三芳東中学校(入間郡三芳町)近くの土地・宅地・分譲地の購入情報

三芳東中学校(入間郡三芳町)近くの土地・宅地・分譲地の購入情報をご覧いただけます。

90

↓ チェックした物件をまとめてお問い合わせ

外観:311002202413 土地

三芳東中学校まで約2522m

区画図:311002202413
  • 2,340万円
  • 埼玉県富士見市諏訪1丁目
  • 東武鉄道東上線 鶴瀬駅/徒歩18分
  • 102.27㎡/30.93坪
  • 50%(建ぺい率)
  • 80%(容積率)

≪建築条件なしお好きなハウスメーカーにて建築可能です≫開放感溢れる人気の角地陽当り・風通し共に良好ですゆとりある土地約30坪光熱費が抑えられる人気の都市ガス落ち着きのある閑静な住宅街です

  • 建築条件なし
  • 更地
  • 角地
  • 南道路
  • 古家付き
  • 所有権あり
株式会社大成住宅 本店

地域密着で培った知識とお客様との絆を大切に、埼玉生まれ、大成住宅があなたの一番身近な相談役になります。不動産の購入、注文住宅、売却、投資、リフォーム・リノベーション、賃貸等。大成住宅にご相談ください。

その他の情報

外観:311002099150 土地

三芳東中学校まで約2532m

区画図:311002099150
  • 2,340万円
  • 埼玉県富士見市諏訪1丁目
  • 東武鉄道東上線 鶴瀬駅/徒歩18分
  • 102.27㎡/30.93坪
  • 50%(建ぺい率)
  • 80%(容積率)

身近に生活施設が整う街に建てる理想の住まい●東武東上線「鶴瀬」駅徒歩18分●陽当たりの良い南東角地●約30坪の敷地面積●お好きなハウスメーカーを選べる●ららぽーと富士見まで徒歩9分●保育施設充実

  • 建築条件なし
  • 更地
  • 角地
  • 南道路
  • 古家付き
  • 所有権あり
株式会社マイタウン 志木本店

地域に密着し、志木市から西東京市まで幅広く対応。東武東上線やJR武蔵野線など複数路線の物件情報を一度にご提案し、お客様のご希望に寄り添いながら安心して住まい探しができるよう丁寧にサポートいたします。

その他の情報

外観:311001881610 土地

三芳東中学校まで約2522m

区画図:311001881610
  • 2,340万円
  • 埼玉県富士見市諏訪1丁目
  • 東武鉄道東上線 鶴瀬駅/徒歩18分
  • 102.27㎡/30.93坪
  • 50%(建ぺい率)
  • 80%(容積率)

選べるe-GIFT15000円分>店舗初来場&アンケート回答でプレゼント

  • 建築条件なし
  • 更地
  • 角地
  • 南道路
  • 古家付き
  • 所有権あり
住宅情報館株式会社 川口店

川口エリア、近隣エリアの新築・中古一戸建・マンション・土地の購入・売却~注文建築・リフォームまで、住まいの事なら「住宅情報館」にお任せ下さい。

その他の情報

外観:311002341060 土地

三芳東中学校まで約2807m

区画図:311002341060
  • 2,880万円
  • 埼玉県富士見市羽沢2丁目
  • 東武鉄道東上線 鶴瀬駅/徒歩19分
  • 109.75㎡/33.19坪
  • 60%(建ぺい率)
  • 200%(容積率)

約33坪の土地 東武東上線「鶴瀬」駅徒歩19分 建築条件なし お好きなハウスメーカーを選べる 前面道路6m以上で開放的 平坦地 角地 自由設計対応 小学校まで徒歩5分 ららぽーと富士見まで徒歩15分

  • 建築条件なし
  • 更地
  • 角地
  • 南道路
  • 古家付き
  • 所有権あり
株式会社マイタウン 志木本店

地域に密着し、志木市から西東京市まで幅広く対応。東武東上線やJR武蔵野線など複数路線の物件情報を一度にご提案し、お客様のご希望に寄り添いながら安心して住まい探しができるよう丁寧にサポートいたします。

