公文式 曽根小西(高砂市)近くの土地・宅地・分譲地の購入情報

公文式 曽根小西(高砂市)近くの土地・宅地・分譲地の購入情報をご覧いただけます。

82

↓ チェックした物件をまとめてお問い合わせ

外観:328000489846 土地

【近い!】 公文式 曽根小西まで約565m

区画図:328000489846
  • 1,280万円
  • 兵庫県高砂市曽根町
  • 山陽電気鉄道本線 山陽曽根駅/徒歩7分
  • 234.41㎡/70.9坪
  • 60%(建ぺい率)
  • 200%(容積率)

・建築条件なし ・敷地70坪以上 ・日当たり良好 ・閑静な住宅地 ・曽根小学校、松陽中学校

  • 建築条件なし
  • 更地
  • 角地
  • 南道路
  • 古家付き
  • 所有権あり
有限会社輝広

有限会社輝広(きこう)は加古川市を中心に明石市、高砂市、加古郡、姫路市のエリアで新築戸建・中古戸建・中古マンション・土地の売買・仲介・リフォーム・自社買取・売却を主な業務としている地元密着の会社です。

その他の情報

外観:328000167345 土地

【近い!】 公文式 曽根小西まで約564m

区画図:328000167345
  • 1,280万円
  • 兵庫県高砂市曽根町
  • 山陽電気鉄道本線 山陽曽根駅/徒歩7分
  • 234.41㎡/70.9坪
  • 60%(建ぺい率)
  • 200%(容積率)

建築条件なし、お好きなハウスメーカーで建築できます。日当たり良好。閑静な住宅街です。

  • 建築条件なし
  • 更地
  • 角地
  • 南道路
  • 古家付き
  • 所有権あり
センチュリー21不動産流通センター

弊社はセンチュリー21の関西1号店!サービス・スピード対応地域1番を掲げ、お客様の立場にたった提案を心掛けています。いい物件は、センチュリー21不動産流通センターにあります(^^)

その他の情報

外観:328000565815 土地

公文式 曽根小西まで約1418m

区画図:328000565815
  • 1,200万円
  • 兵庫県高砂市伊保崎4丁目
  • 山陽電気鉄道本線 伊保駅/徒歩10分
  • 202.69㎡/61.31坪
  • 60%(建ぺい率)
  • 200%(容積率)

・敷地約60坪 ・山陽電鉄伊保駅徒歩10分 ・解体更地渡し ・東南角地 ・伊保小学校、竜山中学校

  • 建築条件なし
  • 更地
  • 角地
  • 南道路
  • 古家付き
  • 所有権あり
有限会社輝広

有限会社輝広(きこう)は加古川市を中心に明石市、高砂市、加古郡、姫路市のエリアで新築戸建・中古戸建・中古マンション・土地の売買・仲介・リフォーム・自社買取・売却を主な業務としている地元密着の会社です。

その他の情報

外観:328000252606 土地

公文式 曽根小西まで約1948m

区画図:328000252606
  • 1,476万円
  • 兵庫県高砂市阿弥陀町阿弥陀
  • 山陽本線 曽根駅/徒歩9分
  • 157.42㎡/47.61坪
  • 60%(建ぺい率)
  • 200%(容積率)

・建築条件なし ・JR曽根駅徒歩9分 ・全4区画47~54坪 ・阿弥陀小学校、鹿島中学校

  • 建築条件なし
  • 更地
  • 角地
  • 南道路
  • 古家付き
  • 所有権あり
有限会社輝広

有限会社輝広(きこう)は加古川市を中心に明石市、高砂市、加古郡、姫路市のエリアで新築戸建・中古戸建・中古マンション・土地の売買・仲介・リフォーム・自社買取・売却を主な業務としている地元密着の会社です。

その他の情報

外観:328000549031 土地

公文式 曽根小西まで約1706m

区画図:328000549031
  • 1,480万円
  • 兵庫県姫路市大塩町
  • 山陽電気鉄道本線 大塩駅/徒歩8分
  • 327.72㎡/99.13坪
  • 60%(建ぺい率)
  • 160%(容積率)
  • 建築条件なし
  • 更地
  • 角地
  • 南道路
  • 古家付き
  • 所有権あり
株式会社くらすONE

くらすONEは一級建築士、宅地建物取引士、専属デザイナー、各分野のプロが在籍。不動産仲介をはじめ注文住宅やリフォームにも特化しているお店です♪住まいに関するご相談はくらすONEまでご相談くださi!

