Leaf プログレス松戸校(松戸市)近くの土地・宅地・分譲地の購入情報

Leaf プログレス松戸校(松戸市)近くの土地・宅地・分譲地の購入情報をご覧いただけます。

32

↓ チェックした物件をまとめてお問い合わせ

外観:312001196415 土地

Leaf プログレス松戸校まで約1871m

区画図:312001196415
  • 1,790万円
  • 千葉県松戸市上矢切
  • 常磐線 松戸駅/バス 6分/宝蔵院 徒歩3分
  • 118.32㎡/35.79坪
  • 60%(建ぺい率)
  • 200%(容積率)

担当のコタニです。全8区画の大型分譲地内・敷地35坪・駐車2台可!フリープランで建築OK!本日ご相談できます!

  • 建築条件なし
  • 更地
  • 角地
  • 南道路
  • 古家付き
  • 所有権あり
株式会社東宝ハウス松戸

創業2年で570組のご成約を頂いております!皆さまの心地よい家探しをスタッフ全員でサポートします!!住宅ローンのこと、アフターサポートのこと、街のこと、、気になることは何でもご相談ください!!!

その他の情報

外観:312001179888 土地

Leaf プログレス松戸校まで約1771m

区画図:312001179888
  • 2,699万円
  • 千葉県松戸市古ケ崎
  • 常磐線 松戸駅/徒歩27分
  • 190.61㎡/57.65坪
  • 60%(建ぺい率)
  • 200%(容積率)

建築条件がありませんので、お好みのハウスメーカーで建てられます。間取り図のプランも無料にて作成いたします。現地だけでなく周辺環境のご案内もしております。お気軽にお問合せ下さい。

  • 建築条件なし
  • 更地
  • 角地
  • 南道路
  • 古家付き
  • 所有権あり
株式会社慶和住宅

市川駅徒歩3分!市川・本八幡の新築戸建て・中古戸建て・土地・マンションなどの住まい探しは当店にお任せ下さい。人気のKEIWA-TOWNシリーズを含む慶和売主物件も続々公開中です!

その他の情報

外観:312001151805 土地

Leaf プログレス松戸校まで約1772m

区画図:312001151805
  • 2,699万円
  • 千葉県松戸市古ケ崎
  • 常磐線 松戸駅/徒歩27分
  • 190.61㎡/57.65坪
  • 60%(建ぺい率)
  • 200%(容積率)

■松戸駅徒歩27分■敷地面積約58坪■建築条件なし■西側前面道路舗装後引渡

  • 建築条件なし
  • 更地
  • 角地
  • 南道路
  • 古家付き
  • 所有権あり
株式会社スターホームズ

住みたい人と住みたい家の確かな掛け橋。駐車場完備ですのでお車でもご来店いただけます。不動産を売りたい・買いたいなどのご相談、ご自宅のリフォームは当社へご相談ください。必ずお役に立ちます。

その他の情報

外観:312000974265 土地

Leaf プログレス松戸校まで約1054m

NO IMAGE
  • 2,470万円
  • 千葉県松戸市松戸
  • 常磐線 松戸駅/徒歩14分
  • 96.04㎡/29.05坪
  • 60%(建ぺい率)
  • 200%(容積率)

担当のナツです。利便性の良いJR常磐線「松戸」駅徒歩14分 お好きな工務店で願いが叶う建築条件なし売地 光を感じられる南向き整形地で贅沢な注文住宅ライフの第一歩を  

  • 建築条件なし
  • 更地
  • 角地
  • 南道路
  • 古家付き
  • 所有権あり
株式会社東宝ハウス松戸

創業2年で570組のご成約を頂いております!皆さまの心地よい家探しをスタッフ全員でサポートします!!住宅ローンのこと、アフターサポートのこと、街のこと、、気になることは何でもご相談ください!!!

その他の情報

外観:312001200414 土地

Leaf プログレス松戸校まで約1937m

区画図:312001200414
  • 3,290万円
  • 千葉県松戸市松戸新田
  • 京成電鉄松戸線 松戸新田駅/徒歩9分
  • 119.08㎡/36.02坪
  • 60%(建ぺい率)
  • 200%(容積率)

京成電鉄松戸線「松戸新田」駅まで徒歩約9分2駅利用可能な好立地!小学校まで徒歩約10分

  • 建築条件なし
  • 更地
  • 角地
  • 南道路
  • 古家付き
  • 所有権あり
センチュリー21共栄土地

不動産の各種相談に経験豊富なスタッフが対応させていただきます。是非、創業50年を迎えるセンチュリー21 共栄土地 新八柱店にお問い合わせ下さい!