その他の情報

外観:311002383921 土地

三芳東中学校まで約1439m

区画図:311002383921
  • 2,710万円
  • 埼玉県富士見市針ケ谷2丁目
  • 東武鉄道東上線 みずほ台駅/徒歩12分
  • 139.55㎡/42.21坪
  • 60%(建ぺい率)
  • 150%(容積率)

初公開!富士見市針ヶ谷の高台に全10区画に売地が誕生しました♪土地面積38坪以上、全区画建築条件無しなのでお好みのハウスメーカー、工務店で建築できます♪完成宅地での引渡しになります。売主物件。

  • 建築条件なし
  • 更地
  • 角地
  • 南道路
  • 古家付き
  • 所有権あり
横田建設株式会社

1965年創業の信頼と実績、不動産全般を展開する地域密着企業です。プロとしてお客様へ対応することをもっとも大切にし、心がけてております。是非、皆様のご来店を社員一同お待ちしております。

その他の情報

外観:311002364480 土地

三芳東中学校まで約2522m

区画図:311002364480
  • 2,340万円
  • 埼玉県富士見市諏訪1丁目
  • 東武鉄道東上線 鶴瀬駅/徒歩18分
  • 102.27㎡/30.93坪
  • 50%(建ぺい率)
  • 80%(容積率)

■土地面積30坪超■南東×北東角地■小学校徒歩7分、スーパー徒歩9分■ららぽーと富士見まで車で約3分現地ご案内予約・資料請求など、お気軽にお問い合わせ下さい。

  • 建築条件なし
  • 更地
  • 角地
  • 南道路
  • 古家付き
  • 所有権あり
株式会社住協 ふじみ野支店

「地域密着45年を超えて。今私たちにできること」地元を知り尽くしたノウハウと情報力でお客様に貢献いたします。東上線エリアの物件情報は住協ふじみ野支店へお気軽にご相談ください。

その他の情報

外観:311002384377 土地

三芳東中学校まで約2477m

区画図:311002384377
  • 1,980万円
  • 埼玉県新座市大和田5丁目
  • 東武鉄道東上線 志木駅/徒歩23分
  • 111.38㎡/33.69坪
  • 60%(建ぺい率)
  • 160%(容積率)
  • 建築条件なし
  • 更地
  • 角地
  • 南道路
  • 古家付き
  • 所有権あり
株式会社藤和ハウス インターネットお問い合わせセンター

藤和ハウスは創業1975年の信頼と実績!東京・埼玉エリアを中心に全19店舗のネットワーク。不動産(一戸建て・土地・マンション)なら藤和ハウスインターネットお問合せセンターまでお気軽にお問合せください!

その他の情報

外観:311002375266 土地

三芳東中学校まで約2475m

区画図:311002375266
  • 1,980万円
  • 埼玉県新座市大和田5丁目
  • 東武鉄道東上線 志木駅/徒歩23分
  • 111.38㎡/33.69坪
  • 60%(建ぺい率)
  • 160%(容積率)

お好みのハウスメーカーで建築可能な敷地33坪の売地。二面接道の準角地で開放感があり、更地のためスムーズに建築可能です。買い物・教育・公共施設も充実した、暮らしやすい住環境が魅力です。

  • 建築条件なし
  • 更地
  • 角地
  • 南道路
  • 古家付き
  • 所有権あり
株式会社マイタウン 志木本店

地域に密着し、志木市から西東京市まで幅広く対応。東武東上線やJR武蔵野線など複数路線の物件情報を一度にご提案し、お客様のご希望に寄り添いながら安心して住まい探しができるよう丁寧にサポートいたします。

その他の情報

外観:311002370670 土地

三芳東中学校まで約2730m

区画図:311002370670
  • 1,980万円
  • 埼玉県新座市大和田5丁目
  • 東武鉄道東上線 志木駅/徒歩27分
  • 111.38㎡/33.69坪
  • 60%(建ぺい率)
  • 200%(容積率)

◇建築条件無し~お好きなハウスメーカーで建築可能◇お買い物施設が充実◇二面接道の準角地で開放感あり!