その他の情報

外観:328000480084 土地

公文式 曽根小西まで約1893m

区画図:328000480084
  • 1,200万円
  • 兵庫県高砂市北浜町北脇
  • 山陽電気鉄道本線 大塩駅/徒歩13分
  • 186.61㎡/56.44坪
  • 60%(建ぺい率)
  • 200%(容積率)

・敷地約56.4坪 ・建築条件なし ・山陽電鉄大塩駅徒歩13分 ・前面道路6m ・北浜小、鹿島中

  • 建築条件なし
  • 更地
  • 角地
  • 南道路
  • 古家付き
  • 所有権あり
有限会社輝広

有限会社輝広(きこう)は加古川市を中心に明石市、高砂市、加古郡、姫路市のエリアで新築戸建・中古戸建・中古マンション・土地の売買・仲介・リフォーム・自社買取・売却を主な業務としている地元密着の会社です。

その他の情報

外観:328000552510 土地

公文式 曽根小西まで約1967m

区画図:328000552510
  • 1,500万円
  • 兵庫県姫路市的形町的形
  • 山陽電気鉄道本線 的形駅/徒歩8分
  • 713.00㎡/215.68坪
  • 60%(建ぺい率)
  • 150%(容積率)
  • 建築条件なし
  • 更地
  • 角地
  • 南道路
  • 古家付き
  • 所有権あり
株式会社くらすONE

くらすONEは一級建築士、宅地建物取引士、専属デザイナー、各分野のプロが在籍。不動産仲介をはじめ注文住宅やリフォームにも特化しているお店です♪住まいに関するご相談はくらすONEまでご相談くださi!

その他の情報

外観:328000488938 土地

公文式 曽根小西まで約1453m

区画図:328000488938
  • 1,250万円
  • 兵庫県姫路市大塩町
  • 山陽電気鉄道本線 大塩駅/徒歩9分
  • 286.17㎡/86.56坪
  • 60%(建ぺい率)
  • 150%(容積率)

・ゆったりとした約86坪の土地です。・南向きの整形地でプランも入れやすく、陽当りも良好です。・建築条件はございません。お好きなハウスメーカー様での建築が可能です。

  • 建築条件なし
  • 更地
  • 角地
  • 南道路
  • 古家付き
  • 所有権あり
SHOWA GROUP株式会社 住まいの広場

中古マンションや住宅・土地などのお得な不動産情報は住まいの広場にお任せ下さい!!

その他の情報

外観:328000479213 土地

公文式 曽根小西まで約1073m

区画図:328000479213
  • 990万円
  • 兵庫県高砂市伊保崎3丁目
  • 山陽電気鉄道本線 山陽曽根駅/徒歩14分
  • 181.82㎡/55坪
  • 60%(建ぺい率)
  • 200%(容積率)

・山陽電鉄山陽曽根駅まで徒歩約14分 ・建築条件なし ・更地 ・分譲地内 ・伊保南小・伊保小選択可

  • 建築条件なし
  • 更地
  • 角地
  • 南道路
  • 古家付き
  • 所有権あり
有限会社輝広

有限会社輝広(きこう)は加古川市を中心に明石市、高砂市、加古郡、姫路市のエリアで新築戸建・中古戸建・中古マンション・土地の売買・仲介・リフォーム・自社買取・売却を主な業務としている地元密着の会社です。

その他の情報

外観:328000607487 土地

【近い!】 公文式 曽根小西まで約860m

区画図:328000607487
  • 1,098万円
  • 兵庫県姫路市大塩町
  • 山陽電気鉄道本線 大塩駅/徒歩9分
  • 277.32㎡/83.88坪
  • 60%(建ぺい率)
  • 200%(容積率)

姫路市の不動産ならお任せください!中地ICより南に車で約4分!れくすむ姫路店まで!

