.64坪
  • 60%(建ぺい率)
  • 200%(容積率)

・開放的な角地で陽当り良好です!・建築条件なし売地ですのでお好きなハウスメーカーで建築できます!

  • 建築条件なし
  • 更地
  • 角地
  • 南道路
  • 古家付き
  • 所有権あり
センチュリー21リレーション海老名中央店

不動産のことならなんでもお任せ下さい。センチュリー21の当店は全国の店舗が培った地域のお客様からの信頼と、ナショナルブランドとしての誇りもって、お客様の幸せに続く住まい選びのお手伝いをさせて頂きます。

その他の情報

外観:314002669574 土地

FUTSAL POINT マリノス 大和まで約1551m

区画図:314002669574
  • 4,280万円
  • 神奈川県大和市南林間9丁目
  • 小田急電鉄江ノ島線 南林間駅/徒歩18分
  • 152.86㎡/46.24坪
  • 50%(建ぺい率)
  • 80%(容積率)

<選べるe-GIFT10000円分>初来場&アンケート回答でプレゼント!

  • 建築条件なし
  • 更地
  • 角地
  • 南道路
  • 古家付き
  • 所有権あり
住宅情報館株式会社 大和店

大和エリア、近隣エリアの新築・中古一戸建・マンション・土地の購入・売却~注文建築・リフォームまで、住まいの事なら「住宅情報館」にお任せ下さい。

その他の情報

外観:314002566518 土地

FUTSAL POINT マリノス 大和まで約1553m

区画図:314002566518
  • 4,280万円
  • 神奈川県大和市南林間9丁目
  • 小田急電鉄江ノ島線 南林間駅/徒歩18分
  • 152.86㎡/46.24坪
  • 50%(建ぺい率)
  • 80%(容積率)

ぜひ見ていただきたい、「売地 大和市南林間9丁目」こちらは間取りや建築時期などの建築条件に指定がありません。住まいの場所としておすすめな住宅用地となっています。周辺環境も良好なエリアにある売地です。

  • 建築条件なし
  • 更地
  • 角地
  • 南道路
  • 古家付き
  • 所有権あり
LIXIL不動産ショップ 株式会社CORE 中央林間店

2023年9月中央林間店グランドオープン!マイホームをご購入・ご売却のお客様は勿論、LIXIL不動産ショップのブランドを活かし、リフォームもご提案出来ます。スッタフ一同、皆様をサポートいたします。

その他の情報

外観:314002566513 土地

FUTSAL POINT マリノス 大和まで約1553m

区画図:314002566513
  • 4,280万円
  • 神奈川県大和市南林間9丁目
  • 小田急電鉄江ノ島線 南林間駅/徒歩18分
  • 152.86㎡/46.24坪
  • 50%(建ぺい率)
  • 80%(容積率)

ぜひ見ていただきたい、「売地 大和市南林間9丁目」こちらは間取りや建築時期などの建築条件に指定がありません。住まいの場所としておすすめな住宅用地となっています。周辺環境も良好なエリアにある売地です。

  • 建築条件なし
  • 更地
  • 角地
  • 南道路
  • 古家付き
  • 所有権あり
LIXIL不動産ショップ大和店 株式会社CORE

LIXIL不動産ショップがご紹介する、不動産を買いたい・売りたい・リフォームがしたい・注文住宅を考えたい等 不動産の総合プロデュースをお届けします。家探し、始めてみませんか?