  • 建築条件なし
  • 更地
  • 角地
  • 南道路
  • 古家付き
  • 所有権あり
おうちの仲介+ 東所沢営業所 株式会社アークレスト 東所沢営業所

不動産売買ならおうちの仲介+(株)アークレスト東所沢営業所にお任せください。お客様に沿ったご提案をさせて頂きます。是非一度お問い合わせくださいませ。

その他の情報

外観:311002370489 土地

三芳東中学校まで約2474m

区画図:311002370489
  • 1,980万円
  • 埼玉県新座市大和田5丁目
  • 東武鉄道東上線 志木駅/バス 9分/新座団地 徒歩4分
  • 111.38㎡/33.69坪
  • 60%(建ぺい率)
  • 160%(容積率)

・お好きなハウスメーカーで建築できます・

  • 建築条件なし
  • 更地
  • 角地
  • 南道路
  • 古家付き
  • 所有権あり
株式会社エステート白馬 所沢店

ご見学に併せて、無料の外部FP相談をご利用頂けます。マイホーム購入だけでなく、老後の資金計画・お子様の教育資金等のライフシュミレーションを考慮し、無理のない返済計画をご提案させていただきます。

その他の情報

外観:311002291427 土地

三芳東中学校まで約1930m

区画図:311002291427
  • 2,480万円
  • 埼玉県入間郡三芳町大字北永井
  • 東武鉄道東上線 鶴瀬駅/徒歩25分
  • 122.32㎡/37坪
  • 60%(建ぺい率)
  • 200%(容積率)

■36坪以上×ゆとりの前面道路■お好きなハウスメーカーで建築可能です!

  • 建築条件なし
  • 更地
  • 角地
  • 南道路
  • 古家付き
  • 所有権あり
株式会社マイタウン 志木本店

地域に密着し、志木市から西東京市まで幅広く対応。東武東上線やJR武蔵野線など複数路線の物件情報を一度にご提案し、お客様のご希望に寄り添いながら安心して住まい探しができるよう丁寧にサポートいたします。

その他の情報

外観:311001929940 土地
NO IMAGE
  • 2,340万円
  • 埼玉県富士見市諏訪1丁目
  • 東武鉄道東上線 鶴瀬駅/徒歩18分
  • 102.27㎡/30.93坪
  • 60%(建ぺい率)
  • 80%(容積率)

角地/陽当良好/閑静な住宅地/住環境良好

  • 建築条件なし
  • 更地
  • 角地
  • 南道路
  • 古家付き
  • 所有権あり
株式会社西武開発 ふじみ野店

地元のために、お客様のために。私たちの情熱が、地元の皆様の夢をかたちにします。

その他の情報

外観:311002291505 土地

三芳東中学校まで約1930m

区画図:311002291505
  • 2,690万円
  • 埼玉県入間郡三芳町大字北永井
  • 東武鉄道東上線 鶴瀬駅/徒歩25分
  • 120.64㎡/36.49坪
  • 60%(建ぺい率)
  • 200%(容積率)

■36坪以上×ゆとりの前面道路■お好きなハウスメーカーで建築可能です!

  • 建築条件なし
  • 更地
  • 角地
  • 南道路
  • 古家付き
  • 所有権あり
株式会社マイタウン 志木本店

地域に密着し、志木市から西東京市まで幅広く対応。東武東上線やJR武蔵野線など複数路線の物件情報を一度にご提案し、お客様のご希望に寄り添いながら安心して住まい探しができるよう丁寧にサポートいたします。

その他の情報

外観:311002291504 土地

三芳東中学校まで約1930m

区画図:311002291504
  • 2,690万円
  • 埼玉県入間郡三芳町大字北永井
  • 東武鉄道東上線 鶴瀬駅/徒歩25分
  • 122.07㎡/36.92坪
  • 60%(建ぺい率)
  • 200%(容積率)

■36坪以上×ゆとりの前面道路■お好きなハウスメーカーで建築可能です!