  • 建築条件なし
  • 更地
  • 角地
  • 南道路
  • 古家付き
  • 所有権あり
株式会社Sun Climb れくすむ姫路店

「すまいをレクチャーする町の不動産屋」をコンセプトに1人1人のお客様にとって最善の選択ができるよう「購入」「売却」「賃貸」「賃貸管理」のサポートをさせて頂いております!

その他の情報

外観:328000549344 土地

【近い!】 公文式 曽根小西まで約861m

区画図:328000549344
  • 1,098万円
  • 兵庫県姫路市大塩町
  • 山陽電気鉄道本線 大塩駅/徒歩8分
  • 277.32㎡/83.88坪
  • 60%(建ぺい率)
  • 200%(容積率)
  • 建築条件なし
  • 更地
  • 角地
  • 南道路
  • 古家付き
  • 所有権あり
株式会社くらすONE

くらすONEは一級建築士、宅地建物取引士、専属デザイナー、各分野のプロが在籍。不動産仲介をはじめ注文住宅やリフォームにも特化しているお店です♪住まいに関するご相談はくらすONEまでご相談くださi!

その他の情報

外観:328000569021 土地

公文式 曽根小西まで約1490m

区画図:328000569021
  • 1,480万円
  • 兵庫県姫路市大塩町
  • 山陽電気鉄道本線 大塩駅/徒歩12分
  • 326.00㎡/98.61坪
  • 60%(建ぺい率)
  • 150%(容積率)

≪建築条件なし!≫■敷地面積広々98坪■整形地■閑静な住宅街■小学校まで徒歩12分

  • 建築条件なし
  • 更地
  • 角地
  • 南道路
  • 古家付き
  • 所有権あり
ハウスドゥ 中地南 株式会社8c

不動産の購入も売却も人生の中で幾度もあるようなイベントではありません。ハウスドゥ 中地南ではお客様により良い御決断をして頂くために全てのプランをご提案させて頂きます!

その他の情報

外観:328000479208 土地

公文式 曽根小西まで約1073m

区画図:328000479208
  • 1,076万円
  • 兵庫県高砂市伊保崎3丁目
  • 山陽電気鉄道本線 山陽曽根駅/徒歩14分
  • 197.57㎡/59.76坪
  • 60%(建ぺい率)
  • 200%(容積率)

・山陽電鉄山陽曽根駅まで徒歩約14分 ・建築条件なし ・更地 ・分譲地内 ・伊保南小・伊保小選択可

  • 建築条件なし
  • 更地
  • 角地
  • 南道路
  • 古家付き
  • 所有権あり
有限会社輝広

有限会社輝広(きこう)は加古川市を中心に明石市、高砂市、加古郡、姫路市のエリアで新築戸建・中古戸建・中古マンション・土地の売買・仲介・リフォーム・自社買取・売却を主な業務としている地元密着の会社です。

その他の情報

外観:328000479214 土地

公文式 曽根小西まで約1073m

区画図:328000479214
  • 1,062万円
  • 兵庫県高砂市伊保崎3丁目
  • 山陽電気鉄道本線 山陽曽根駅/徒歩14分
  • 175.44㎡/53.07坪
  • 60%(建ぺい率)
  • 200%(容積率)

・山陽電鉄山陽曽根駅まで徒歩約14分 ・建築条件なし ・更地 ・分譲地内 ・伊保南小・伊保小選択可

  • 建築条件なし
  • 更地
  • 角地
  • 南道路
  • 古家付き
  • 所有権あり
有限会社輝広

有限会社輝広(きこう)は加古川市を中心に明石市、高砂市、加古郡、姫路市のエリアで新築戸建・中古戸建・中古マンション・土地の売買・仲介・リフォーム・自社買取・売却を主な業務としている地元密着の会社です。

