石井病院(伊勢崎市)近くの土地・宅地・分譲地の購入情報

石井病院(伊勢崎市)近くの土地・宅地・分譲地の購入情報をご覧いただけます。

8

↓ チェックした物件をまとめてお問い合わせ

外観:310000086694 土地

石井病院まで約1616m

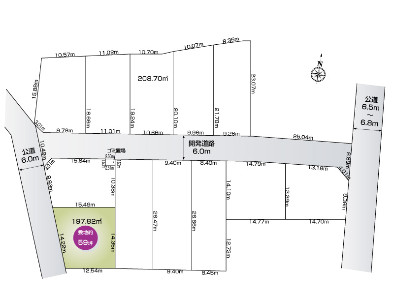
区画図:310000086694
  • 1,180万円
  • 群馬県伊勢崎市波志江町
  • 両毛線 伊勢崎駅/徒歩32分
  • 262.94㎡/79.53坪
  • 60%(建ぺい率)
  • 200%(容積率)

■建築条件無し■敷地約79.53坪

  • 建築条件なし
  • 更地
  • 角地
  • 南道路
  • 古家付き
  • 所有権あり
センチュリー21ゼクストプラン

■不動産購入は宅地建物取引士が担当する当店にお任せください。■他社が掲載している物件もまとめてご紹介可能です。■勤続年数1年未満・キャッシング、車ローンのおまとめ等、住宅ローンのご相談賜ります

その他の情報

NO IMAGE 土地

石井病院まで約1449m

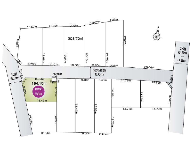
区画図:310000087188
  • 8,000万円
  • 群馬県伊勢崎市太田町
  • 両毛線 伊勢崎駅/徒歩9分
  • 1831.18㎡/553.93坪
  • 60%(建ぺい率)
  • 200%(容積率)
  • 建築条件なし
  • 更地
  • 角地
  • 南道路
  • 古家付き
  • 所有権あり
シャーメゾンショップ 株式会社エステート

お部屋探しは当店にお任せ下さい。セレクトした最新賃貸情報をご紹介いたします。

その他の情報

外観:310000087161 土地

石井病院まで約1278m

NO IMAGE
  • 3,150万円
  • 群馬県伊勢崎市安堀町
  • 両毛線 伊勢崎駅/徒歩24分
  • 931.66㎡/281.82坪
  • 70%(建ぺい率)
  • 100%(容積率)
  • 建築条件なし
  • 更地
  • 角地
  • 南道路
  • 古家付き
  • 所有権あり
シャーメゾンショップ 株式会社エステート

お部屋探しは当店にお任せ下さい。セレクトした最新賃貸情報をご紹介いたします。

その他の情報

外観:310000087191 土地

石井病院まで約1229m

NO IMAGE
  • 3,860万円
  • 群馬県伊勢崎市安堀町
  • 両毛線 伊勢崎駅/徒歩26分
  • 1501.42㎡/454.17坪
  • 70%(建ぺい率)
  • 200%(容積率)
  • 建築条件なし
  • 更地
  • 角地
  • 南道路
  • 古家付き
  • 所有権あり
シャーメゾンショップ 株式会社エステート

お部屋探しは当店にお任せ下さい。セレクトした最新賃貸情報をご紹介いたします。

その他の情報

1ページ目(1ページ中)
この条件で新着メールを受取る
この検索条件を保存する

伊勢崎市の物件も見てみませんか?

現在のページで希望の物件が見つからなければエリアから探してみてもいいかもしれません。

伊勢崎市の物件を見る

※石井病院までの直線距離を表示しています。道路距離ではありませんのでご了承ください。

追加が完了しました。

現在00件保存されています。(最大5件)

保存した条件一覧を見る

現在00件保存されています。

残り00件追加することができます。

お気に入り物件一覧を見る

間隔を空けてお試しください。

問合せが未完了の物件

条件を変更
チェックした物件をまとめて 資料請求(無料) お気に入りに追加