その他の情報

外観:312001186973 土地

Leaf プログレス松戸校まで約1960m

区画図:312001186973
  • 3,290万円
  • 千葉県松戸市松戸新田
  • 京成電鉄松戸線 松戸新田駅/徒歩9分
  • 119.08㎡/36.02坪
  • 60%(建ぺい率)
  • 200%(容積率)

■複数路線利用可■大型分譲地限定2区画■敷地面積約36坪~■建築条件なし

  • 建築条件なし
  • 更地
  • 角地
  • 南道路
  • 古家付き
  • 所有権あり
株式会社スターホームズ

住みたい人と住みたい家の確かな掛け橋。駐車場完備ですのでお車でもご来店いただけます。不動産を売りたい・買いたいなどのご相談、ご自宅のリフォームは当社へご相談ください。必ずお役に立ちます。

その他の情報

外観:312001197596 土地

Leaf プログレス松戸校まで約1912m

区画図:312001197596
  • 4,500万円
  • 千葉県松戸市上本郷
  • 京成電鉄松戸線 上本郷駅/徒歩7分
  • 188.51㎡/57.02坪
  • 50%(建ぺい率)
  • 100%(容積率)

上本郷駅から徒歩7分!角地!土地広々57.02坪!お好きなハウスメーカーで建築可!買い物便利な立地!

  • 建築条件なし
  • 更地
  • 角地
  • 南道路
  • 古家付き
  • 所有権あり
センチュリー21共栄土地

不動産の各種相談に経験豊富なスタッフが対応させていただきます。是非、創業50年を迎えるセンチュリー21 共栄土地 新八柱店にお問い合わせ下さい!

その他の情報

外観:312001184646 土地

【近い!】 Leaf プログレス松戸校まで約354m

区画図:312001184646
  • 9,500万円
  • 千葉県松戸市小根本
  • 常磐線 松戸駅/徒歩4分
  • 125.10㎡/37.84坪
  • 80%(建ぺい率)
  • 400%(容積率)

建築条件無し☆当社オリジナル天空の家シリーズも建築可能です!

  • 建築条件なし
  • 更地
  • 角地
  • 南道路
  • 古家付き
  • 所有権あり
ピタットハウス西船橋14号店 株式会社アイ・ユニットコーポレーション

新着物件・毎日更新中!Staffブログも好評中!当社はお客様と「笑顔」を分かち合えるように多数の物件情報とスピーディかつ丁寧なご対応である「レスポンス」の早さをモットーに日々ご対応させて頂いております

その他の情報

外観:312001200206 土地

【近い!】 Leaf プログレス松戸校まで約786m

区画図:312001200206
  • 3,990万円
  • 千葉県松戸市古ケ崎
  • 常磐線 松戸駅/徒歩13分
  • 120.62㎡/36.48坪
  • 60%(建ぺい率)
  • 200%(容積率)

JR常磐線「松戸」駅まで徒歩約13分小学校まで徒歩約6分とお子様の通学も安心!前面道路は6m以上

  • 建築条件なし
  • 更地
  • 角地
  • 南道路
  • 古家付き
  • 所有権あり
センチュリー21共栄土地

不動産の各種相談に経験豊富なスタッフが対応させていただきます。是非、創業50年を迎えるセンチュリー21 共栄土地 新八柱店にお問い合わせ下さい!

その他の情報

外観:312001197865 土地
区画図:312001197865
  • 12,000万円
  • 千葉県松戸市上本郷
  • 千代田・常磐緩行線 北松戸駅/徒歩5分
  • 424.69㎡/128.46坪
  • 60%(建ぺい率)
  • 200%(容積率)

420m2超の大型土地 建築条件なし アパート用地にも 駅5分の好立地 商業施設多数 閑静な住宅街

  • 建築条件なし
  • 更地
  • 角地
  • 南道路
  • 古家付き
  • 所有権あり
センチュリー21五大ホーム

地元一筋40年!地域からの信頼を積み重ねてきた当社にご相談ください!千葉県で理想の住まいを見つけるならセンチュリー21五大ホームへ是非お越し下さい!

その他の情報

外観:312001197838 土地

Leaf プログレス松戸校まで約1912m

区画図:312001197838
  • 4,850万円
  • 千葉県松戸市上本郷
  • 京成電鉄松戸線 上本郷駅/徒歩7分
  • 187.18㎡/56.62坪
  • 50%(建ぺい率)
  • 100%(容積率)

上本郷駅から徒歩7分!土地広々56.62坪!お好きなハウスメーカーで建築できます!買い物便利な立地!

