森塾 ふじみ野校(富士見市)近くの土地・宅地・分譲地の購入情報

森塾 ふじみ野校(富士見市)近くの土地・宅地・分譲地の購入情報をご覧いただけます。

85

↓ チェックした物件をまとめてお問い合わせ

外観:311002344484 土地

森塾 ふじみ野校まで約1031m

区画図:311002344484
  • 2,480万円
  • 埼玉県ふじみ野市南台2丁目
  • 東武鉄道東上線 上福岡駅/徒歩18分
  • 100.05㎡/30.26坪
  • 60%(建ぺい率)
  • 160%(容積率)

南道路に面したふじみ野の土地

  • 建築条件なし
  • 更地
  • 角地
  • 南道路
  • 古家付き
  • 所有権あり
株式会社エステート白馬 所沢店

ご見学に併せて、無料の外部FP相談をご利用頂けます。マイホーム購入だけでなく、老後の資金計画・お子様の教育資金等のライフシュミレーションを考慮し、無理のない返済計画をご提案させていただきます。

その他の情報

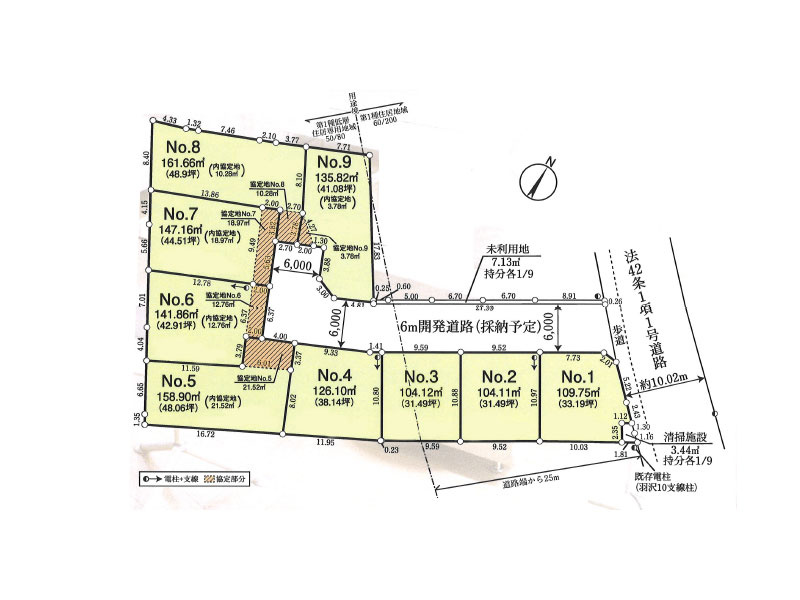
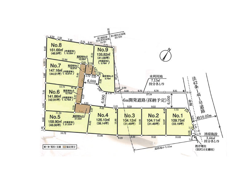
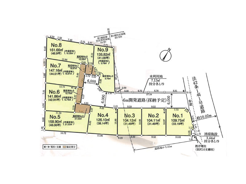
外観:311002341060 土地

森塾 ふじみ野校まで約1588m

区画図:311002341060
  • 2,880万円
  • 埼玉県富士見市羽沢2丁目
  • 東武鉄道東上線 鶴瀬駅/徒歩19分
  • 109.75㎡/33.19坪
  • 60%(建ぺい率)
  • 200%(容積率)

約33坪の土地 東武東上線「鶴瀬」駅徒歩19分 建築条件なし お好きなハウスメーカーを選べる 前面道路6m以上で開放的 平坦地 角地 自由設計対応 小学校まで徒歩5分 ららぽーと富士見まで徒歩15分

  • 建築条件なし
  • 更地
  • 角地
  • 南道路
  • 古家付き
  • 所有権あり
株式会社マイタウン 志木本店

地域に密着し、志木市から西東京市まで幅広く対応。東武東上線やJR武蔵野線など複数路線の物件情報を一度にご提案し、お客様のご希望に寄り添いながら安心して住まい探しができるよう丁寧にサポートいたします。