  • 建築条件なし
  • 更地
  • 角地
  • 南道路
  • 古家付き
  • 所有権あり
株式会社マイタウン 志木本店

地域に密着し、志木市から西東京市まで幅広く対応。東武東上線やJR武蔵野線など複数路線の物件情報を一度にご提案し、お客様のご希望に寄り添いながら安心して住まい探しができるよう丁寧にサポートいたします。

その他の情報

外観:311002341061 土地

三芳東中学校まで約2807m

区画図:311002341061
  • 3,180万円
  • 埼玉県富士見市羽沢2丁目
  • 東武鉄道東上線 鶴瀬駅/徒歩19分
  • 126.10㎡/38.14坪
  • 50%(建ぺい率)
  • 80%(容積率)

約38坪の土地 東武東上線「鶴瀬」駅徒歩19分 建築条件なし お好きなハウスメーカーを選べる 前面道路6mで開放的 平坦地 自由設計対応 小学校まで徒歩5分 ららぽーと富士見まで徒歩15分

  • 建築条件なし
  • 更地
  • 角地
  • 南道路
  • 古家付き
  • 所有権あり
株式会社マイタウン 志木本店

地域に密着し、志木市から西東京市まで幅広く対応。東武東上線やJR武蔵野線など複数路線の物件情報を一度にご提案し、お客様のご希望に寄り添いながら安心して住まい探しができるよう丁寧にサポートいたします。

その他の情報

外観:311002291426 土地

三芳東中学校まで約1930m

区画図:311002291426
  • 2,720万円
  • 埼玉県入間郡三芳町大字北永井
  • 東武鉄道東上線 鶴瀬駅/徒歩25分
  • 123.90㎡/37.47坪
  • 60%(建ぺい率)
  • 200%(容積率)

■36坪以上×ゆとりの前面道路■お好きなハウスメーカーで建築可能です!

  • 建築条件なし
  • 更地
  • 角地
  • 南道路
  • 古家付き
  • 所有権あり
株式会社マイタウン 志木本店

地域に密着し、志木市から西東京市まで幅広く対応。東武東上線やJR武蔵野線など複数路線の物件情報を一度にご提案し、お客様のご希望に寄り添いながら安心して住まい探しができるよう丁寧にサポートいたします。

その他の情報

外観:311002291506 土地

三芳東中学校まで約1930m

区画図:311002291506
  • 2,750万円
  • 埼玉県入間郡三芳町大字北永井
  • 東武鉄道東上線 鶴瀬駅/徒歩25分
  • 123.97㎡/37.5坪
  • 60%(建ぺい率)
  • 200%(容積率)

■36坪以上×ゆとりの前面道路■お好きなハウスメーカーで建築可能です!

  • 建築条件なし
  • 更地
  • 角地
  • 南道路
  • 古家付き
  • 所有権あり
株式会社マイタウン 志木本店

地域に密着し、志木市から西東京市まで幅広く対応。東武東上線やJR武蔵野線など複数路線の物件情報を一度にご提案し、お客様のご希望に寄り添いながら安心して住まい探しができるよう丁寧にサポートいたします。

その他の情報

外観:311002291503 土地

三芳東中学校まで約1930m

区画図:311002291503
  • 2,750万円
  • 埼玉県入間郡三芳町大字北永井
  • 東武鉄道東上線 鶴瀬駅/徒歩25分
  • 122.97㎡/37.19坪
  • 60%(建ぺい率)
  • 200%(容積率)

■36坪以上×ゆとりの前面道路■お好きなハウスメーカーで建築可能です!

  • 建築条件なし
  • 更地
  • 角地
  • 南道路
  • 古家付き
  • 所有権あり
株式会社マイタウン 志木本店

地域に密着し、志木市から西東京市まで幅広く対応。東武東上線やJR武蔵野線など複数路線の物件情報を一度にご提案し、お客様のご希望に寄り添いながら安心して住まい探しができるよう丁寧にサポートいたします。

その他の情報

外観:311002319818 土地

三芳東中学校まで約2243m

区画図:311002319818
  • 1,690万円
  • 埼玉県富士見市上沢1丁目
  • 東武鉄道東上線 鶴瀬駅/徒歩12分
  • 122.93㎡/37.18坪
  • 60%(建ぺい率)
  • 168%(容積率)