その他の情報

外観:328000611538 土地

公文式 曽根小西まで約1358m

区画図:328000611538
  • 1,048万円
  • 兵庫県高砂市梅井1丁目
  • 山陽電気鉄道本線 伊保駅/徒歩7分
  • 147.67㎡/44.67坪
  • 60%(建ぺい率)
  • 200%(容積率)

≪建築条件なし分譲地≫ ◇山電「伊保」駅まで徒歩7分! ◇日々の買い物に便利なマルアイ高砂店まで徒歩11分 ◇伊保南小学校まで徒歩10分! ◇全区画43坪以上!駐車場や庭も確保しやすい

  • 建築条件なし
  • 更地
  • 角地
  • 南道路
  • 古家付き
  • 所有権あり
株式会社赤鹿地所

地域に根ざし、姫路市で60余年、「あなたのニーズにお応えします」をモットーに、 安心と実績で不動産買取、売買仲介、賃貸仲介、賃貸管理等、すべての不動産に関するご相談に応じております。

その他の情報

外観:328000525887 土地

【近い!】 公文式 曽根小西まで約451m

区画図:328000525887
  • 1,965万円
  • 兵庫県高砂市曽根町
  • 山陽電気鉄道本線 山陽曽根駅/徒歩9分
  • 240.53㎡/72.76坪
  • 60%(建ぺい率)
  • 200%(容積率)

・山陽電鉄山陽曽根駅徒歩9分 ・建築条件なし ・敷地約72.76坪 ・曽根小学校・松陽中学校

  • 建築条件なし
  • 更地
  • 角地
  • 南道路
  • 古家付き
  • 所有権あり
有限会社輝広

有限会社輝広(きこう)は加古川市を中心に明石市、高砂市、加古郡、姫路市のエリアで新築戸建・中古戸建・中古マンション・土地の売買・仲介・リフォーム・自社買取・売却を主な業務としている地元密着の会社です。

その他の情報

外観:328000527806 土地

【近い!】 公文式 曽根小西まで約456m

区画図:328000527806
  • 974万円
  • 兵庫県高砂市曽根町
  • 山陽電気鉄道本線 山陽曽根駅/徒歩8分
  • 140.06㎡/42.36坪
  • 60%(建ぺい率)
  • 200%(容積率)

・建築条件なし ・山陽電鉄山陽曽根駅徒歩8分 ・閑静な住宅地 ・前面道路6m ・曽根小、松陽中

  • 建築条件なし
  • 更地
  • 角地
  • 南道路
  • 古家付き
  • 所有権あり
有限会社輝広

有限会社輝広(きこう)は加古川市を中心に明石市、高砂市、加古郡、姫路市のエリアで新築戸建・中古戸建・中古マンション・土地の売買・仲介・リフォーム・自社買取・売却を主な業務としている地元密着の会社です。

その他の情報

外観:328000489875 土地

公文式 曽根小西まで約1073m

区画図:328000489875
  • 955万円
  • 兵庫県高砂市伊保崎3丁目
  • 山陽電気鉄道本線 山陽曽根駅/徒歩14分
  • 175.21㎡/53坪
  • 60%(建ぺい率)
  • 200%(容積率)

・山陽電鉄山陽曽根駅まで徒歩約14分 ・建築条件なし ・更地 ・分譲地内 ・伊保南小・伊保小選択可

  • 建築条件なし
  • 更地
  • 角地
  • 南道路
  • 古家付き
  • 所有権あり
有限会社輝広

有限会社輝広(きこう)は加古川市を中心に明石市、高砂市、加古郡、姫路市のエリアで新築戸建・中古戸建・中古マンション・土地の売買・仲介・リフォーム・自社買取・売却を主な業務としている地元密着の会社です。

その他の情報

外観:328000543450 土地

【近い!】 公文式 曽根小西まで約844m

区画図:328000543450
  • 780万円
  • 兵庫県高砂市伊保崎2丁目
  • 山陽電気鉄道本線 山陽曽根駅/徒歩10分
  • 224.66㎡/67.95坪
  • 60%(建ぺい率)
  • 200%(容積率)