その他の情報

外観:311002299977 土地

森塾 ふじみ野校まで約1147m

区画図:311002299977
  • 2,280万円
  • 埼玉県ふじみ野市福岡武蔵野
  • 東武鉄道東上線 上福岡駅/徒歩10分
  • 74.28㎡/22.46坪
  • 60%(建ぺい率)
  • 160%(容積率)

東武東上線「上福岡」駅徒歩10分 南東道路に面した陽当たりの良い土地 解体工事済み更地 整形地・都市ガス利用可 お好きなハウスメーカー選べる 角地のような開放感 スーパー・コンビニ徒歩5分以内

  • 建築条件なし
  • 更地
  • 角地
  • 南道路
  • 古家付き
  • 所有権あり
株式会社マイタウン 志木本店

地域に密着し、志木市から西東京市まで幅広く対応。東武東上線やJR武蔵野線など複数路線の物件情報を一度にご提案し、お客様のご希望に寄り添いながら安心して住まい探しができるよう丁寧にサポートいたします。

その他の情報

外観:311002319818 土地

森塾 ふじみ野校まで約1435m

区画図:311002319818
  • 1,690万円
  • 埼玉県富士見市上沢1丁目
  • 東武鉄道東上線 鶴瀬駅/徒歩12分
  • 122.93㎡/37.18坪
  • 60%(建ぺい率)
  • 168%(容積率)

選べるe-GIFT15000円分>店舗初来場&アンケート回答でプレゼント

  • 建築条件なし
  • 更地
  • 角地
  • 南道路
  • 古家付き
  • 所有権あり
住宅情報館株式会社 川越店

川越エリア、近隣エリアの新築・中古一戸建・マンション・土地の購入・売却~注文建築・リフォームまで、住まいの事なら「住宅情報館」にお任せ下さい。

その他の情報

外観:311002278376 土地

森塾 ふじみ野校まで約1435m

区画図:311002278376
  • 1,690万円
  • 埼玉県富士見市上沢1丁目
  • 東武鉄道東上線 鶴瀬駅/徒歩12分
  • 122.93㎡/37.18坪
  • 60%(建ぺい率)
  • 168%(容積率)

マイホーム探しには、生活費、教育費、老後費、人生の三大支出も加味した、将来の家計を考慮することが大切です。弊社では住宅FPアドバイザーが、お客様の将来設計を見据えたコンサルティングを実施します。

  • 建築条件なし
  • 更地
  • 角地
  • 南道路
  • 古家付き
  • 所有権あり
ME不動産城北株式会社

22社、社員数600人。驚異的な販売実績を有するME Group その実績から提携ローン・金利優遇も多数あり。東京23区エリア・埼玉県南部エリアでの売買でしたらME不動産城北までご連絡ください。

その他の情報

外観:311002364431 土地

森塾 ふじみ野校まで約1087m

区画図:311002364431
  • 2,280万円
  • 埼玉県ふじみ野市福岡武蔵野
  • 東武鉄道東上線 上福岡駅/徒歩12分
  • 74.28㎡/22.46坪
  • 60%(建ぺい率)
  • 160%(容積率)

■東武東上線「上福岡」駅まで徒歩10分■陽当り良好な南東側道路面、更地渡し■建築条件なし、お好きなハウスメーカーで建築可能■スーパー・コンビニなどが近く、お買い物も便利

  • 建築条件なし
  • 更地
  • 角地
  • 南道路
  • 古家付き
  • 所有権あり
株式会社住協 ふじみ野支店

「地域密着45年を超えて。今私たちにできること」地元を知り尽くしたノウハウと情報力でお客様に貢献いたします。東上線エリアの物件情報は住協ふじみ野支店へお気軽にご相談ください。

その他の情報

外観:311002134912 土地

森塾 ふじみ野校まで約1100m

区画図:311002134912
  • 2,280万円
  • 埼玉県ふじみ野市福岡武蔵野
  • 東武鉄道東上線 上福岡駅/徒歩10分
  • 74.28㎡/22.46坪
  • 60%(建ぺい率)
  • 160%(容積率)

マイホーム探しには、生活費、教育費、老後費、人生の三大支出も加味した、将来の家計を考慮することが大切です。弊社では住宅FPアドバイザーが、お客様の将来設計を見据えたコンサルティングを実施します。