選べるe-GIFT15000円分>店舗初来場&アンケート回答でプレゼント

  • 建築条件なし
  • 更地
  • 角地
  • 南道路
  • 古家付き
  • 所有権あり
住宅情報館株式会社 川越店

川越エリア、近隣エリアの新築・中古一戸建・マンション・土地の購入・売却~注文建築・リフォームまで、住まいの事なら「住宅情報館」にお任せ下さい。

その他の情報

外観:311002291502 土地

三芳東中学校まで約1930m

区画図:311002291502
  • 2,990万円
  • 埼玉県入間郡三芳町大字北永井
  • 東武鉄道東上線 鶴瀬駅/徒歩25分
  • 122.33㎡/37坪
  • 60%(建ぺい率)
  • 200%(容積率)

■36坪以上×ゆとりの前面道路■お好きなハウスメーカーで建築可能です!

  • 建築条件なし
  • 更地
  • 角地
  • 南道路
  • 古家付き
  • 所有権あり
株式会社マイタウン 志木本店

地域に密着し、志木市から西東京市まで幅広く対応。東武東上線やJR武蔵野線など複数路線の物件情報を一度にご提案し、お客様のご希望に寄り添いながら安心して住まい探しができるよう丁寧にサポートいたします。

その他の情報

外観:311002278376 土地

三芳東中学校まで約2243m

区画図:311002278376
  • 1,690万円
  • 埼玉県富士見市上沢1丁目
  • 東武鉄道東上線 鶴瀬駅/徒歩12分
  • 122.93㎡/37.18坪
  • 60%(建ぺい率)
  • 168%(容積率)

マイホーム探しには、生活費、教育費、老後費、人生の三大支出も加味した、将来の家計を考慮することが大切です。弊社では住宅FPアドバイザーが、お客様の将来設計を見据えたコンサルティングを実施します。

  • 建築条件なし
  • 更地
  • 角地
  • 南道路
  • 古家付き
  • 所有権あり
ME不動産城北株式会社

22社、社員数600人。驚異的な販売実績を有するME Group その実績から提携ローン・金利優遇も多数あり。東京23区エリア・埼玉県南部エリアでの売買でしたらME不動産城北までご連絡ください。

その他の情報

外観:311002386503 土地

三芳東中学校まで約2319m

区画図:311002386503
  • 1,580万円
  • 埼玉県志木市幸町4丁目
  • 東武鉄道東上線 柳瀬川駅/徒歩13分
  • 55.15㎡/16.68坪
  • 60%(建ぺい率)
  • 160%(容積率)

≪小・中学校まで徒歩5分≫3階建てが建築可能なエリア!南東側公道に接道!お好みのハウスメーカーにて建築が可能です^^

  • 建築条件なし
  • 更地
  • 角地
  • 南道路
  • 古家付き
  • 所有権あり
株式会社大成住宅 本店

地域密着で培った知識とお客様との絆を大切に、埼玉生まれ、大成住宅があなたの一番身近な相談役になります。不動産の購入、注文住宅、売却、投資、リフォーム・リノベーション、賃貸等。大成住宅にご相談ください。

その他の情報

外観:311002365147 土地

三芳東中学校まで約2317m

区画図:311002365147
  • 1,580万円
  • 埼玉県志木市幸町4丁目
  • 東武鉄道東上線 柳瀬川駅/徒歩12分
  • 55.12㎡/16.67坪
  • 60%(建ぺい率)
  • 160%(容積率)

■南東向きの整形地 ■建築条件なし!お好きなハウスメーカーで建築OK! ■商業施設が徒歩圏内に充実したエリア ■小学校まで徒歩4分、中学校まで徒歩5分でお子様の通学に便利 ■暮らしやすい閑静な住宅地

  • 建築条件なし
  • 更地
  • 角地
  • 南道路
  • 古家付き
  • 所有権あり
株式会社マイタウン 志木本店

地域に密着し、志木市から西東京市まで幅広く対応。東武東上線やJR武蔵野線など複数路線の物件情報を一度にご提案し、お客様のご希望に寄り添いながら安心して住まい探しができるよう丁寧にサポートいたします。

