かんまき駅前保育園(高槻市)近くの土地・宅地・分譲地の購入情報

かんまき駅前保育園(高槻市)近くの土地・宅地・分譲地の購入情報をご覧いただけます。

14

↓ チェックした物件をまとめてお問い合わせ

外観:327002166212 土地

【近い!】 かんまき駅前保育園まで約695m

区画図:327002166212
  • 3,480万円
  • 大阪府三島郡島本町桜井4丁目
  • 東海道本線 島本駅/徒歩11分
  • 188.75㎡/57.09坪
  • 50%(建ぺい率)
  • 100%(容積率)

南西道路で陽当たり良好♪建築条件なし・約57坪の広々土地!2路線利用可でアクセス便利♪

  • 建築条件なし
  • 更地
  • 角地
  • 南道路
  • 古家付き
  • 所有権あり
阪急阪神不動産株式会社 高槻営業所

当社は、高槻市エリアを中心に地域密着型不動産売買を行っている会社です。一人ひとりにあったご提案をお約束いたします。なお弊社にて「直接買取」のサービスも行っております。

その他の情報

外観:327002228844 土地

かんまき駅前保育園まで約1248m

区画図:327002228844
  • 4,000万円
  • 大阪府三島郡島本町水無瀬1丁目
  • 阪急電鉄京都線 水無瀬駅/徒歩4分
  • 164.10㎡/49.64坪
  • 50%(建ぺい率)
  • 100%(容積率)
  • 建築条件なし
  • 更地
  • 角地
  • 南道路
  • 古家付き
  • 所有権あり
株式会社三島コーポレーション 流通事業部

当社は「茨木市・高槻市・三島郡・摂津市で11店舗展開」している地元密着の企業です。創業70余年の歴史が語る確かな情報力と、地元への愛着には自信があります。

その他の情報

外観:327002221482 土地

かんまき駅前保育園まで約1248m

区画図:327002221482
  • 4,000万円
  • 大阪府三島郡島本町水無瀬1丁目
  • 阪急電鉄京都線 水無瀬駅/徒歩4分
  • 164.09㎡/49.63坪
  • 50%(建ぺい率)
  • 100%(容積率)
  • 建築条件なし
  • 更地
  • 角地
  • 南道路
  • 古家付き
  • 所有権あり
株式会社三島コーポレーション 流通事業部

当社は「茨木市・高槻市・三島郡・摂津市で11店舗展開」している地元密着の企業です。創業70余年の歴史が語る確かな情報力と、地元への愛着には自信があります。

その他の情報

外観:327002173346 土地

かんまき駅前保育園まで約1871m

区画図:327002173346
  • 3,780万円
  • 大阪府三島郡島本町東大寺3丁目
  • 東海道本線 島本駅/徒歩14分
  • 129.96㎡/39.31坪
  • 60%(建ぺい率)
  • 200%(容積率)

◆現況更地!◆土地約39坪◆JR島本駅 歩14分◆東と南の二方道路 陽当たり通風良好◆建築条件無し

  • 建築条件なし
  • 更地
  • 角地
  • 南道路
  • 古家付き
  • 所有権あり
センチュリー21コミュニティ・デザイン

「島本町」「上牧」「山崎」で賃貸・売買はセンチュリー21 コミュニティ・デザインへお任せ下さい。専門のスタッフが豊富な物件情報からお客様にピッタリの物件をご紹介いたします。

その他の情報

外観:327002206869 土地

かんまき駅前保育園まで約1237m

区画図:327002206869
  • 2,450万円
  • 大阪府三島郡島本町江川2丁目
  • 阪急電鉄京都線 水無瀬駅/徒歩5分
  • 153.32㎡/46.37坪
  • 60%(建ぺい率)
  • 200%(容積率)