・敷地約67.9坪 ・山陽電鉄山陽曽根駅徒歩10分 ・建築条件なし ・伊保南小学校、松陽中学校

  • 建築条件なし
  • 更地
  • 角地
  • 南道路
  • 古家付き
  • 所有権あり
有限会社輝広

有限会社輝広(きこう)は加古川市を中心に明石市、高砂市、加古郡、姫路市のエリアで新築戸建・中古戸建・中古マンション・土地の売買・仲介・リフォーム・自社買取・売却を主な業務としている地元密着の会社です。

その他の情報

外観:328000543338 土地

【近い!】 公文式 曽根小西まで約841m

区画図:328000543338
  • 780万円
  • 兵庫県高砂市伊保崎2丁目
  • 山陽電気鉄道本線 山陽曽根駅/徒歩10分
  • 224.66㎡/67.95坪
  • 60%(建ぺい率)
  • 200%(容積率)

◇建築条件なし、お好きなハウスメーカーで建築できます◇敷地面積約67坪の整形地◇山陽曽根駅徒歩10分

  • 建築条件なし
  • 更地
  • 角地
  • 南道路
  • 古家付き
  • 所有権あり
センチュリー21不動産流通センター

弊社はセンチュリー21の関西1号店!サービス・スピード対応地域1番を掲げ、お客様の立場にたった提案を心掛けています。いい物件は、センチュリー21不動産流通センターにあります(^^)

その他の情報

外観:328000479211 土地

公文式 曽根小西まで約1073m

区画図:328000479211
  • 900万円
  • 兵庫県高砂市伊保崎3丁目
  • 山陽電気鉄道本線 山陽曽根駅/徒歩14分
  • 165.29㎡/50坪
  • 60%(建ぺい率)
  • 200%(容積率)

・山陽電鉄山陽曽根駅まで徒歩約14分 ・建築条件なし ・更地 ・分譲地内 ・伊保南小・伊保小選択可

  • 建築条件なし
  • 更地
  • 角地
  • 南道路
  • 古家付き
  • 所有権あり
有限会社輝広

有限会社輝広(きこう)は加古川市を中心に明石市、高砂市、加古郡、姫路市のエリアで新築戸建・中古戸建・中古マンション・土地の売買・仲介・リフォーム・自社買取・売却を主な業務としている地元密着の会社です。

その他の情報

外観:328000479209 土地

公文式 曽根小西まで約1073m

区画図:328000479209
  • 899万円
  • 兵庫県高砂市伊保崎3丁目
  • 山陽電気鉄道本線 山陽曽根駅/徒歩14分
  • 165.08㎡/49.93坪
  • 60%(建ぺい率)
  • 200%(容積率)

・山陽電鉄山陽曽根駅まで徒歩約14分 ・建築条件なし ・更地 ・分譲地内 ・伊保南小・伊保小選択可

  • 建築条件なし
  • 更地
  • 角地
  • 南道路
  • 古家付き
  • 所有権あり
有限会社輝広

有限会社輝広(きこう)は加古川市を中心に明石市、高砂市、加古郡、姫路市のエリアで新築戸建・中古戸建・中古マンション・土地の売買・仲介・リフォーム・自社買取・売却を主な業務としている地元密着の会社です。

その他の情報

NO IMAGE 土地

【近い!】 公文式 曽根小西まで約524m

区画図:328000482918
  • 1,280万円
  • 兵庫県高砂市曽根町
  • 山陽電気鉄道本線 山陽曽根駅/徒歩7分
  • 234.41㎡/70.9坪
  • 60%(建ぺい率)
  • 200%(容積率)
  • 建築条件なし
  • 更地
  • 角地
  • 南道路
  • 古家付き
  • 所有権あり
ハウスドゥ 東加古川駅南 有限会社藤川組

私共ハウスドゥ東加古川駅南店は加古川市を中心に、高砂市、加古郡のエリアで新築戸建・中古戸建・中古マンション・土地の売買・仲介・リフォーム提案・自社買取・売却を主な業務としている地元密着の会社です。