  • 建築条件なし
  • 更地
  • 角地
  • 南道路
  • 古家付き
  • 所有権あり
ME不動産城北株式会社

22社、社員数600人。驚異的な販売実績を有するME Group その実績から提携ローン・金利優遇も多数あり。東京23区エリア・埼玉県南部エリアでの売買でしたらME不動産城北までご連絡ください。

その他の情報

外観:311002341061 土地

森塾 ふじみ野校まで約1588m

区画図:311002341061
  • 3,180万円
  • 埼玉県富士見市羽沢2丁目
  • 東武鉄道東上線 鶴瀬駅/徒歩19分
  • 126.10㎡/38.14坪
  • 50%(建ぺい率)
  • 80%(容積率)

約38坪の土地 東武東上線「鶴瀬」駅徒歩19分 建築条件なし お好きなハウスメーカーを選べる 前面道路6mで開放的 平坦地 自由設計対応 小学校まで徒歩5分 ららぽーと富士見まで徒歩15分

  • 建築条件なし
  • 更地
  • 角地
  • 南道路
  • 古家付き
  • 所有権あり
株式会社マイタウン 志木本店

地域に密着し、志木市から西東京市まで幅広く対応。東武東上線やJR武蔵野線など複数路線の物件情報を一度にご提案し、お客様のご希望に寄り添いながら安心して住まい探しができるよう丁寧にサポートいたします。

その他の情報

外観:311002358593 土地

森塾 ふじみ野校まで約1161m

区画図:311002358593
  • 1,181万円
  • 埼玉県富士見市渡戸3丁目
  • 東武鉄道東上線 ふじみ野駅/徒歩18分
  • 100.01㎡/30.25坪
  • 60%(建ぺい率)
  • 100%(容積率)

~建築条件なし土地約30坪~〇お好きなハウスメーカーで建築可能〇徒歩10分以内に商業施設あり北西×北東の2方向接道の角地

  • 建築条件なし
  • 更地
  • 角地
  • 南道路
  • 古家付き
  • 所有権あり
おうちの仲介+ 東所沢営業所 株式会社アークレスト 東所沢営業所

不動産売買ならおうちの仲介+(株)アークレスト東所沢営業所にお任せください。お客様に沿ったご提案をさせて頂きます。是非一度お問い合わせくださいませ。

その他の情報

NO IMAGE 土地

森塾 ふじみ野校まで約1302m

NO IMAGE
  • 2,380万円
  • 埼玉県富士見市渡戸2丁目
  • 東武鉄道東上線 ふじみ野駅/徒歩18分
  • 101.21㎡/30.61坪
  • 60%(建ぺい率)
  • 100%(容積率)
  • 建築条件なし
  • 更地
  • 角地
  • 南道路
  • 古家付き
  • 所有権あり
株式会社藤和ハウス インターネットお問い合わせセンター

藤和ハウスは創業1975年の信頼と実績!東京・埼玉エリアを中心に全19店舗のネットワーク。不動産(一戸建て・土地・マンション)なら藤和ハウスインターネットお問合せセンターまでお気軽にお問合せください!

その他の情報

外観:311002363924 土地

森塾 ふじみ野校まで約1285m

区画図:311002363924
  • 2,380万円
  • 埼玉県富士見市渡戸2丁目
  • 東武鉄道東上線 ふじみ野駅/徒歩19分
  • 101.21㎡/30.61坪
  • 60%(建ぺい率)
  • 100%(容積率)

■東武東上線「ふじみ野」駅まで徒歩18分■小学校が徒歩8分で子育て世帯にも優しい住環境■ららぽーと富士見まで車で4分~日常の買い物にも休日のレジャーにも!

