清滝寺(八街市)近くの土地・宅地・分譲地の購入情報

清滝寺(八街市)近くの土地・宅地・分譲地の購入情報をご覧いただけます。

14

↓ チェックした物件をまとめてお問い合わせ

NO IMAGE 土地

清滝寺まで約1376m

区画図:312000633254
  • 950万円
  • 千葉県八街市八街い
  • 総武本線 八街駅/徒歩43分
  • 396.00㎡/119.78坪
  • 60%(建ぺい率)
  • 200%(容積率)

すずらん幼稚園70M・セブンイレブン220M・ケイヨーデイツー1,500M・カスミ1,600M

  • 建築条件なし
  • 更地
  • 角地
  • 南道路
  • 古家付き
  • 所有権あり
アインズホーム株式会社 八街支店

当社は注文建築の請負、新築・中古戸建、マンション、土地の販売などを手がけており、特に八街・外房地域の土地物件情報・新築注文建築のロ-コスト住宅には、強みをもっております。

その他の情報

外観:312001035532 土地

清滝寺まで約1518m

区画図:312001035532
  • 500万円
  • 千葉県八街市東吉田
  • 総武本線 八街駅/徒歩47分
  • 329.00㎡/99.52坪
  • 60%(建ぺい率)
  • 200%(容積率)

敷地面積約99坪・建築条件無し・更地・平坦地・整形地・JR「八街」駅利用可・引渡即可

  • 建築条件なし
  • 更地
  • 角地
  • 南道路
  • 古家付き
  • 所有権あり
住宅情報館株式会社 東千葉店

東千葉エリア、近隣エリアの新築・中古一戸建・マンション・土地の購入・売却~注文建築・リフォームまで、住まいの事なら「住宅情報館」にお任せ下さい。

その他の情報

外観:312000894360 土地

清滝寺まで約1832m

区画図:312000894360
  • 200万円
  • 千葉県八街市東吉田
  • 総武本線 八街駅/徒歩44分
  • 355.00㎡/107.38坪
  • 60%(建ぺい率)
  • 200%(容積率)

土地広107.38坪!県道含む3方向に接道!設備:個別LPG、個別井戸、個別浄化槽(宅内処理)

  • 建築条件なし
  • 更地
  • 角地
  • 南道路
  • 古家付き
  • 所有権あり
センチュリー21Associe

センチュリー21Associeです!地元八街市をはじめ千葉県内の不動産に自信があります! 国道409号沿いに店舗があり、駐車場もございますのでお気軽にお越しください。お問い合わせお待ちしております。

その他の情報

外観:312001131754 土地

清滝寺まで約1014m

区画図:312001131754
  • 330万円
  • 千葉県八街市八街い
  • 総武本線 八街駅/徒歩58分
  • 165.00㎡/49.91坪
  • 60%(建ぺい率)
  • 200%(容積率)

\\建築条件なし//すぐに建築可能な【更地】 駐車場やちょっとした資材置き場にも利用可能です

  • 建築条件なし
  • 更地
  • 角地
  • 南道路
  • 古家付き
  • 所有権あり
東海住宅株式会社 四街道支店

JR四街道駅 北口ロータリー前 千葉銀行の向かい 京葉銀行の左隣りです 駐車場 キッズルームもございます。お子様とご一緒にご来店ください!!

その他の情報

NO IMAGE 土地

清滝寺まで約1652m

区画図:312000677475
  • 200万円
  • 千葉県八街市八街い
  • 総武本線 八街駅/徒歩45分
  • 185.00㎡/55.96坪
  • 60%(建ぺい率)
  • 200%(容積率)

東南角地・セブンイレブン350m・すずらん幼稚園680m・市立交進保育園950m・八街市スポーツプラザ1,500m・交進小学校1,650m

  • 建築条件なし
  • 更地
  • 角地
  • 南道路
  • 古家付き
  • 所有権あり
アインズホーム株式会社 八街支店

当社は注文建築の請負、新築・中古戸建、マンション、土地の販売などを手がけており、特に八街・外房地域の土地物件情報・新築注文建築のロ-コスト住宅には、強みをもっております。