その他の情報

外観:314002563222 土地

FUTSAL POINT マリノス 大和まで約1550m

区画図:314002563222
  • 4,280万円
  • 神奈川県大和市南林間9丁目
  • 小田急電鉄江ノ島線 南林間駅/徒歩18分
  • 152.86㎡/46.24坪
  • 50%(建ぺい率)
  • 80%(容積率)

建築条件無し売地です 南側道路に面した、約46坪の土地で日当たりも良好。プランニングしやすい整形地。

  • 建築条件なし
  • 更地
  • 角地
  • 南道路
  • 古家付き
  • 所有権あり
株式会社スタイリッシュホーム

その他の情報

外観:314002624893 土地
区画図:314002624893
  • 4,430万円
  • 神奈川県大和市南林間9丁目
  • 小田急電鉄江ノ島線 南林間駅/徒歩18分
  • 152.86㎡/46.24坪
  • 50%(建ぺい率)
  • 80%(容積率)
  • 建築条件なし
  • 更地
  • 角地
  • 南道路
  • 古家付き
  • 所有権あり
株式会社 東宝ハウス町田

新宿、渋谷から30分のマイホーム探しをお手伝いします。町田を中心に小田急、横浜、田園都市線と幅広く取り扱っています。是非当社のホームページも是非ご覧ください!

その他の情報

外観:314002662680 土地

FUTSAL POINT マリノス 大和まで約1778m

区画図:314002662680
  • 2,280万円
  • 神奈川県座間市小松原2丁目
  • 小田急電鉄江ノ島線 南林間駅/徒歩22分
  • 94.00㎡/28.43坪
  • 60%(建ぺい率)
  • 200%(容積率)

南西角地につき陽当たり良好 建築条件無しなので、お好きなハウスメーカーで建築可能です。

  • 建築条件なし
  • 更地
  • 角地
  • 南道路
  • 古家付き
  • 所有権あり
株式会社スタイリッシュホーム

その他の情報

外観:314002605248 土地

FUTSAL POINT マリノス 大和まで約1773m

区画図:314002605248
  • 2,280万円
  • 神奈川県座間市小松原2丁目
  • 小田急電鉄江ノ島線 南林間駅/徒歩22分
  • 94.00㎡/28.43坪
  • 60%(建ぺい率)
  • 200%(容積率)

建築条件なし!お好きなプランで建築可能♪周辺は買い物施設が近くて便利な住環境です!

  • 建築条件なし
  • 更地
  • 角地
  • 南道路
  • 古家付き
  • 所有権あり
センチュリー21シーエステート

弊社では、地元に根付く地域密着型で新築・中古一戸建、マンション、土地などの物件をご紹介をしています!お引越し後のアフターサービスも無料でご提供しています。まずはお気軽にお問い合わせください。

その他の情報

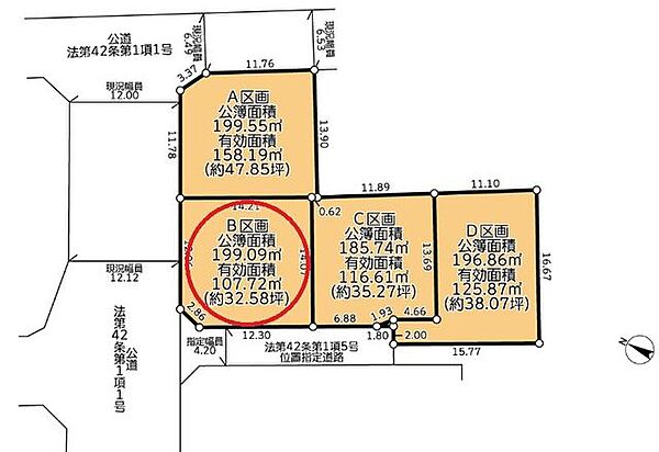
外観:314002359366 土地

FUTSAL POINT マリノス 大和まで約1541m

区画図:314002359366
  • 2,180万円
  • 神奈川県大和市上草柳9丁目
  • 小田急電鉄江ノ島線 鶴間駅/徒歩16分
  • 199.09㎡/60.22坪
  • 50%(建ぺい率)
  • 100%(容積率)

◆住プロ三ツ境店は大和市・綾瀬市エリアに強い◆☆住宅ローン相談会も随時開催中です☆

  • 建築条件なし
  • 更地
  • 角地
  • 南道路
  • 古家付き
  • 所有権あり
株式会社住宅プロデュース

瀬谷区・旭区・泉区・戸塚区・大和市・綾瀬市に強い!住プロ三ツ境店、鶴ヶ峰店は駅前にございますのでお気軽にご来店くださいませ!物件のサポートサービスには必ず無理のない資金計画をご提案しております!!

