三井ショッピングパーク ららぽーと横浜 (横浜市都筑区)近くの土地・宅地・分譲地の購入情報

三井ショッピングパーク ららぽーと横浜 (横浜市都筑区)近くの土地・宅地・分譲地の購入情報をご覧いただけます。

2

↓ チェックした物件をまとめてお問い合わせ

NO IMAGE 土地

【近い!】 三井ショッピングパーク ららぽーと横浜 まで約849m

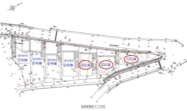
区画図:314002661041
  • 2,990万円
  • 神奈川県横浜市緑区鴨居3丁目
  • 横浜線 鴨居駅/徒歩10分
  • 101.10㎡/30.58坪
  • 60%(建ぺい率)
  • 200%(容積率)
  • 建築条件なし
  • 更地
  • 角地
  • 南道路
  • 古家付き
  • 所有権あり
株式会社スムージングハウス

スムージングハウスでは、お客様に最適な不動産情報を提供すること以外にも住宅購入にあたっての資金計画、有資格者による無料相談、的確な住宅ローンのご紹介なども親身にサポートいたします。

その他の情報

外観:314002681626 土地

【近い!】 三井ショッピングパーク ららぽーと横浜 まで約840m

区画図:314002681626
  • 6,980万円
  • 神奈川県横浜市都筑区池辺町
  • 横浜市グリーンL 都筑ふれあいの丘駅/徒歩26分
  • 207.53㎡/62.77坪
  • 60%(建ぺい率)
  • 200%(容積率)
  • 建築条件なし
  • 更地
  • 角地
  • 南道路
  • 古家付き
  • 所有権あり
スターツピタットハウス株式会社 仲町台店

お部屋探しはピタットハウス仲町台店へ。駅前店舗で物件情報量も自慢です。仲町台は緑を保存した街づくりをテーマにおいており、豊かな自然のある生活環境が魅力の街です。ご来店お待ちしております。

その他の情報

1ページ目(1ページ中)
この条件で新着メールを受取る
この検索条件を保存する

横浜市都筑区の物件も見てみませんか?

現在のページで希望の物件が見つからなければエリアから探してみてもいいかもしれません。

横浜市都筑区の物件を見る

※三井ショッピングパーク ららぽーと横浜 までの直線距離を表示しています。道路距離ではありませんのでご了承ください。

追加が完了しました。

現在00件保存されています。(最大5件)

保存した条件一覧を見る

現在00件保存されています。

残り00件追加することができます。

お気に入り物件一覧を見る

間隔を空けてお試しください。

問合せが未完了の物件

条件を変更
チェックした物件をまとめて 資料請求(無料) お気に入りに追加