その他の情報

NO IMAGE 土地

清滝寺まで約1021m

区画図:312000782699
  • 350万円
  • 千葉県八街市八街い
  • 総武本線 八街駅/徒歩52分
  • 254.00㎡/76.83坪
  • 60%(建ぺい率)
  • 200%(容積率)

土地面積76坪・ローソン400m

  • 建築条件なし
  • 更地
  • 角地
  • 南道路
  • 古家付き
  • 所有権あり
アインズホーム株式会社 八街支店

当社は注文建築の請負、新築・中古戸建、マンション、土地の販売などを手がけており、特に八街・外房地域の土地物件情報・新築注文建築のロ-コスト住宅には、強みをもっております。

その他の情報

NO IMAGE 土地

清滝寺まで約1376m

区画図:312000629146
  • 170万円
  • 千葉県八街市八街い
  • 総武本線 八街駅/徒歩45分
  • 137.77㎡/41.67坪
  • 60%(建ぺい率)
  • 200%(容積率)

閑静な住宅地・すずらん幼稚園350m・セブンイレブン500m・ランドロ-ムフードマーケット1、720

  • 建築条件なし
  • 更地
  • 角地
  • 南道路
  • 古家付き
  • 所有権あり
アインズホーム株式会社 八街支店

当社は注文建築の請負、新築・中古戸建、マンション、土地の販売などを手がけており、特に八街・外房地域の土地物件情報・新築注文建築のロ-コスト住宅には、強みをもっております。

その他の情報

NO IMAGE 土地

清滝寺まで約1823m

NO IMAGE
  • 150万円
  • 千葉県八街市八街い
  • 総武本線 八街駅/徒歩47分
  • 166.00㎡/50.21坪
  • 60%(建ぺい率)
  • 200%(容積率)

スリーエフ700m・市立交進保育園800m・交進小学校1,500m

  • 建築条件なし
  • 更地
  • 角地
  • 南道路
  • 古家付き
  • 所有権あり
アインズホーム株式会社 八街支店

当社は注文建築の請負、新築・中古戸建、マンション、土地の販売などを手がけており、特に八街・外房地域の土地物件情報・新築注文建築のロ-コスト住宅には、強みをもっております。

その他の情報

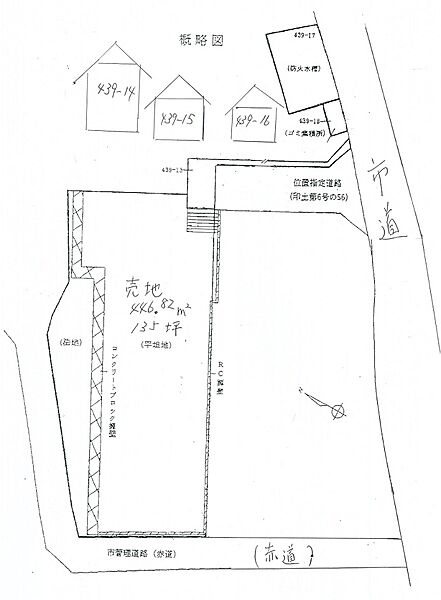
外観:312001227699 土地

【近い!】 清滝寺まで約270m

区画図:312001227699
  • 202万円
  • 千葉県八街市勢田
  • 総武本線 八街駅/徒歩59分
  • 446.82㎡/135.16坪
  • 60%(建ぺい率)
  • 200%(容積率)

売地135坪。日当たり良し。

  • 建築条件なし
  • 更地
  • 角地
  • 南道路
  • 古家付き
  • 所有権あり
総武建設株式会社 本社営業部

八街市を中心に、四街道、佐倉、成田、富里の各エリアにて、自社一貫施工のメーターモジュール・バリアフリー大型住宅の分譲販売から、注文住宅の設計、施工。新築・中古・土地仲介、無料査定、買取相談承ります。