その他の情報

外観:314002684742 土地

FUTSAL POINT マリノス 大和まで約1331m

区画図:314002684742
  • 4,000万円
  • 神奈川県大和市下鶴間
  • 東急田園都市線 つきみ野駅/徒歩16分
  • 137.11㎡/41.47坪
  • 50%(建ぺい率)
  • 80%(容積率)

お客さまに心から「住んでよかった」と実感して頂けるよう 良質な住まいを幅広く皆さまにお届けしたい

  • 建築条件なし
  • 更地
  • 角地
  • 南道路
  • 古家付き
  • 所有権あり
朝日土地建物株式会社 二俣川支店 営業2課

横浜市及び他沿線の物件をお探しなら、朝日土地建物二俣川支店へ!広々とした会場ではお客様が自由に不動産を選べる雰囲気を創っています。当社にしかない物件情報も多数!どうぞ、お気軽にご来店ください!

その他の情報

外観:314002667799 土地

【近い!】 FUTSAL POINT マリノス 大和まで約856m

区画図:314002667799
  • 2,380万円
  • 神奈川県大和市下鶴間2丁目
  • 小田急電鉄江ノ島線 鶴間駅/徒歩15分
  • 71.39㎡/21.59坪
  • 60%(建ぺい率)
  • 200%(容積率)

平坦地に立地です。2沿線以上利用可、駅まで平坦で通勤通学に便利です。

  • 建築条件なし
  • 更地
  • 角地
  • 南道路
  • 古家付き
  • 所有権あり
住宅情報館株式会社 大和店

大和エリア、近隣エリアの新築・中古一戸建・マンション・土地の購入・売却~注文建築・リフォームまで、住まいの事なら「住宅情報館」にお任せ下さい。

その他の情報

外観:314002627590 土地
区画図:314002627590
  • 3,780万円
  • 神奈川県大和市下鶴間
  • 東急田園都市線 つきみ野駅/徒歩14分
  • 141.33㎡/42.75坪
  • 50%(建ぺい率)
  • 80%(容積率)

緩やかな南東ひな壇の分譲地 建築条件付き売地 建築参考プラン有り(建築時別途負担金有) 大和市民病院まで車で約15分 グランベリーパークまで車で約5分 都市ガス 公営水道 公共下水

  • 建築条件なし
  • 更地
  • 角地
  • 南道路
  • 古家付き
  • 所有権あり
株式会社 東宝ハウス町田

新宿、渋谷から30分のマイホーム探しをお手伝いします。町田を中心に小田急、横浜、田園都市線と幅広く取り扱っています。是非当社のホームページも是非ご覧ください!

その他の情報

外観:314002662907 土地
区画図:314002662907
  • 2,250万円
  • 神奈川県座間市小松原2丁目
  • 小田急電鉄江ノ島線 南林間駅/徒歩26分
  • 121.14㎡/36.64坪
  • 60%(建ぺい率)
  • 200%(容積率)
  • 建築条件なし
  • 更地
  • 角地
  • 南道路
  • 古家付き
  • 所有権あり
株式会社住まいの広場TOWNS

物件公開常時3千件以上!プラス未公開情報で、他社と比べても多くの物件をご紹介可能です。また、FP資格者によるライフプランのご提案が可能です。目指すは顧客満足度No.1、「出会えてよかった」を提供します。

その他の情報

外観:314002627599 土地
区画図:314002627599
  • 3,680万円
  • 神奈川県大和市下鶴間
  • 東急田園都市線 つきみ野駅/徒歩14分
  • 138.92㎡/42.02坪
  • 50%(建ぺい率)
  • 80%(容積率)

緩やかな南東ひな壇の分譲地 建築条件付き売地 建築参考プラン有り(建築時別途負担金有) 大和市民病院まで車で約15分 グランベリーパークまで車で約5分 都市ガス 公営水道 公共下水

  • 建築条件なし
  • 更地
  • 角地
  • 南道路
  • 古家付き
  • 所有権あり
株式会社 東宝ハウス町田

新宿、渋谷から30分のマイホーム探しをお手伝いします。町田を中心に小田急、横浜、田園都市線と幅広く取り扱っています。是非当社のホームページも是非ご覧ください!