◆土地約46.3坪◆更地でのお引渡し◆小学校まで徒歩4分◆個性あふれる住まいを実現「建築条件なし」

  • 建築条件なし
  • 更地
  • 角地
  • 南道路
  • 古家付き
  • 所有権あり
センチュリー21コミュニティ・デザイン

「島本町」「上牧」「山崎」で賃貸・売買はセンチュリー21 コミュニティ・デザインへお任せ下さい。専門のスタッフが豊富な物件情報からお客様にピッタリの物件をご紹介いたします。

その他の情報

外観:327002214743 土地

【近い!】 かんまき駅前保育園まで約411m

区画図:327002214743
  • 2,380万円
  • 大阪府三島郡島本町桜井5丁目
  • 阪急電鉄京都線 上牧駅/徒歩13分
  • 201.00㎡/60.8坪
  • 60%(建ぺい率)
  • 200%(容積率)

■約60.8坪 ■間口約17.0mの整形地■南向き・高台のため陽当り・眺望良好

  • 建築条件なし
  • 更地
  • 角地
  • 南道路
  • 古家付き
  • 所有権あり
株式会社三島コーポレーション 流通事業部

当社は「茨木市・高槻市・三島郡・摂津市で11店舗展開」している地元密着の企業です。創業70余年の歴史が語る確かな情報力と、地元への愛着には自信があります。

その他の情報

外観:327002215505 土地

【近い!】 かんまき駅前保育園まで約249m

区画図:327002215505
  • 2,280万円
  • 大阪府高槻市神内2丁目
  • 阪急電鉄京都線 上牧駅/徒歩4分
  • 67.52㎡/20.42坪
  • 60%(建ぺい率)
  • 200%(容積率)

【駅徒歩4分×角地】建築条件なし!自由設計で理想の注文住宅で新生活を♪

  • 建築条件なし
  • 更地
  • 角地
  • 南道路
  • 古家付き
  • 所有権あり
ハウスドゥ!園田店 株式会社L.S

弊社は、古田敦也氏TVCM放映中の全国700店舗のハウスドゥ!に園田店として加盟しております。全国チェーンならではの物件情報、賢い住宅の購入マニュアルを取り揃え、お客様のご来店をお待ちしております。

その他の情報

外観:327002130257 土地

【近い!】 かんまき駅前保育園まで約873m

区画図:327002130257
  • 3,680万円
  • 大阪府高槻市東上牧2丁目
  • 阪急電鉄京都線 上牧駅/徒歩12分
  • 183.56㎡/55.52坪
  • 50%(建ぺい率)
  • 100%(容積率)

■ 建築条件なし!お好みの住宅メーカーにて検討いただけます♪■ 阪急京都線「上牧」駅 徒歩12分 ・ 約55坪の敷地!

  • 建築条件なし
  • 更地
  • 角地
  • 南道路
  • 古家付き
  • 所有権あり
野村不動産ソリューションズ株式会社 江坂センター

「不動産サービスの提供を通じて、広く信頼され、高い評価をいただくことで、選ばれ続けるナンバーワンブランドを目指す」という企業理念のもと、お客様の幸せに貢献できますよう、真摯に努力を続けてまいります。

その他の情報

外観:327002169994 土地

【近い!】 かんまき駅前保育園まで約803m

区画図:327002169994
  • 2,790万円
  • 大阪府高槻市東上牧3丁目
  • 阪急電鉄京都線 上牧駅/徒歩12分
  • 111.11㎡/33.61坪
  • 50%(建ぺい率)
  • 100%(容積率)

限定2区画分譲地☆阪急「上牧」駅まで徒歩12分!土地約33.61坪!間取は自由設計していただけます♪

  • 建築条件なし
  • 更地
  • 角地
  • 南道路
  • 古家付き
  • 所有権あり
センチュリー21関西ホームサービス高槻店

弊社はJR「高槻」駅より徒歩3分!北摂エリアに特化して不動産の売買・賃貸・管理をしております。不動産・建築・金融・地域の情報に関するスペシャリストが揃っています。仕事の早さには自信があり!