  • 建築条件なし
  • 更地
  • 角地
  • 南道路
  • 古家付き
  • 所有権あり
おうちの仲介+ 東所沢営業所 株式会社アークレスト 東所沢営業所

不動産売買ならおうちの仲介+(株)アークレスト東所沢営業所にお任せください。お客様に沿ったご提案をさせて頂きます。是非一度お問い合わせくださいませ。

その他の情報

NO IMAGE 土地

森塾 ふじみ野校まで約1520m

NO IMAGE
  • 2,390万円
  • 埼玉県ふじみ野市大井中央3丁目
  • 東武鉄道東上線 上福岡駅/バス 12分/緑ヶ丘一丁目 徒歩4分
  • 139.04㎡/42.05坪
  • 50%(建ぺい率)
  • 80%(容積率)

マイホーム探しには、生活費、教育費、老後費、人生の三大支出も加味した、将来の家計を考慮することが大切です。弊社では住宅FPアドバイザーが、お客様の将来設計を見据えたコンサルティングを実施します。

  • 建築条件なし
  • 更地
  • 角地
  • 南道路
  • 古家付き
  • 所有権あり
ME不動産城北株式会社

22社、社員数600人。驚異的な販売実績を有するME Group その実績から提携ローン・金利優遇も多数あり。東京23区エリア・埼玉県南部エリアでの売買でしたらME不動産城北までご連絡ください。

その他の情報

外観:311002341115 土地

森塾 ふじみ野校まで約1588m

区画図:311002341115
  • 3,380万円
  • 埼玉県富士見市羽沢2丁目
  • 東武鉄道東上線 鶴瀬駅/徒歩19分
  • 161.66㎡/48.9坪
  • 50%(建ぺい率)
  • 80%(容積率)

約48坪の土地 東武東上線「鶴瀬」駅徒歩19分 建築条件なし お好きなハウスメーカーを選べる 平坦地 自由設計対応 小学校まで徒歩5分 ららぽーと富士見まで徒歩15分

  • 建築条件なし
  • 更地
  • 角地
  • 南道路
  • 古家付き
  • 所有権あり
株式会社マイタウン 志木本店

地域に密着し、志木市から西東京市まで幅広く対応。東武東上線やJR武蔵野線など複数路線の物件情報を一度にご提案し、お客様のご希望に寄り添いながら安心して住まい探しができるよう丁寧にサポートいたします。

その他の情報

外観:311002364693 土地

森塾 ふじみ野校まで約1161m

区画図:311002364693
  • 1,181万円
  • 埼玉県富士見市渡戸3丁目
  • 東武鉄道東上線 ふじみ野駅/徒歩16分
  • 100.01㎡/30.25坪
  • 60%(建ぺい率)
  • 100%(容積率)

■隣地に挟まれておらず、開放感のある北東×北西角地■建築条件はありません。お好きなハウスメーカーで建築可能■北西側間口9m以上!間取りのプランニングの幅が広がる整形地

  • 建築条件なし
  • 更地
  • 角地
  • 南道路
  • 古家付き
  • 所有権あり
株式会社住協 ふじみ野支店

「地域密着45年を超えて。今私たちにできること」地元を知り尽くしたノウハウと情報力でお客様に貢献いたします。東上線エリアの物件情報は住協ふじみ野支店へお気軽にご相談ください。

その他の情報

外観:311002227762 土地

森塾 ふじみ野校まで約1823m

区画図:311002227762
  • 3,000万円
  • 埼玉県ふじみ野市緑ケ丘1丁目
  • 東武鉄道東上線 上福岡駅/バス 9分/ビバモール 徒歩7分
  • 129.58㎡/39.19坪
  • 50%(建ぺい率)
  • 80%(容積率)
  • 建築条件なし
  • 更地
  • 角地
  • 南道路
  • 古家付き
  • 所有権あり
センチュリー21ファーストホーム

賃貸・売買ともに東武東上線エリアは当店にお任せください。センチュリー21のネットワークを駆使して、広範な新着の物件を豊富にご案内しております。

その他の情報

NO IMAGE 土地

森塾 ふじみ野校まで約1531m

NO IMAGE
  • 2,390万円
  • 埼玉県ふじみ野市大井中央3丁目
  • 東武鉄道東上線 ふじみ野駅/徒歩26分
  • 139.04㎡/42.05坪
  • 50%(建ぺい率)
  • 80%(容積率)