その他の情報

外観:328000545707 土地

公文式 曽根小西まで約1882m

区画図:328000545707
  • 893万円
  • 兵庫県高砂市北浜町北脇
  • 山陽電気鉄道本線 大塩駅/徒歩10分
  • 147.62㎡/44.65坪
  • 60%(建ぺい率)
  • 150%(容積率)
  • 建築条件なし
  • 更地
  • 角地
  • 南道路
  • 古家付き
  • 所有権あり
住宅流通サービス株式会社

豊富な物件量(新築戸建、中古戸建、中古マンション、売土地)で皆様のお探しの物件が見つかります。不動産の売却・住宅ローン・リフォームなども取り扱っております。

その他の情報

外観:328000611611 土地

公文式 曽根小西まで約1533m

区画図:328000611611
  • 990万円
  • 兵庫県高砂市伊保崎南
  • 山陽電気鉄道本線 伊保駅/徒歩5分
  • 186.68㎡/56.47坪
  • 60%(建ぺい率)
  • 150%(容積率)

≪建築条件無し・お好きなハウスメーカーで建築可≫ ◇敷地面積約56坪で広々 ◇山電 伊保駅まで徒歩5分 ◇閑静な住宅地 ◇スーパーまで徒歩10分 ◇売主負担にて解体更地渡し

  • 建築条件なし
  • 更地
  • 角地
  • 南道路
  • 古家付き
  • 所有権あり
株式会社赤鹿地所

地域に根ざし、姫路市で60余年、「あなたのニーズにお応えします」をモットーに、 安心と実績で不動産買取、売買仲介、賃貸仲介、賃貸管理等、すべての不動産に関するご相談に応じております。

その他の情報

外観:328000252605 土地

公文式 曽根小西まで約1948m

区画図:328000252605
  • 1,700万円
  • 兵庫県高砂市阿弥陀町阿弥陀
  • 山陽本線 曽根駅/徒歩9分
  • 181.25㎡/54.82坪
  • 60%(建ぺい率)
  • 200%(容積率)

・建築条件なし ・JR曽根駅徒歩9分 ・全4区画47~54坪 ・阿弥陀小学校、鹿島中学校

  • 建築条件なし
  • 更地
  • 角地
  • 南道路
  • 古家付き
  • 所有権あり
有限会社輝広

有限会社輝広(きこう)は加古川市を中心に明石市、高砂市、加古郡、姫路市のエリアで新築戸建・中古戸建・中古マンション・土地の売買・仲介・リフォーム・自社買取・売却を主な業務としている地元密着の会社です。

その他の情報

外観:328000479210 土地

公文式 曽根小西まで約1073m

区画図:328000479210
  • 855万円
  • 兵庫県高砂市伊保崎3丁目
  • 山陽電気鉄道本線 山陽曽根駅/徒歩14分
  • 156.88㎡/47.45坪
  • 60%(建ぺい率)
  • 200%(容積率)

・山陽電鉄山陽曽根駅まで徒歩約14分 ・建築条件なし ・更地 ・分譲地内 ・伊保南小・伊保小選択可

  • 建築条件なし
  • 更地
  • 角地
  • 南道路
  • 古家付き
  • 所有権あり
有限会社輝広

有限会社輝広(きこう)は加古川市を中心に明石市、高砂市、加古郡、姫路市のエリアで新築戸建・中古戸建・中古マンション・土地の売買・仲介・リフォーム・自社買取・売却を主な業務としている地元密着の会社です。

その他の情報

外観:328000391428 土地

公文式 曽根小西まで約1497m

区画図:328000391428
  • 850万円
  • 兵庫県高砂市伊保崎5丁目
  • 山陽電気鉄道本線 伊保駅/徒歩12分
  • 165.04㎡/49.92坪
  • 60%(建ぺい率)
  • 200%(容積率)