その他の情報

外観:327002215086 土地

かんまき駅前保育園まで約1916m

区画図:327002215086
  • 3,698万円
  • 大阪府枚方市北楠葉町
  • 京阪電気鉄道京阪線 樟葉駅/徒歩20分
  • 111.49㎡/33.72坪
  • 50%(建ぺい率)
  • 100%(容積率)
  • 建築条件なし
  • 更地
  • 角地
  • 南道路
  • 古家付き
  • 所有権あり
近鉄不動産株式会社 布施営業所

東大阪市全域、東成区、生野区の土地・戸建・マンション・事業用物件 のことなら地域密着営業の近鉄不動産にお任せ下さい。

その他の情報

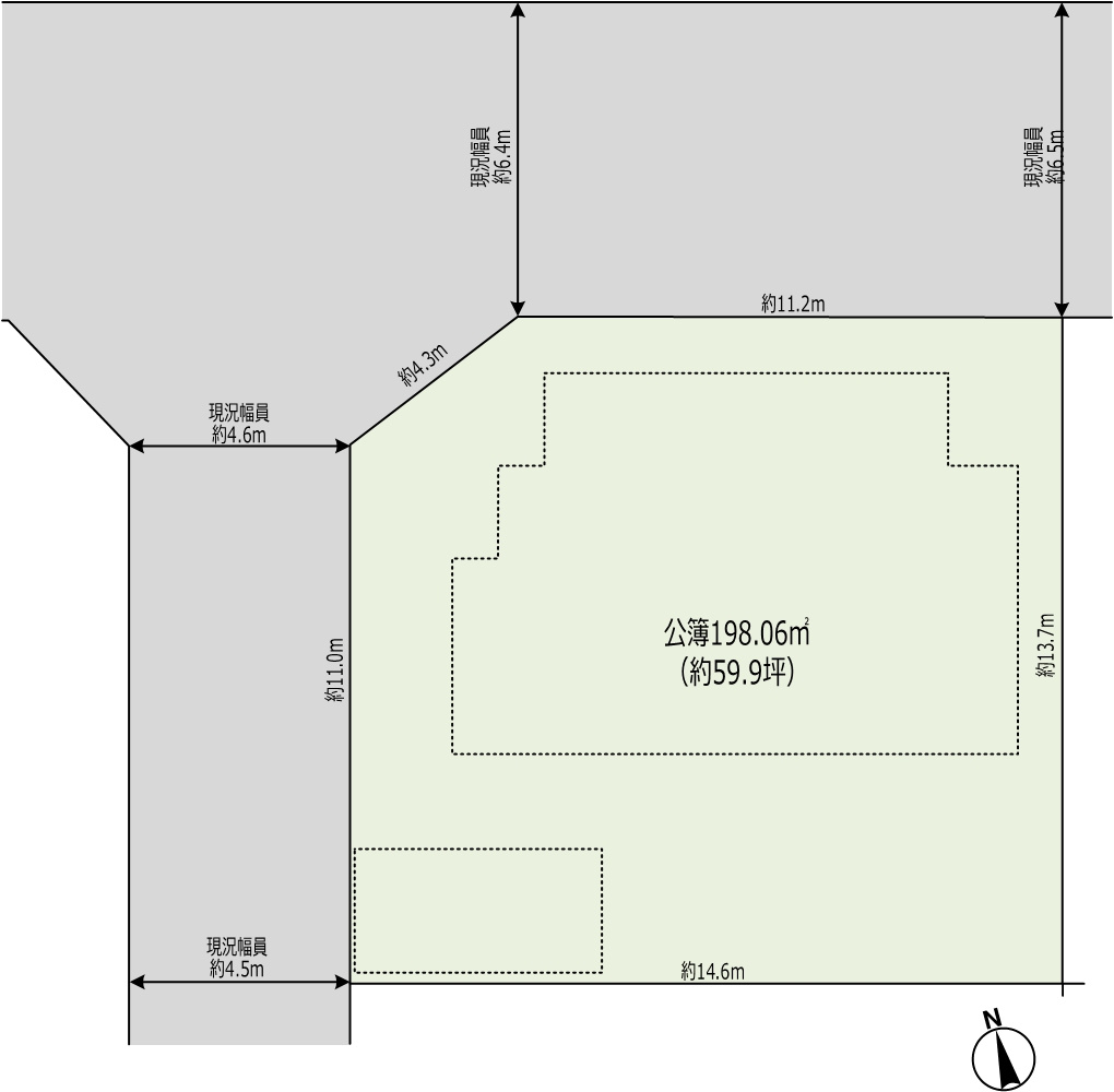
外観:327002229540 土地

かんまき駅前保育園まで約1908m

区画図:327002229540
  • 5,800万円
  • 大阪府枚方市楠葉中町
  • 京阪電気鉄道京阪線 樟葉駅/徒歩16分
  • 198.06㎡/59.91坪
  • 50%(建ぺい率)
  • 100%(容積率)
  • 建築条件なし
  • 更地
  • 角地
  • 南道路
  • 古家付き
  • 所有権あり
株式会社日住サービス 千里中央店

「SENRITOよみうり」1階にございます。お車でお越しのお客様には「SENRITOよみうり」の駐車場60分券をお渡ししております。是非ともお立ち寄り頂きます様スタッフ一同、お待ちしております。

その他の情報

外観:327002195389 土地

かんまき駅前保育園まで約1629m

区画図:327002195389
  • 1,500万円
  • 大阪府三島郡島本町江川1丁目
  • 阪急電鉄京都線 水無瀬駅/徒歩9分
  • 104.68㎡/31.66坪
  • 60%(建ぺい率)
  • 200%(容積率)
  • 建築条件なし
  • 更地
  • 角地
  • 南道路
  • 古家付き
  • 所有権あり
株式会社三島コーポレーション 流通事業部

当社は「茨木市・高槻市・三島郡・摂津市で11店舗展開」している地元密着の企業です。創業70余年の歴史が語る確かな情報力と、地元への愛着には自信があります。