選べるe-GIFT15000円分>店舗初来場&アンケート回答でプレゼント

  • 建築条件なし
  • 更地
  • 角地
  • 南道路
  • 古家付き
  • 所有権あり
住宅情報館株式会社 川越店

川越エリア、近隣エリアの新築・中古一戸建・マンション・土地の購入・売却~注文建築・リフォームまで、住まいの事なら「住宅情報館」にお任せ下さい。

その他の情報

外観:311002391198 土地

森塾 ふじみ野校まで約1531m

NO IMAGE
  • 2,390万円
  • 埼玉県ふじみ野市大井中央3丁目
  • 東武鉄道東上線 ふじみ野駅/徒歩26分
  • 139.04㎡/42.05坪
  • 50%(建ぺい率)
  • 80%(容積率)
  • 建築条件なし
  • 更地
  • 角地
  • 南道路
  • 古家付き
  • 所有権あり
株式会社東宝ハウス川口

お客様と一緒に不安や問題点を解決し、必ずご満足いただける住宅の購入へとお導きいたします。また、お客様の「安心・安全」な暮らしも視野に入れて、不動産業のプロのコンシェルジュとしてお届けいたします。

その他の情報

NO IMAGE 土地

森塾 ふじみ野校まで約1370m

区画図:311002364475
  • 1,980万円
  • 埼玉県ふじみ野市大井中央2丁目
  • 東武鉄道東上線 ふじみ野駅/徒歩25分
  • 104.68㎡/31.66坪
  • 50%(建ぺい率)
  • 80%(容積率)

■土地面積104.68m2(約31.6坪)■建築条件なし、お好きなハウスメーカーで建築可能■前面道路4.2m幅員現地ご案内予約・資料請求など、お気軽にお問い合わせ下さい。

  • 建築条件なし
  • 更地
  • 角地
  • 南道路
  • 古家付き
  • 所有権あり
株式会社住協 ふじみ野支店

「地域密着45年を超えて。今私たちにできること」地元を知り尽くしたノウハウと情報力でお客様に貢献いたします。東上線エリアの物件情報は住協ふじみ野支店へお気軽にご相談ください。

その他の情報

外観:311002296808 土地

森塾 ふじみ野校まで約1695m

区画図:311002296808
  • 1,500万円
  • 埼玉県ふじみ野市上ノ原1丁目
  • 東武鉄道東上線 上福岡駅/徒歩18分
  • 103.60㎡/31.33坪
  • 60%(建ぺい率)
  • 100%(容積率)

建築条件無!図書館や小学校が近隣にあり子育てしやすい環境です!イオンタウンふじみ野徒歩10分!便利!

  • 建築条件なし
  • 更地
  • 角地
  • 南道路
  • 古家付き
  • 所有権あり
センチュリー21マルヨシ

越谷市近隣の不動産情報は「北越谷」で創業35年のセンチュリー21マルヨシにお任せください!!明るく広い「くつろげる」スペースをご用意してご来店を心よりお待ちしております。

その他の情報

NO IMAGE 土地

森塾 ふじみ野校まで約1590m

区画図:311002384078
  • 2,880万円
  • 埼玉県富士見市羽沢2丁目
  • 東武鉄道東上線 鶴瀬駅/徒歩20分
  • 109.75㎡/33.19坪
  • 60%(建ぺい率)
  • 200%(容積率)
  • 建築条件なし
  • 更地
  • 角地
  • 南道路
  • 古家付き
  • 所有権あり
株式会社藤和ハウス インターネットお問い合わせセンター

藤和ハウスは創業1975年の信頼と実績!東京・埼玉エリアを中心に全19店舗のネットワーク。不動産(一戸建て・土地・マンション)なら藤和ハウスインターネットお問合せセンターまでお気軽にお問合せください!

その他の情報

外観:311002327012 土地

森塾 ふじみ野校まで約1435m

NO IMAGE
  • 1,690万円
  • 埼玉県富士見市上沢1丁目
  • 東武鉄道東上線 鶴瀬駅/徒歩12分
  • 122.93㎡/37.18坪
  • 60%(建ぺい率)
  • 168%(容積率)
  • 建築条件なし
  • 更地
  • 角地
  • 南道路
  • 古家付き
  • 所有権あり
株式会社東宝ハウス川口

お客様と一緒に不安や問題点を解決し、必ずご満足いただける住宅の購入へとお導きいたします。また、お客様の「安心・安全」な暮らしも視野に入れて、不動産業のプロのコンシェルジュとしてお届けいたします。