その他の情報

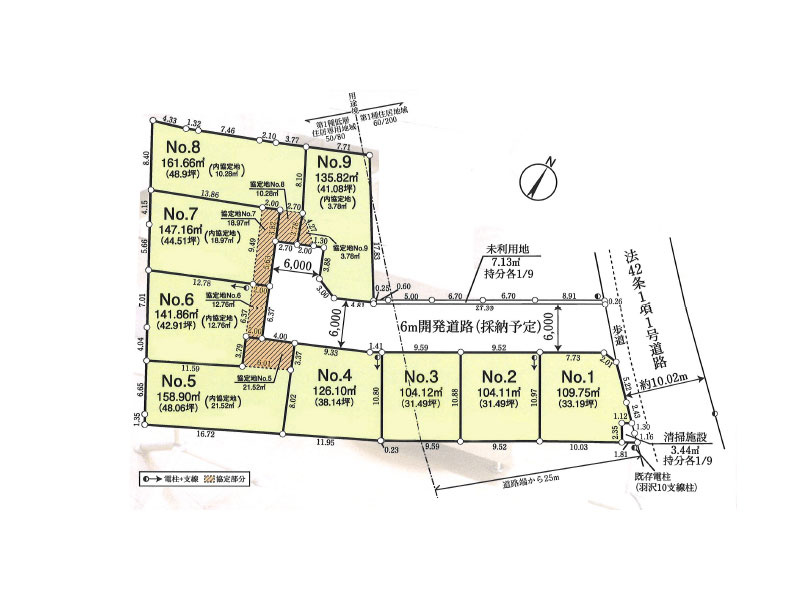
外観:311002341115 土地

三芳東中学校まで約2807m

区画図:311002341115
  • 3,380万円
  • 埼玉県富士見市羽沢2丁目
  • 東武鉄道東上線 鶴瀬駅/徒歩19分
  • 161.66㎡/48.9坪
  • 50%(建ぺい率)
  • 80%(容積率)

約48坪の土地 東武東上線「鶴瀬」駅徒歩19分 建築条件なし お好きなハウスメーカーを選べる 平坦地 自由設計対応 小学校まで徒歩5分 ららぽーと富士見まで徒歩15分

  • 建築条件なし
  • 更地
  • 角地
  • 南道路
  • 古家付き
  • 所有権あり
株式会社マイタウン 志木本店

地域に密着し、志木市から西東京市まで幅広く対応。東武東上線やJR武蔵野線など複数路線の物件情報を一度にご提案し、お客様のご希望に寄り添いながら安心して住まい探しができるよう丁寧にサポートいたします。

その他の情報

NO IMAGE 土地

三芳東中学校まで約2673m

区画図:311002380517
  • 2,680万円
  • 埼玉県富士見市大字水子
  • 東武鉄道東上線 みずほ台駅/徒歩23分
  • 125.01㎡/37.81坪
  • 60%(建ぺい率)
  • 100%(容積率)
  • 建築条件なし
  • 更地
  • 角地
  • 南道路
  • 古家付き
  • 所有権あり
株式会社藤和ハウス インターネットお問い合わせセンター

藤和ハウスは創業1975年の信頼と実績!東京・埼玉エリアを中心に全19店舗のネットワーク。不動産(一戸建て・土地・マンション)なら藤和ハウスインターネットお問合せセンターまでお気軽にお問合せください!

その他の情報

外観:311002367149 土地

三芳東中学校まで約2899m

区画図:311002367149
  • 2,490万円
  • 埼玉県富士見市羽沢1丁目
  • 東武鉄道東上線 鶴瀬駅/徒歩21分
  • 110.62㎡/33.46坪
  • 60%(建ぺい率)
  • 100%(容積率)

~南道路の整形地!陽当たりも良好!~■ららぽーと富士見まで徒歩11分■建築条件なしで理想のお住まい

  • 建築条件なし
  • 更地
  • 角地
  • 南道路
  • 古家付き
  • 所有権あり
おうちの仲介+ 東所沢営業所 株式会社アークレスト 東所沢営業所

不動産売買ならおうちの仲介+(株)アークレスト東所沢営業所にお任せください。お客様に沿ったご提案をさせて頂きます。是非一度お問い合わせくださいませ。

その他の情報

NO IMAGE 土地

三芳東中学校まで約2806m

区画図:311002384078
  • 2,880万円
  • 埼玉県富士見市羽沢2丁目
  • 東武鉄道東上線 鶴瀬駅/徒歩20分
  • 109.75㎡/33.19坪
  • 60%(建ぺい率)
  • 200%(容積率)
  • 建築条件なし
  • 更地
  • 角地
  • 南道路
  • 古家付き
  • 所有権あり
株式会社藤和ハウス インターネットお問い合わせセンター

藤和ハウスは創業1975年の信頼と実績!東京・埼玉エリアを中心に全19店舗のネットワーク。不動産(一戸建て・土地・マンション)なら藤和ハウスインターネットお問合せセンターまでお気軽にお問合せください!