  • 建築条件なし
  • 更地
  • 角地
  • 南道路
  • 古家付き
  • 所有権あり
センチュリー21共栄土地

不動産の各種相談に経験豊富なスタッフが対応させていただきます。是非、創業50年を迎えるセンチュリー21 共栄土地 新八柱店にお問い合わせ下さい!

その他の情報

外観:312001197837 土地

Leaf プログレス松戸校まで約1912m

区画図:312001197837
  • 4,400万円
  • 千葉県松戸市上本郷
  • 京成電鉄松戸線 上本郷駅/徒歩7分
  • 188.37㎡/56.98坪
  • 50%(建ぺい率)
  • 100%(容積率)

上本郷駅から徒歩7分!土地ひろびろ56.98坪!お好きなハウスメーカーで建築可!買い物便利な立地!

  • 建築条件なし
  • 更地
  • 角地
  • 南道路
  • 古家付き
  • 所有権あり
センチュリー21共栄土地

不動産の各種相談に経験豊富なスタッフが対応させていただきます。是非、創業50年を迎えるセンチュリー21 共栄土地 新八柱店にお問い合わせ下さい!

その他の情報

外観:312001197624 土地

【近い!】 Leaf プログレス松戸校まで約786m

区画図:312001197624
  • 3,790万円
  • 千葉県松戸市古ケ崎
  • 常磐線 松戸駅/徒歩13分
  • 133.39㎡/40.35坪
  • 60%(建ぺい率)
  • 200%(容積率)

JR常磐線「松戸」駅まで徒歩約13分小学校まで徒歩約6分とお子様の通学も安心!前面道路は6m以上

  • 建築条件なし
  • 更地
  • 角地
  • 南道路
  • 古家付き
  • 所有権あり
センチュリー21共栄土地

不動産の各種相談に経験豊富なスタッフが対応させていただきます。是非、創業50年を迎えるセンチュリー21 共栄土地 新八柱店にお問い合わせ下さい!

その他の情報

外観:312001105064 土地
区画図:312001105064
  • 4,850万円
  • 千葉県松戸市上本郷
  • 京成電鉄松戸線 上本郷駅/徒歩7分
  • 187.18㎡/56.62坪
  • 50%(建ぺい率)
  • 100%(容積率)

新京成線「上本郷」駅徒歩7分、JR常磐線「北松戸」駅徒歩13分。2路線利用可能で通勤通学に便利です。周辺環境良好!ぜひ一度ご見学ください。

  • 建築条件なし
  • 更地
  • 角地
  • 南道路
  • 古家付き
  • 所有権あり
ポラスグループ 株式会社中央住宅 ポラス住まいの情報館 松戸北営業所

埼玉県・千葉県・東京都。地域密着のポラスグループならではのサービスで購入も売却も安心してお任せください。常にお客様の立場で相談できる営業がお問い合わせをお待ちしております。

その他の情報

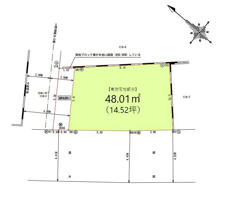
外観:312001208120 土地

【近い!】 Leaf プログレス松戸校まで約291m

区画図:312001208120
  • 3,790万円
  • 千葉県松戸市根本
  • 常磐線 松戸駅/徒歩8分
  • 48.01㎡/14.52坪
  • 80%(建ぺい率)
  • 300%(容積率)

松戸市で住まいをお探しのお客様は是非リバティーホームへ  当日や遅めの時間のご見学も調整可能です♪

  • 建築条件なし
  • 更地
  • 角地
  • 南道路
  • 古家付き
  • 所有権あり
株式会社Liberty

『自由で楽しい』不動産探しはリバティーホームにお任せ下さい♪

その他の情報

NO IMAGE 土地

Leaf プログレス松戸校まで約1185m

区画図:312001048631
  • 3,990万円
  • 千葉県松戸市松戸
  • 常磐線 松戸駅/徒歩15分
  • 117.31㎡/35.48坪
  • 80%(建ぺい率)
  • 240%(容積率)