その他の情報

NO IMAGE 土地

FUTSAL POINT マリノス 大和まで約1428m

区画図:314002637851
  • 3,590万円
  • 神奈川県大和市上草柳8丁目
  • 小田急電鉄江ノ島線 鶴間駅/徒歩15分
  • 99.89㎡/30.21坪
  • 50%(建ぺい率)
  • 100%(容積率)

。土地のご購入をお考えなら、3 590万円のこちらの土地はいかがでしょうか。大きな買い物である不動産の購入、後悔しないようとことんまでこだわりませんか。まずはお気軽にお問い合わせください(^^)

  • 建築条件なし
  • 更地
  • 角地
  • 南道路
  • 古家付き
  • 所有権あり
LIXIL不動産ショップ大和店 株式会社CORE

LIXIL不動産ショップがご紹介する、不動産を買いたい・売りたい・リフォームがしたい・注文住宅を考えたい等 不動産の総合プロデュースをお届けします。家探し、始めてみませんか?

その他の情報

NO IMAGE 土地

FUTSAL POINT マリノス 大和まで約1428m

NO IMAGE
  • 3,590万円
  • 神奈川県大和市上草柳8丁目
  • 小田急電鉄江ノ島線 鶴間駅/徒歩15分
  • 99.89㎡/30.21坪
  • 50%(建ぺい率)
  • 100%(容積率)

。土地のご購入をお考えなら、3 590万円のこちらの土地はいかがでしょうか。大きな買い物である不動産の購入、後悔しないようとことんまでこだわりませんか。まずはお気軽にお問い合わせください(^^)

  • 建築条件なし
  • 更地
  • 角地
  • 南道路
  • 古家付き
  • 所有権あり
LIXIL不動産ショップ 株式会社CORE 中央林間店

2023年9月中央林間店グランドオープン!マイホームをご購入・ご売却のお客様は勿論、LIXIL不動産ショップのブランドを活かし、リフォームもご提案出来ます。スッタフ一同、皆様をサポートいたします。

その他の情報

外観:314002594334 土地

FUTSAL POINT マリノス 大和まで約1305m

区画図:314002594334
  • 3,590万円
  • 神奈川県大和市上草柳8丁目
  • 小田急電鉄江ノ島線 鶴間駅/徒歩15分
  • 99.89㎡/30.21坪
  • 50%(建ぺい率)
  • 100%(容積率)

・建築条件なしの売地です。お好きなハウスメーカーでも建築可能です。

  • 建築条件なし
  • 更地
  • 角地
  • 南道路
  • 古家付き
  • 所有権あり
株式会社Mスタイルプランニング

お住まい探しの期待と不安に寄り添い、お客様の良き相談相手となれるよう精一杯ご案内いたします。皆様からご相談いただける日を社員一同楽しみにお待ちしております。

その他の情報

外観:314002558623 土地

FUTSAL POINT マリノス 大和まで約1909m

区画図:314002558623
  • 1,780万円
  • 神奈川県座間市ひばりが丘3丁目
  • 小田急電鉄江ノ島線 南林間駅/徒歩18分
  • 88.81㎡/26.86坪
  • 60%(建ぺい率)
  • 160%(容積率)