・建築条件なし ・山陽電鉄伊保駅徒歩12分 ・敷地約50坪 ・幹線道路すぐ ・伊保小学校、竜山中学校

  • 建築条件なし
  • 更地
  • 角地
  • 南道路
  • 古家付き
  • 所有権あり
有限会社輝広

有限会社輝広(きこう)は加古川市を中心に明石市、高砂市、加古郡、姫路市のエリアで新築戸建・中古戸建・中古マンション・土地の売買・仲介・リフォーム・自社買取・売却を主な業務としている地元密着の会社です。

その他の情報

外観:328000489858 土地

公文式 曽根小西まで約1337m

区画図:328000489858
  • 832万円
  • 兵庫県高砂市伊保崎1丁目
  • 山陽電気鉄道本線 伊保駅/徒歩11分
  • 144.80㎡/43.8坪
  • 60%(建ぺい率)
  • 200%(容積率)

・建築条件なし ・敷地約43.8坪 ・現況更地 ・伊保小学校、竜山中学校

  • 建築条件なし
  • 更地
  • 角地
  • 南道路
  • 古家付き
  • 所有権あり
有限会社輝広

有限会社輝広(きこう)は加古川市を中心に明石市、高砂市、加古郡、姫路市のエリアで新築戸建・中古戸建・中古マンション・土地の売買・仲介・リフォーム・自社買取・売却を主な業務としている地元密着の会社です。

その他の情報

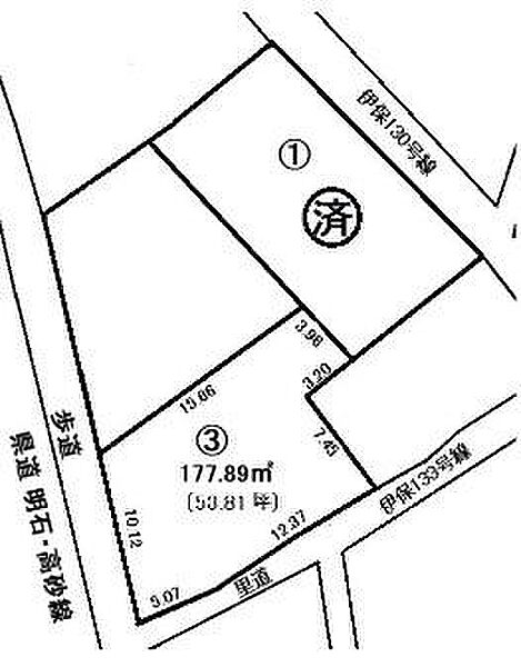
NO IMAGE 土地

公文式 曽根小西まで約1565m

区画図:328000165810
  • 1,345万円
  • 兵庫県高砂市伊保3丁目
  • 山陽電気鉄道本線 伊保駅/徒歩10分
  • 177.89㎡/53.81坪
  • 60%(建ぺい率)
  • 200%(容積率)

◇建築条件なし、お好きなハウスメーカーで建築できます◇山陽電鉄「伊保」駅徒歩10分

  • 建築条件なし
  • 更地
  • 角地
  • 南道路
  • 古家付き
  • 所有権あり
センチュリー21不動産流通センター

弊社はセンチュリー21の関西1号店!サービス・スピード対応地域1番を掲げ、お客様の立場にたった提案を心掛けています。いい物件は、センチュリー21不動産流通センターにあります(^^)

その他の情報

1ページ目(3ページ中) 次へ
この条件で新着メールを受取る
この検索条件を保存する

高砂市の物件も見てみませんか?

現在のページで希望の物件が見つからなければエリアから探してみてもいいかもしれません。

高砂市の物件を見る

※公文式 曽根小西までの直線距離を表示しています。道路距離ではありませんのでご了承ください。

追加が完了しました。

現在00件保存されています。(最大5件)

保存した条件一覧を見る

現在00件保存されています。

残り00件追加することができます。

お気に入り物件一覧を見る

間隔を空けてお試しください。

問合せが未完了の物件

条件を変更
チェックした物件をまとめて 資料請求(無料) お気に入りに追加