その他の情報

外観:312001227799 土地

【近い!】 清滝寺まで約648m

区画図:312001227799
  • 200万円
  • 千葉県八街市用草
  • 総武本線 八街駅/徒歩85分
  • 317.00㎡/95.89坪
  • 60%(建ぺい率)
  • 200%(容積率)

家庭菜園・資材置き場などで利用しませんか。現況のまま、引渡しです。

  • 建築条件なし
  • 更地
  • 角地
  • 南道路
  • 古家付き
  • 所有権あり
総武建設株式会社 本社営業部

八街市を中心に、四街道、佐倉、成田、富里の各エリアにて、自社一貫施工のメーターモジュール・バリアフリー大型住宅の分譲販売から、注文住宅の設計、施工。新築・中古・土地仲介、無料査定、買取相談承ります。

その他の情報

NO IMAGE 土地

清滝寺まで約1376m

NO IMAGE
  • 300万円
  • 千葉県八街市八街い
  • 総武本線 八街駅/徒歩48分
  • 165.28㎡/49.99坪
  • 60%(建ぺい率)
  • 200%(容積率)

日当たりの良い南東道路・道路幅員5.8m・集中井戸・集中PG・集中浄化槽

  • 建築条件なし
  • 更地
  • 角地
  • 南道路
  • 古家付き
  • 所有権あり
アインズホーム株式会社 八街支店

当社は注文建築の請負、新築・中古戸建、マンション、土地の販売などを手がけており、特に八街・外房地域の土地物件情報・新築注文建築のロ-コスト住宅には、強みをもっております。

その他の情報

外観:312001227842 土地

清滝寺まで約1102m

区画図:312001227842
  • 200万円
  • 千葉県八街市八街い
  • 総武本線 八街駅/徒歩54分
  • 196.00㎡/59.28坪
  • 60%(建ぺい率)
  • 200%(容積率)

住宅用地、家庭菜園、資材置き場などで、利用しませんか。コンビニ セブンイレブンまで920m。ご見学予約受付中。

  • 建築条件なし
  • 更地
  • 角地
  • 南道路
  • 古家付き
  • 所有権あり
総武建設株式会社 本社営業部

八街市を中心に、四街道、佐倉、成田、富里の各エリアにて、自社一貫施工のメーターモジュール・バリアフリー大型住宅の分譲販売から、注文住宅の設計、施工。新築・中古・土地仲介、無料査定、買取相談承ります。

その他の情報

外観:312000689149 土地

【近い!】 清滝寺まで約846m

区画図:312000689149
  • 98万円
  • 千葉県八街市東吉田
  • 総武本線 八街駅/徒歩62分
  • 107.00㎡/32.36坪
  • 60%(建ぺい率)
  • 200%(容積率)

更地です。側溝あります。居住用、資材置き場などにどうぞ。

  • 建築条件なし
  • 更地
  • 角地
  • 南道路
  • 古家付き
  • 所有権あり
有限会社栄光開発

物件探しは当社にお任せ下さい。物件の情報量が自慢です。

その他の情報

1ページ目(1ページ中)
この条件で新着メールを受取る
この検索条件を保存する

八街市の物件も見てみませんか?

現在のページで希望の物件が見つからなければエリアから探してみてもいいかもしれません。

八街市の物件を見る

※清滝寺までの直線距離を表示しています。道路距離ではありませんのでご了承ください。

追加が完了しました。

現在00件保存されています。(最大5件)

保存した条件一覧を見る

現在00件保存されています。

残り00件追加することができます。

お気に入り物件一覧を見る

間隔を空けてお試しください。

問合せが未完了の物件

条件を変更
チェックした物件をまとめて 資料請求(無料) お気に入りに追加