2路線2駅利用可能。現況更地です。建築条件無しなので、お好きなハウスメーカーで建築可能です

  • 建築条件なし
  • 更地
  • 角地
  • 南道路
  • 古家付き
  • 所有権あり
株式会社スタイリッシュホーム

その他の情報

外観:314002593803 土地

FUTSAL POINT マリノス 大和まで約1207m

区画図:314002593803
  • 4,700万円
  • 神奈川県大和市中央林間西1丁目
  • 小田急電鉄江ノ島線 中央林間駅/徒歩14分
  • 156.00㎡/47.18坪
  • 50%(建ぺい率)
  • 80%(容積率)

建築条件なし売地 敷地広々47坪以上 日当たり 風通し良好

  • 建築条件なし
  • 更地
  • 角地
  • 南道路
  • 古家付き
  • 所有権あり
株式会社スタイリッシュホーム

その他の情報

外観:314002654632 土地

FUTSAL POINT マリノス 大和まで約1473m

区画図:314002654632
  • 2,880万円
  • 神奈川県大和市上草柳8丁目
  • 小田急電鉄江ノ島線 鶴間駅/徒歩18分
  • 99.28㎡/30.03坪
  • 50%(建ぺい率)
  • 100%(容積率)

【三方角地、建築条件無しですのでお好きなハウスメーカーで建築可能!】三方角地の解放感ある立地で泉の森まで徒歩5分と住環境良好です!商業施設徒歩9分以内!

  • 建築条件なし
  • 更地
  • 角地
  • 南道路
  • 古家付き
  • 所有権あり
アメニティハウス株式会社 湘南台店

湘南、県央エリアで物件の購入・売却の事ならお気軽にお問い合わせ下さい。経験豊富なスタップがお客様に合ったご提案をさせていただきます。

その他の情報

NO IMAGE 土地

FUTSAL POINT マリノス 大和まで約1553m

区画図:314002568176
  • 4,280万円
  • 神奈川県大和市南林間9丁目
  • 小田急電鉄江ノ島線 南林間駅/徒歩18分
  • 152.86㎡/46.24坪
  • 50%(建ぺい率)
  • 80%(容積率)

ハウジングスカイの「諸費用節約対象物件」です。建築条件なし。お好きなハウスメーカーで建築できます。

  • 建築条件なし
  • 更地
  • 角地
  • 南道路
  • 古家付き
  • 所有権あり
ハウジングスカイ株式会社

ハウジングスカイは東京・神奈川・埼玉の売買物件の仲介手数料が無料or半額です! 掲載物件以外にも多数の物件を取り扱っておりますので、お気軽にお問い合わせください。

その他の情報

外観:314002512001 土地

FUTSAL POINT マリノス 大和まで約1553m

区画図:314002512001
  • 2,180万円
  • 神奈川県大和市上草柳9丁目
  • 小田急電鉄江ノ島線 鶴間駅/徒歩17分
  • 199.09㎡/60.22坪
  • 50%(建ぺい率)
  • 100%(容積率)

建築条件はございませんので、ご家族の理想のプランをご検討いただけます。角地にて開放感あり

  • 建築条件なし
  • 更地
  • 角地
  • 南道路
  • 古家付き
  • 所有権あり
株式会社スタイリッシュホーム

その他の情報

外観:314001625598 土地
区画図:314001625598
  • 1,780万円
  • 神奈川県座間市ひばりが丘3丁目
  • 小田急電鉄江ノ島線 南林間駅/徒歩18分
  • 88.81㎡/26.86坪
  • 60%(建ぺい率)
  • 200%(容積率)

近隣に商業施設も多く生活便利です。建築条件無し。お好みのハウスメーカーで建築できます。

  • 建築条件なし
  • 更地
  • 角地
  • 南道路
  • 古家付き
  • 所有権あり
センチュリー21日栄産商天台店

その他の情報

NO IMAGE 土地

【近い!】 FUTSAL POINT マリノス 大和まで約858m

区画図:314002664719
  • 2,380万円
  • 神奈川県大和市下鶴間2丁目
  • 小田急電鉄江ノ島線 鶴間駅/徒歩15分
  • 71.39㎡/21.59坪
  • 60%(建ぺい率)
  • 200%(容積率)