その他の情報

外観:311002322195 土地

森塾 ふじみ野校まで約1100m

NO IMAGE
  • 2,280万円
  • 埼玉県ふじみ野市福岡武蔵野
  • 東武鉄道東上線 上福岡駅/徒歩10分
  • 74.28㎡/22.46坪
  • 60%(建ぺい率)
  • 160%(容積率)
  • 建築条件なし
  • 更地
  • 角地
  • 南道路
  • 古家付き
  • 所有権あり
株式会社東宝ハウス川口

お客様と一緒に不安や問題点を解決し、必ずご満足いただける住宅の購入へとお導きいたします。また、お客様の「安心・安全」な暮らしも視野に入れて、不動産業のプロのコンシェルジュとしてお届けいたします。

その他の情報

外観:311002143067 土地
NO IMAGE
  • 2,280万円
  • 埼玉県ふじみ野市福岡武蔵野
  • 東武鉄道東上線 上福岡駅/徒歩10分
  • 74.28㎡/22.46坪
  • 60%(建ぺい率)
  • 160%(容積率)

東武東上線「上福岡」駅徒歩10分/整形地/住環境良好/閑静な住宅地/お好きなハウスメーカーで建築できます。

  • 建築条件なし
  • 更地
  • 角地
  • 南道路
  • 古家付き
  • 所有権あり
株式会社西武開発 ふじみ野店

地元のために、お客様のために。私たちの情熱が、地元の皆様の夢をかたちにします。

その他の情報

外観:311002358523 土地

森塾 ふじみ野校まで約1077m

区画図:311002358523
  • 1,390万円
  • 埼玉県富士見市上沢3丁目
  • 東武鉄道東上線 ふじみ野駅/徒歩16分
  • 75.07㎡/22.7坪
  • 50%(建ぺい率)
  • 80%(容積率)

~東武東上線「ふじみ野」駅徒歩17分~閑静な住環境に佇む建築条件なしの土地!駐車スペースを備え、古家付きのため建替え後の暮らしをイメージしやすい一画。

  • 建築条件なし
  • 更地
  • 角地
  • 南道路
  • 古家付き
  • 所有権あり
おうちの仲介+ 東所沢営業所 株式会社アークレスト 東所沢営業所

不動産売買ならおうちの仲介+(株)アークレスト東所沢営業所にお任せください。お客様に沿ったご提案をさせて頂きます。是非一度お問い合わせくださいませ。

その他の情報

NO IMAGE 土地

森塾 ふじみ野校まで約1428m

NO IMAGE
  • 2,800万円
  • 埼玉県ふじみ野市大井
  • 東武鉄道東上線 ふじみ野駅/徒歩27分
  • 615.25㎡/186.11坪
  • 60%(建ぺい率)
  • 200%(容積率)
  • 建築条件なし
  • 更地
  • 角地
  • 南道路
  • 古家付き
  • 所有権あり
株式会社住協 ふじみ野支店

「地域密着45年を超えて。今私たちにできること」地元を知り尽くしたノウハウと情報力でお客様に貢献いたします。東上線エリアの物件情報は住協ふじみ野支店へお気軽にご相談ください。

その他の情報

NO IMAGE 土地

森塾 ふじみ野校まで約1695m

区画図:311002364461
  • 1,500万円
  • 埼玉県ふじみ野市上ノ原1丁目
  • 東武鉄道東上線 上福岡駅/徒歩17分
  • 103.60㎡/31.33坪
  • 60%(建ぺい率)
  • 100%(容積率)

■土地面積31坪超■建築条件なし、お好きなハウスメーカーで建築可能■小学校徒歩6分、スーパー徒歩5分現地ご案内予約・資料請求など、お気軽にお問い合わせ下さい。

  • 建築条件なし
  • 更地
  • 角地
  • 南道路
  • 古家付き
  • 所有権あり
株式会社住協 ふじみ野支店

「地域密着45年を超えて。今私たちにできること」地元を知り尽くしたノウハウと情報力でお客様に貢献いたします。東上線エリアの物件情報は住協ふじみ野支店へお気軽にご相談ください。