その他の情報

外観:327002215075 土地

かんまき駅前保育園まで約1916m

区画図:327002215075
  • 3,198万円
  • 大阪府枚方市北楠葉町
  • 京阪電気鉄道京阪線 樟葉駅/徒歩20分
  • 110.89㎡/33.54坪
  • 50%(建ぺい率)
  • 100%(容積率)
  • 建築条件なし
  • 更地
  • 角地
  • 南道路
  • 古家付き
  • 所有権あり
近鉄不動産株式会社 布施営業所

東大阪市全域、東成区、生野区の土地・戸建・マンション・事業用物件 のことなら地域密着営業の近鉄不動産にお任せ下さい。

その他の情報

外観:327002231937 土地

かんまき駅前保育園まで約1738m

区画図:327002231937
  • 5,500万円
  • 大阪府枚方市町楠葉2丁目
  • 京阪電気鉄道京阪線 樟葉駅/徒歩16分
  • 203.27㎡/61.48坪
  • 60%(建ぺい率)
  • 184%(容積率)

有効土地面積約51.53坪!閑静な住宅地に立地解体更地渡し!道路幅員約4.6m!建築条件なし!

  • 建築条件なし
  • 更地
  • 角地
  • 南道路
  • 古家付き
  • 所有権あり
センチュリー21マックス不動産販売門真店

その他の情報

1ページ目(1ページ中)
この条件で新着メールを受取る
この検索条件を保存する

高槻市の物件も見てみませんか?

現在のページで希望の物件が見つからなければエリアから探してみてもいいかもしれません。

高槻市の物件を見る

※かんまき駅前保育園までの直線距離を表示しています。道路距離ではありませんのでご了承ください。

追加が完了しました。

現在00件保存されています。(最大5件)

保存した条件一覧を見る

現在00件保存されています。

残り00件追加することができます。

お気に入り物件一覧を見る

間隔を空けてお試しください。

問合せが未完了の物件

条件を変更
チェックした物件をまとめて 資料請求(無料) お気に入りに追加