■松戸駅徒歩15分■敷地面積約35坪■建築条件なし■生活、教育施設徒歩圏内

  • 建築条件なし
  • 更地
  • 角地
  • 南道路
  • 古家付き
  • 所有権あり
株式会社スターホームズ

住みたい人と住みたい家の確かな掛け橋。駐車場完備ですのでお車でもご来店いただけます。不動産を売りたい・買いたいなどのご相談、ご自宅のリフォームは当社へご相談ください。必ずお役に立ちます。

その他の情報

外観:312001206424 土地

Leaf プログレス松戸校まで約1687m

NO IMAGE
  • 3,400万円
  • 千葉県松戸市二十世紀が丘美野里町
  • 常磐線 松戸駅/バス 10分/二十世紀が丘市民センター 徒歩3分
  • 149.00㎡/45.07坪
  • 60%(建ぺい率)
  • 200%(容積率)

「家を建てたら何しよう?」。ワクワクが詰まった家づくり。家づくりは暮らしづくり。自分らしく、豊かに楽しく暮らすために、丁寧にかたちにしたい。そんなお気持ちに寄り添い、形にしていくお手伝いを致します!

  • 建築条件なし
  • 更地
  • 角地
  • 南道路
  • 古家付き
  • 所有権あり
株式会社東宝ハウス松戸

創業2年で570組のご成約を頂いております!皆さまの心地よい家探しをスタッフ全員でサポートします!!住宅ローンのこと、アフターサポートのこと、街のこと、、気になることは何でもご相談ください!!!

その他の情報

外観:312001078714 土地

Leaf プログレス松戸校まで約1937m

NO IMAGE
  • 3,490万円
  • 千葉県松戸市松戸新田
  • 京成電鉄松戸線 松戸新田駅/徒歩9分
  • 123.32㎡/37.3坪
  • 60%(建ぺい率)
  • 200%(容積率)

松戸新田駅、上本郷駅徒歩9分(約720m)の好立地なエリアに綺麗な区画の建築条件無し売地2区画!お買い物環境も良好、上下水道&都市ガスのライフラインも整っています!モデルプランのお問合せはお気軽に!

  • 建築条件なし
  • 更地
  • 角地
  • 南道路
  • 古家付き
  • 所有権あり
株式会社東宝ハウス松戸

創業2年で570組のご成約を頂いております!皆さまの心地よい家探しをスタッフ全員でサポートします!!住宅ローンのこと、アフターサポートのこと、街のこと、、気になることは何でもご相談ください!!!

その他の情報

NO IMAGE 土地

Leaf プログレス松戸校まで約1417m

区画図:312001214743
  • 3,990万円
  • 千葉県松戸市胡録台
  • 常磐線 松戸駅/徒歩19分
  • 108.15㎡/32.71坪
  • 60%(建ぺい率)
  • 200%(容積率)

松戸駅徒歩圏。敷地面積32坪超。小学校まで徒歩13分、中学校まで徒歩11分。スーパーも徒歩9分で生活利便性良好。建築条件なしの更地渡し。夢のマイホーム、自由設計で実現しませんか。

  • 建築条件なし
  • 更地
  • 角地
  • 南道路
  • 古家付き
  • 所有権あり
株式会社慶和住宅

市川駅徒歩3分!市川・本八幡の新築戸建て・中古戸建て・土地・マンションなどの住まい探しは当店にお任せ下さい。人気のKEIWA-TOWNシリーズを含む慶和売主物件も続々公開中です!

その他の情報

外観:312001160430 土地

Leaf プログレス松戸校まで約1258m

NO IMAGE
  • 3,950万円
  • 千葉県松戸市南花島2丁目
  • 常磐線 松戸駅/徒歩17分
  • 168.50㎡/50.97坪
  • 60%(建ぺい率)
  • 200%(容積率)

担当のアヤベです。建築条件に縛られないからこそ、理想の設計を思いのままに。松戸エリアの未公開売地は、利便性の高い3駅利用可能な好立地。仕事も子育ても、そして趣味も、すべてのバランスが整う新しい暮らしを

  • 建築条件なし
  • 更地
  • 角地
  • 南道路
  • 古家付き
  • 所有権あり
株式会社東宝ハウス松戸

創業2年で570組のご成約を頂いております!皆さまの心地よい家探しをスタッフ全員でサポートします!!住宅ローンのこと、アフターサポートのこと、街のこと、、気になることは何でもご相談ください!!!