その他の情報

NO IMAGE 土地

森塾 ふじみ野校まで約1211m

区画図:311002346661
  • 1,280万円
  • 埼玉県富士見市渡戸3丁目
  • 東武鉄道東上線 ふじみ野駅/徒歩15分
  • 135.14㎡/40.87坪
  • 60%(建ぺい率)
  • 100%(容積率)

約40坪の建築条件無売地!お好きなハウスメーカーで建築可能です! ■閑静な住宅街での穏やかな暮らし ■急行・TJライナー利用可能な「ふじみ野」駅徒歩15分

  • 建築条件なし
  • 更地
  • 角地
  • 南道路
  • 古家付き
  • 所有権あり
株式会社マイタウン 志木本店

地域に密着し、志木市から西東京市まで幅広く対応。東武東上線やJR武蔵野線など複数路線の物件情報を一度にご提案し、お客様のご希望に寄り添いながら安心して住まい探しができるよう丁寧にサポートいたします。

その他の情報

NO IMAGE 土地

森塾 ふじみ野校まで約1439m

区画図:311002364434
  • 1,690万円
  • 埼玉県富士見市上沢1丁目
  • 東武鉄道東上線 鶴瀬駅/徒歩12分
  • 122.93㎡/37.18坪
  • 60%(建ぺい率)
  • 168%(容積率)

■東武東上線「鶴瀬」駅徒歩12分■土地面積37坪超、現況更地■プライバシーを確保しやすい旗竿地現地ご案内予約・資料請求など、お気軽にお問い合わせ下さい。

  • 建築条件なし
  • 更地
  • 角地
  • 南道路
  • 古家付き
  • 所有権あり
株式会社住協 ふじみ野支店

「地域密着45年を超えて。今私たちにできること」地元を知り尽くしたノウハウと情報力でお客様に貢献いたします。東上線エリアの物件情報は住協ふじみ野支店へお気軽にご相談ください。

その他の情報

NO IMAGE 土地

森塾 ふじみ野校まで約1590m

区画図:311002384079
  • 2,980万円
  • 埼玉県富士見市羽沢2丁目
  • 東武鉄道東上線 鶴瀬駅/徒歩20分
  • 104.12㎡/31.49坪
  • 60%(建ぺい率)
  • 200%(容積率)
  • 建築条件なし
  • 更地
  • 角地
  • 南道路
  • 古家付き
  • 所有権あり
株式会社藤和ハウス インターネットお問い合わせセンター

藤和ハウスは創業1975年の信頼と実績!東京・埼玉エリアを中心に全19店舗のネットワーク。不動産(一戸建て・土地・マンション)なら藤和ハウスインターネットお問合せセンターまでお気軽にお問合せください!

その他の情報

NO IMAGE 土地

森塾 ふじみ野校まで約1590m

区画図:311002383472
  • 2,980万円
  • 埼玉県富士見市羽沢2丁目
  • 東武鉄道東上線 鶴瀬駅/徒歩20分
  • 104.11㎡/31.49坪
  • 60%(建ぺい率)
  • 200%(容積率)
  • 建築条件なし
  • 更地
  • 角地
  • 南道路
  • 古家付き
  • 所有権あり
株式会社藤和ハウス インターネットお問い合わせセンター

藤和ハウスは創業1975年の信頼と実績!東京・埼玉エリアを中心に全19店舗のネットワーク。不動産(一戸建て・土地・マンション)なら藤和ハウスインターネットお問合せセンターまでお気軽にお問合せください!

その他の情報

1ページ目(3ページ中) 次へ
この条件で新着メールを受取る
この検索条件を保存する

富士見市の物件も見てみませんか?

現在のページで希望の物件が見つからなければエリアから探してみてもいいかもしれません。

富士見市の物件を見る

※森塾 ふじみ野校までの直線距離を表示しています。道路距離ではありませんのでご了承ください。

追加が完了しました。

現在00件保存されています。(最大5件)

保存した条件一覧を見る

現在00件保存されています。

残り00件追加することができます。

お気に入り物件一覧を見る

間隔を空けてお試しください。

問合せが未完了の物件

条件を変更
チェックした物件をまとめて 資料請求(無料) お気に入りに追加