◆住プロ三ツ境店は大和市・綾瀬市・座間市エリアに強い◆☆住宅ローン相談会も随時開催中です☆

  • 建築条件なし
  • 更地
  • 角地
  • 南道路
  • 古家付き
  • 所有権あり
株式会社住宅プロデュース

瀬谷区・旭区・泉区・戸塚区・大和市・綾瀬市に強い!住プロ三ツ境店、鶴ヶ峰店は駅前にございますのでお気軽にご来店くださいませ!物件のサポートサービスには必ず無理のない資金計画をご提案しております!!

その他の情報

外観:314002607148 土地

FUTSAL POINT マリノス 大和まで約1837m

区画図:314002607148
  • 1,480万円
  • 神奈川県大和市上草柳
  • 相模鉄道本線 相模大塚駅/徒歩16分
  • 78.94㎡/23.87坪
  • 60%(建ぺい率)
  • 200%(容積率)

【ご案内可能】建築条件なしの売地、全2区画-B、整形地、3駅利用可、泉の森まで約105m

  • 建築条件なし
  • 更地
  • 角地
  • 南道路
  • 古家付き
  • 所有権あり
株式会社富士住宅

創業52年、売主直売の新築分譲住宅「サンライズ・プレイス」シリーズ、「大和」駅徒歩4分。「出会いを大切に」をモットーに一生懸命あなたの住まい探しを応援致します。社員一同、お問い合わせお待ちしております

その他の情報

外観:314002548567 土地

FUTSAL POINT マリノス 大和まで約1837m

区画図:314002548567
  • 1,480万円
  • 神奈川県大和市上草柳
  • 相模鉄道本線 相模大塚駅/徒歩16分
  • 78.95㎡/23.88坪
  • 60%(建ぺい率)
  • 200%(容積率)

【ご案内可能】建築条件なしの売地、全2区画-A、整形地、3駅利用可、泉の森まで約105m

  • 建築条件なし
  • 更地
  • 角地
  • 南道路
  • 古家付き
  • 所有権あり
株式会社富士住宅

創業52年、売主直売の新築分譲住宅「サンライズ・プレイス」シリーズ、「大和」駅徒歩4分。「出会いを大切に」をモットーに一生懸命あなたの住まい探しを応援致します。社員一同、お問い合わせお待ちしております

その他の情報

NO IMAGE 土地
区画図:314002664648
  • 4,399万円
  • 神奈川県大和市下鶴間
  • 東急田園都市線 つきみ野駅/徒歩10分
  • 103.35㎡/31.26坪
  • 50%(建ぺい率)
  • 80%(容積率)

建築条件無売地(お好きなハウスメーカーで建築できます) 都市ガス 整形地 平坦地 小学校・コンビニ・クリニックが徒歩5分圏内 周辺施設充実

  • 建築条件なし
  • 更地
  • 角地
  • 南道路
  • 古家付き
  • 所有権あり
株式会社 東宝ハウス町田

新宿、渋谷から30分のマイホーム探しをお手伝いします。町田を中心に小田急、横浜、田園都市線と幅広く取り扱っています。是非当社のホームページも是非ご覧ください!

その他の情報

1ページ目(2ページ中) 次へ
この条件で新着メールを受取る
この検索条件を保存する

大和市の物件も見てみませんか?

現在のページで希望の物件が見つからなければエリアから探してみてもいいかもしれません。

大和市の物件を見る

※FUTSAL POINT マリノス 大和までの直線距離を表示しています。道路距離ではありませんのでご了承ください。

追加が完了しました。

現在00件保存されています。(最大5件)

保存した条件一覧を見る

現在00件保存されています。

残り00件追加することができます。

お気に入り物件一覧を見る

間隔を空けてお試しください。

問合せが未完了の物件

条件を変更
チェックした物件をまとめて 資料請求(無料) お気に入りに追加