その他の情報

外観:312001160395 土地

Leaf プログレス松戸校まで約1258m

NO IMAGE
  • 4,350万円
  • 千葉県松戸市南花島2丁目
  • 常磐線 松戸駅/徒歩17分
  • 142.16㎡/43坪
  • 60%(建ぺい率)
  • 200%(容積率)

担当のアヤベです。建築条件に縛られないからこそ、理想の設計を思いのままに。松戸エリアの未公開売地は、利便性の高い3駅利用可能な好立地。仕事も子育ても、そして趣味も、すべてのバランスが整う新しい暮らしを

  • 建築条件なし
  • 更地
  • 角地
  • 南道路
  • 古家付き
  • 所有権あり
株式会社東宝ハウス松戸

創業2年で570組のご成約を頂いております!皆さまの心地よい家探しをスタッフ全員でサポートします!!住宅ローンのこと、アフターサポートのこと、街のこと、、気になることは何でもご相談ください!!!

その他の情報

外観:312001103139 土地

Leaf プログレス松戸校まで約1416m

NO IMAGE
  • 4,000万円
  • 千葉県松戸市松戸
  • 常磐線 松戸駅/徒歩20分
  • 142.14㎡/42.99坪
  • 60%(建ぺい率)
  • 200%(容積率)

松戸駅が最寄りの嬉しい立地!敷地面積も40坪と広々した大きさが自慢です!建築条件もなく、お好きなハウスメーカーで建築が可能です!弊社でも建物プランをご紹介可能です!是非お気軽にご相談下さいませ。

  • 建築条件なし
  • 更地
  • 角地
  • 南道路
  • 古家付き
  • 所有権あり
株式会社東宝ハウス松戸

創業2年で570組のご成約を頂いております!皆さまの心地よい家探しをスタッフ全員でサポートします!!住宅ローンのこと、アフターサポートのこと、街のこと、、気になることは何でもご相談ください!!!

その他の情報

外観:312001218264 土地

Leaf プログレス松戸校まで約1418m

NO IMAGE
  • 3,990万円
  • 千葉県松戸市胡録台
  • 常磐線 松戸駅/徒歩19分
  • 108.15㎡/32.71坪
  • 60%(建ぺい率)
  • 200%(容積率)

担当のシムラです。ハザードを回避した安心の松戸駅エリアに、自由設計という選択肢。建築条件なしだからこそ叶う、理想の住まいづくり。街の利便性も、暮らしの安全性も、どちらも妥協しない方へ。

  • 建築条件なし
  • 更地
  • 角地
  • 南道路
  • 古家付き
  • 所有権あり
株式会社東宝ハウス松戸

創業2年で570組のご成約を頂いております!皆さまの心地よい家探しをスタッフ全員でサポートします!!住宅ローンのこと、アフターサポートのこと、街のこと、、気になることは何でもご相談ください!!!

その他の情報

外観:312001165052 土地

Leaf プログレス松戸校まで約1841m

区画図:312001165052
  • 1,790万円
  • 千葉県松戸市上矢切
  • 常磐線 松戸駅/徒歩30分
  • 117.93㎡/35.67坪
  • 60%(建ぺい率)
  • 200%(容積率)

自由設計でお好きな間取りで建築出来ちゃいます♪全8区画が立ち並ぶきれいな街並みになりますので同じ世代の方も多くて安心です。その他の区画も販売中ですのでお気軽にお問い合わせください。

  • 建築条件なし
  • 更地
  • 角地
  • 南道路
  • 古家付き
  • 所有権あり
株式会社フロークス

弊社では柏市を中心に幅広くご対応できます♪新築戸建てであれば仲介手数料最大0円!4000万円の物件なら約120万円もお得に買えちゃえます!弊社掲載物件以外でもご対応できますので是非ご相談ください。

その他の情報

外観:312001156489 土地

Leaf プログレス松戸校まで約1852m

区画図:312001156489
  • 1,790万円
  • 千葉県松戸市上矢切
  • 常磐線 松戸駅/徒歩30分
  • 117.78㎡/35.62坪
  • 50%(建ぺい率)
  • 100%(容積率)

自由設計でお好きな間取りで建築出来ちゃいます♪全8区画が立ち並ぶきれいな街並みになりますので同じ世代の方も多くて安心です。その他の区画も販売中ですのでお気軽にお問い合わせください。

  • 建築条件なし
  • 更地
  • 角地
  • 南道路
  • 古家付き
  • 所有権あり
株式会社フロークス

弊社では柏市を中心に幅広くご対応できます♪新築戸建てであれば仲介手数料最大0円!4000万円の物件なら約120万円もお得に買えちゃえます!弊社掲載物件以外でもご対応できますので是非ご相談ください。

その他の情報

NO IMAGE 土地
区画図:312001204792
  • 1,480万円
  • 千葉県松戸市松戸
  • 常磐線 松戸駅/徒歩14分
  • 94.37㎡/28.54坪
  • 80%(建ぺい率)
  • 200%(容積率)

◆JR常磐線「松戸」駅徒歩14分♪ ◆建築条件ありません!