その他の情報

NO IMAGE 土地

三芳東中学校まで約1524m

区画図:311002364459
  • 2,445万円
  • 埼玉県入間郡三芳町大字藤久保
  • 東武鉄道東上線 鶴瀬駅/徒歩16分
  • 99.96㎡/30.23坪
  • 50%(建ぺい率)
  • 80%(容積率)

■土地面積30坪超■建築条件なし、お好きなハウスメーカーで建築可能■間口9m以上、整形地、都市ガス■小学校徒歩5分、スーパー徒歩3分現地ご案内予約・資料請求など、お気軽にお問い合わせ下さい。

  • 建築条件なし
  • 更地
  • 角地
  • 南道路
  • 古家付き
  • 所有権あり
株式会社住協 ふじみ野支店

「地域密着45年を超えて。今私たちにできること」地元を知り尽くしたノウハウと情報力でお客様に貢献いたします。東上線エリアの物件情報は住協ふじみ野支店へお気軽にご相談ください。

その他の情報

NO IMAGE 土地

三芳東中学校まで約2402m

NO IMAGE
  • 2,800万円
  • 埼玉県ふじみ野市大井
  • 東武鉄道東上線 ふじみ野駅/徒歩27分
  • 615.25㎡/186.11坪
  • 60%(建ぺい率)
  • 200%(容積率)
  • 建築条件なし
  • 更地
  • 角地
  • 南道路
  • 古家付き
  • 所有権あり
株式会社住協 ふじみ野支店

「地域密着45年を超えて。今私たちにできること」地元を知り尽くしたノウハウと情報力でお客様に貢献いたします。東上線エリアの物件情報は住協ふじみ野支店へお気軽にご相談ください。

その他の情報

外観:311002346634 土地

三芳東中学校まで約2268m

区画図:311002346634
  • 3,290万円
  • 埼玉県志木市幸町3丁目
  • 東武鉄道東上線 柳瀬川駅/徒歩9分
  • 99.17㎡/29.99坪
  • 60%(建ぺい率)
  • 200%(容積率)

■アルカス住宅販売石神井公園店専任物件 ■建築条件なし売地 ■間口が広く、前面道路約5mの整形地

  • 建築条件なし
  • 更地
  • 角地
  • 南道路
  • 古家付き
  • 所有権あり
アルカス住宅販売株式会社 石神井公園店

アルカス住宅販売石神井公園店は、石神井・大泉エリア専門店です。当エリア内の物件情報は当社にお任せくださいませ。資格を保有したプロのコンサルタントがエスコートさせて頂きます。

その他の情報

1ページ目(3ページ中) 次へ
この条件で新着メールを受取る
この検索条件を保存する

入間郡三芳町の物件も見てみませんか?

現在のページで希望の物件が見つからなければエリアから探してみてもいいかもしれません。

入間郡三芳町の物件を見る

※学校までの直線距離を表示しています。道路距離ではありませんのでご了承ください。
※学区の情報は、平成28年度/平成26年度の国土交通省の位置情報参照ダウンロードサービスをもとに利用しています。必ずしも正確ではございませんので、実際三芳東中学校の校区・通学区域については、掲載店舗にお問い合わせいただくか、各区・市役所等にご確認ください。

追加が完了しました。

現在00件保存されています。(最大5件)

保存した条件一覧を見る

現在00件保存されています。

残り00件追加することができます。

お気に入り物件一覧を見る

間隔を空けてお試しください。

問合せが未完了の物件

条件を変更
チェックした物件をまとめて 資料請求(無料) お気に入りに追加