  • 建築条件なし
  • 更地
  • 角地
  • 南道路
  • 古家付き
  • 所有権あり
ポラスグループ 株式会社中央住宅 ポラス住まいの情報館 松戸営業所

埼玉県・千葉県・東京都。地域密着のポラスグループならではのサービスで購入も売却も安心してお任せください。常にお客様の立場で相談できる営業がお問い合わせをお待ちしております。

その他の情報

外観:312001123901 土地
区画図:312001123901
  • 1,380万円
  • 千葉県松戸市松戸新田
  • 京成電鉄松戸線 上本郷駅/徒歩7分
  • 80.95㎡/24.48坪
  • 50%(建ぺい率)
  • 100%(容積率)
  • 建築条件なし
  • 更地
  • 角地
  • 南道路
  • 古家付き
  • 所有権あり
三井住友トラスト不動産株式会社 柏センター

三井住友信託銀行と同じグループの不動産仲介会社です。全国に広がるネットワークと、豊富な知識と経験でお客様のご要望にお応えします。

その他の情報

外観:312001184897 土地

Leaf プログレス松戸校まで約1369m

区画図:312001184897
  • 4,500万円
  • 千葉県松戸市松戸新田
  • 常磐線 松戸駅/徒歩20分
  • 432.00㎡/130.67坪
  • 60%(建ぺい率)
  • 200%(容積率)

■2路線2駅利用可 ■高台につき日当り良好! ■コンビニ・スーパー、飲食店等徒歩10分圏内 ■旧三井不動産分譲地 ■ゆとりある敷地で注文住宅建築用地としてご利用いただけます

  • 建築条件なし
  • 更地
  • 角地
  • 南道路
  • 古家付き
  • 所有権あり
株式会社アービック建設 ソリューション営業部

半世紀以上、地元で地主様の資産運用をサポートしながら培ってきた「都心に近い土地柄ならでは」のノウハウで、地域の皆様へ貢献してまいります。大好評の“30分ですっきり個別相談会”も実施中。

その他の情報

外観:312001099882 土地

Leaf プログレス松戸校まで約1176m

区画図:312001099882
  • 4,900万円
  • 千葉県松戸市小山
  • 京成電鉄松戸線 松戸駅/徒歩20分
  • 350.15㎡/105.92坪
  • 60%(建ぺい率)
  • 200%(容積率)

■350平米以上の広大なお土地■建築条件無し■松戸駅まで徒歩約20分■更地■

  • 建築条件なし
  • 更地
  • 角地
  • 南道路
  • 古家付き
  • 所有権あり
株式会社不動産SHOPナカジツ 松戸水戸街道店

不動産購入のご相談はもちろん、住宅ローンやリフォームなど不動産に関することは何でもご相談ください。

その他の情報

NO IMAGE 土地
区画図:312001201739
  • 4,370万円
  • 千葉県松戸市岩瀬
  • 常磐線 松戸駅/徒歩15分
  • 114.08㎡/34.5坪
  • 60%(建ぺい率)
  • 200%(容積率)
  • 建築条件なし
  • 更地
  • 角地
  • 南道路
  • 古家付き
  • 所有権あり
三井住友トラスト不動産株式会社 新宿センター

三井住友トラストグループの三井住友トラスト不動産です。全国に広がるネットワークと、豊富な知識と経験でお客様のご要望にお応えします。

その他の情報

1ページ目(2ページ中) 次へ
この条件で新着メールを受取る
この検索条件を保存する

松戸市の物件も見てみませんか?

現在のページで希望の物件が見つからなければエリアから探してみてもいいかもしれません。

松戸市の物件を見る

※Leaf プログレス松戸校までの直線距離を表示しています。道路距離ではありませんのでご了承ください。

追加が完了しました。

現在00件保存されています。(最大5件)

保存した条件一覧を見る

現在00件保存されています。

残り00件追加することができます。

お気に入り物件一覧を見る

間隔を空けてお試しください。

問合せが未完了の物件

条件を変更
チェックした物件をまとめて 資料請求(無料) お気に入りに追加